
Havenstraat 74 is een adres in Rijswijk, dat zich bevindt binnen de gemeentegrenzen van Rijswijk en de grenzen van de provincie Zuid-Holland. Het verblijfsobject is vergeleken met het Nederlandse gemiddelde aan de kleine kant: de oppervlakte is 60 m². Het perceel waarop het adres zich bevindt heeft een oppervlakte van 5400 m². Het adres is klein vergeleken met andere objecten in de straat. Het grootste object in de straat heeft een oppervlakte van 81 m², het kleinste is 18 m² groot. Het adres Havenstraat 74 ligt in een relatief oud pand uit het jaar 1950. Panden van vóór het jaar 1965 hebben we hier geclassificeerd als oud. Gemiddeld zijn de gebouwen in de straat gebouwd in 1950. Dit is het oudste pand in de straat. Het meest recente komt uit het jaar 1957. Voor het verblijfsobject gelden deze gebruiksdoelen: 'woonfunctie'.
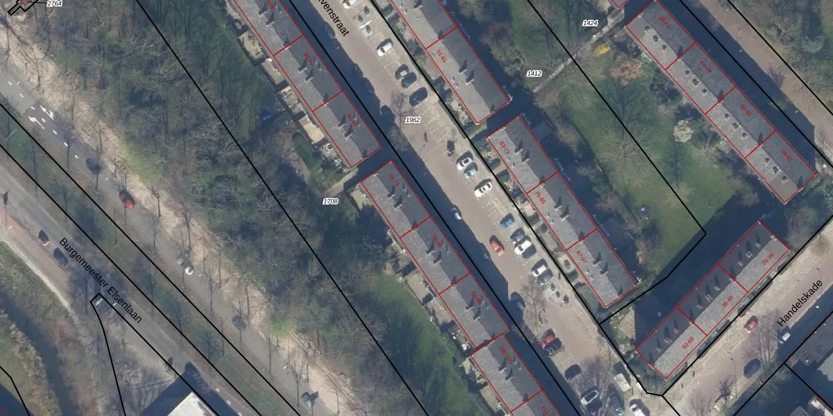
Het adres ligt op het perceel RWK01-G-1708, dat zich in de kadastrale gemeente Rijswijk bevindt. Het perceel is met 5400 m² relatief groot. Het gemiddelde ligt in de kadastrale gemeente Rijswijk op 1114,17 m². De grootste perceeloppervlakte in de kadastrale gemeente is 44,3 ha. De kleinste oppervlakte bedraagt 0 m². Op het perceel liggen in totaal 60 adressen. De huidige grenzen van het perceel zijn digitaal in de Basisregistratie Kadaster (BRK) geregistreerd op 24-08-2006.
Het adres ligt in een gebouw van het type 'flatwoning (overig) met het subtype tussenvloer'. Bij de laatste meting is voor het adres het energielabel D geregistreerd. Het hoogste energielabel in de straat is C; het laagste is G. Het gemiddelde energielabel is er E. Het adres Havenstraat 74 heeft als status: 'verblijfsobject in gebruik'. Het pand waarin dit adres ligt heeft als status: 'pand in gebruik'.
Havenstraat 74 is een adres gelegen in de gemeente Rijswijk, provincie Zuid-Holland. Dit adres is geregistreerd in de Basisregistratie Adressen en Gebouwen (BAG) met als unieke identificatie 0603010000004917.
Het pand op Havenstraat 74 is gebouwd in 1950, wat betekent dat het 76 jaar oud is. Dit is een ouder pand. Het pand heeft mogelijk aanzienlijke renovaties nodig om aan de huidige standaarden te voldoen.
De woning op Havenstraat 74 heeft een gebruiksoppervlakte van 60 m². Dit is relatief klein vergeleken met de gemiddelde Nederlandse woning, die een oppervlakte heeft van ongeveer 119 m². De gebruiksoppervlakte is de maat die wordt gebruikt in de BAG-registratie, de landelijke registratie van de Nederlandse overheid.
Havenstraat 74 heeft als functie: wonen. Deze gebruiksfunctie(s) zijn vastgelegd in de BAG-registratie en geven aan waarvoor het adres officieel mag worden gebruikt.
Havenstraat 74 is gelegen op kadastraal perceel RWK01G1708. Deze kadastrale aanduiding is uniek en wordt gebruikt door het Kadaster om eigendomsrechten en andere zakelijke rechten vast te leggen. Het perceel maakt onderdeel uit van de kadastrale gemeente Rijswijk.
Het perceel waarop Havenstraat 74 staat heeft een oppervlakte van 5400 m². Dit is een zeer groot perceel. De perceeloppervlakte wordt geregistreerd door het Kadaster. Gedetailleerde informatie over de maten van dit perceel kunt u vinden in het rapport Kadastrale kaart met maatvoering van Havenstraat 74.
De eigenaar van Havenstraat 74 is op te vragen op deze pagina.
De informatie over dit adres is afkomstig uit officiële overheidsregistraties, voornamelijk de Basisregistratie Adressen en Gebouwen (BAG) en de Basisregistratie Kadaster (BRK). Deze gegevens worden beheerd door respectievelijk gemeenten en het Kadaster, en worden regelmatig bijgewerkt. Energielabelgegevens komen uit de database van de Rijksdienst voor Ondernemend Nederland (RVO).
