
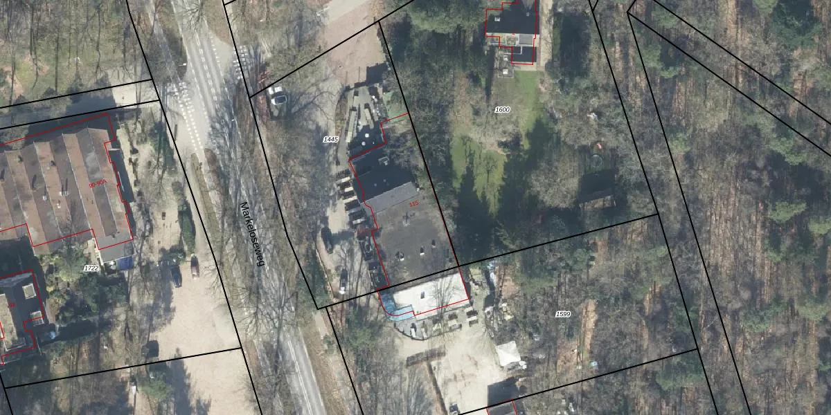
Markeloseweg 115 is een adres in Rijssen, dat zich bevindt binnen de gemeentegrenzen van Rijssen en de grenzen van de provincie Overijssel. De oppervlakte van het verblijfsobject is met 905 m² aan de grote kant. Het perceel heeft een oppervlakte van 1950 m². De oppervlakte van dit adres is groot vergeleken met de oppervlaktes van andere adressen in de straat. De kleinste oppervlakte bedraagt er 2 m², de grootste 1065 m². Het adres Markeloseweg 115 ligt in een relatief oud pand uit het jaar 1950. Panden van vóór het jaar 1965 hebben we hier geclassificeerd als oud. Het nieuwste gebouw in de straat komt uit 2025 en het oudste uit 1916. Dit object is relatief oud. Voor het verblijfsobject gelden deze gebruiksdoelen: 'bijeenkomstfunctie'.
Deze woning is voor het laatst verkocht op 1 augustus 1995. Meer informatie over deze transactie? Bestel het Woningtransactierapport om de verkoopprijs en andere informatie te zien.
Het adres ligt op het perceel RSN01-C-1445, dat zich in de kadastrale gemeente Rijssen bevindt. De gemiddelde perceelgrootte in Rijssen is 2116,21 m². Dit perceel is kleiner: de perceeloppervlakte bedraagt 1950 m². De grootste perceeloppervlakte in de kadastrale gemeente is 33,6 ha. De kleinste oppervlakte bedraagt 0 m². Op het perceel bevinden zich geen andere adressen. De huidige grenzen van het perceel zijn digitaal in de Basisregistratie Kadaster (BRK) geregistreerd op 09-11-2000.
Er is geen energielabel geregistreerd voor het adres. Het hoogste energielabel in de straat is A+; het laagste is G. Het gemiddelde energielabel is er D. Het adres Markeloseweg 115 heeft als status: 'verblijfsobject in gebruik'. Het pand waarin dit adres ligt heeft als status: 'pand in gebruik'.
Markeloseweg 115 is een adres gelegen in de gemeente Rijssen-Holten, provincie Overijssel. Dit adres is geregistreerd in de Basisregistratie Adressen en Gebouwen (BAG) met als unieke identificatie 1742010000010909.
Het pand op Markeloseweg 115 is gebouwd in 1950, wat betekent dat het 76 jaar oud is. Dit is een ouder pand. Het pand heeft mogelijk aanzienlijke renovaties nodig om aan de huidige standaarden te voldoen.
De woning op Markeloseweg 115 heeft een gebruiksoppervlakte van 905 m². Dit is ruim vergeleken met de gemiddelde Nederlandse woning, die een oppervlakte heeft van ongeveer 119 m². De gebruiksoppervlakte is de maat die wordt gebruikt in de BAG-registratie, de landelijke registratie van de Nederlandse overheid.
Markeloseweg 115 heeft als functie: bijeenkomsten. Deze gebruiksfunctie(s) zijn vastgelegd in de BAG-registratie en geven aan waarvoor het adres officieel mag worden gebruikt.
Markeloseweg 115 is gelegen op kadastraal perceel RSN01C1445. Deze kadastrale aanduiding is uniek en wordt gebruikt door het Kadaster om eigendomsrechten en andere zakelijke rechten vast te leggen. Het perceel maakt onderdeel uit van de kadastrale gemeente Rijssen.
Het perceel waarop Markeloseweg 115 staat heeft een oppervlakte van 1950 m². Dit is een zeer groot perceel. De perceeloppervlakte wordt geregistreerd door het Kadaster. Gedetailleerde informatie over de maten van dit perceel kunt u vinden in het rapport Kadastrale kaart met maatvoering van Markeloseweg 115.
De eigenaar van Markeloseweg 115 is op te vragen op deze pagina.
De informatie over dit adres is afkomstig uit officiële overheidsregistraties, voornamelijk de Basisregistratie Adressen en Gebouwen (BAG) en de Basisregistratie Kadaster (BRK). Deze gegevens worden beheerd door respectievelijk gemeenten en het Kadaster, en worden regelmatig bijgewerkt. Energielabelgegevens komen uit de database van de Rijksdienst voor Ondernemend Nederland (RVO).
