
Molendijk 23-b is een adres in Rockanje, dat zich bevindt binnen de gemeentegrenzen van Rockanje en de grenzen van de provincie Zuid-Holland. De oppervlakte bedraagt 161 m², waarmee het adres groter dan gemiddeld is. De grootte van het perceel waarop het adres ligt is 1549 m². Het adres is klein vergeleken met andere objecten in de straat. Het grootste object in de straat heeft een oppervlakte van 2402 m², het kleinste is 9 m² groot. Molendijk 23-b ligt in een gebouw uit het jaar 1985. Daarmee behoort het tot de groep panden van na 1984, die we als relatief nieuw bestempelen. Veel andere gebouwen in de straat zijn ouder dan dit pand. Het oudste pand komt uit het jaar 1716 en het nieuwste uit 2014. De volgende gebruiksdoelen zijn geregistreerd voor dit adres: 'kantoorfunctie'.
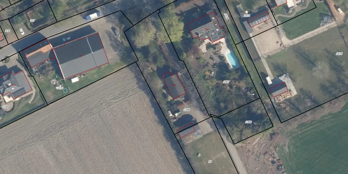
Het adres ligt op het perceel WVN00-B-1358, dat zich in de kadastrale gemeente Westvoorne bevindt. Het perceel is 1549 m² groot. Dat is kleiner dan de gemiddelde perceeloppervlakte in Westvoorne, dat op 2,0 ha ligt. Het grootste perceel in de kadastrale gemeente is 18,03 km². Het kleinste perceel heeft een oppervlakte van 1 m². Er zijn geen andere adressen aanwezig op het perceel. De huidige grenzen van het perceel zijn digitaal in de Basisregistratie Kadaster (BRK) geregistreerd op 22-06-2012.
Er is geen energielabel geregistreerd voor het adres. Het hoogste energielabel in de straat is A++; het laagste is G. Het gemiddelde energielabel is er C. Het adres Molendijk 23-b heeft als status: 'verblijfsobject in gebruik'. Het pand waarin dit adres ligt heeft als status: 'pand in gebruik'.
Molendijk 23-b is een adres gelegen in de gemeente Voorne aan Zee, provincie Zuid-Holland. Dit adres is geregistreerd in de Basisregistratie Adressen en Gebouwen (BAG) met als unieke identificatie 0614010000003480.
Het pand op Molendijk 23-b is gebouwd in 1985, wat betekent dat het 41 jaar oud is. Dit is een pand van middelbare leeftijd. Het pand is van gemiddelde leeftijd en zal waarschijnlijk verouderde elementen bevatten.
De woning op Molendijk 23-b heeft een gebruiksoppervlakte van 161 m². Dit is ruim vergeleken met de gemiddelde Nederlandse woning, die een oppervlakte heeft van ongeveer 119 m². De gebruiksoppervlakte is de maat die wordt gebruikt in de BAG-registratie, de landelijke registratie van de Nederlandse overheid.
Molendijk 23-b heeft als functie: kantoor. Deze gebruiksfunctie(s) zijn vastgelegd in de BAG-registratie en geven aan waarvoor het adres officieel mag worden gebruikt.
Molendijk 23-b is gelegen op kadastraal perceel WVN00B1358. Deze kadastrale aanduiding is uniek en wordt gebruikt door het Kadaster om eigendomsrechten en andere zakelijke rechten vast te leggen. Het perceel maakt onderdeel uit van de kadastrale gemeente Westvoorne.
Het perceel waarop Molendijk 23-b staat heeft een oppervlakte van 1549 m². Dit is een zeer groot perceel. De perceeloppervlakte wordt geregistreerd door het Kadaster. Gedetailleerde informatie over de maten van dit perceel kunt u vinden in het rapport Kadastrale kaart met maatvoering van Molendijk 23-b.
De eigenaar van Molendijk 23-b is op te vragen op deze pagina.
De informatie over dit adres is afkomstig uit officiële overheidsregistraties, voornamelijk de Basisregistratie Adressen en Gebouwen (BAG) en de Basisregistratie Kadaster (BRK). Deze gegevens worden beheerd door respectievelijk gemeenten en het Kadaster, en worden regelmatig bijgewerkt. Energielabelgegevens komen uit de database van de Rijksdienst voor Ondernemend Nederland (RVO).
