
Beethovenstraat 393 is gelegen in de plaats Roermond, de gemeente Roermond en de provincie Limburg. Het verblijfsobject is vergeleken met het Nederlandse gemiddelde aan de kleine kant: de oppervlakte is 89 m². Het perceel waarop het adres zich bevindt heeft een oppervlakte van 3793 m². Het object is klein ten opzichte van de andere adressen in de straat. Het grootste verblijfsobject is 248 m² groot en het kleinste is 84 m². De meeste Nederlandse gebouwen zijn gebouwd in de periode 1965-1984. Zo ook het pand waarin Beethovenstraat 393 ligt, dat gebouwd is in 1967. Gemiddeld zijn de gebouwen in de straat gebouwd in 1968. Dit is het oudste pand in de straat. Het meest recente komt uit het jaar 1970. De volgende gebruiksdoelen zijn geregistreerd voor dit adres: 'woonfunctie'.
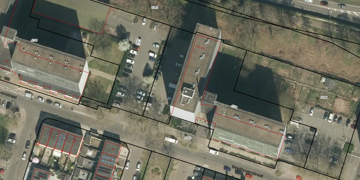
Het perceel waarop het adres ligt is RMD00-F-4739. De afkorting 'RMD00' staat voor kadastrale gemeente Roermond. De oppervlakte van het perceel is 3793 m². Dat is groter dan gemiddeld in Roermond, waar de gemiddelde perceeloppervlakte op 2210,91 m² ligt. De grootste perceeloppervlakte in de kadastrale gemeente is 69,4 ha. De kleinste oppervlakte bedraagt 0 m². Op het perceel liggen in totaal 98 adressen. De laatste wijziging in het de Basisregistratie Kadaster (BRK) was op 25-11-2009.
Het adres ligt in een gebouw van het type 'flatwoning (overig) met het subtype tussenmidden'. Bij de laatste meting is voor het adres het energielabel D geregistreerd. Het hoogste energielabel in de straat is A; het laagste is G. Het gemiddelde energielabel is er C. Het adres Beethovenstraat 393 heeft als status: 'verblijfsobject in gebruik'. Het pand waarin dit adres ligt heeft als status: 'pand in gebruik'.
Beethovenstraat 393 is een adres gelegen in de gemeente Roermond, provincie Limburg. Dit adres is geregistreerd in de Basisregistratie Adressen en Gebouwen (BAG) met als unieke identificatie 0957010000126129.
Het pand op Beethovenstraat 393 is gebouwd in 1967, wat betekent dat het 59 jaar oud is. Dit is een ouder pand. Het pand heeft mogelijk aanzienlijke renovaties nodig om aan de huidige standaarden te voldoen.
De woning op Beethovenstraat 393 heeft een gebruiksoppervlakte van 89 m². Dit is onder het gemiddelde vergeleken met de gemiddelde Nederlandse woning, die een oppervlakte heeft van ongeveer 119 m². De gebruiksoppervlakte is de maat die wordt gebruikt in de BAG-registratie, de landelijke registratie van de Nederlandse overheid.
Beethovenstraat 393 heeft als functie: wonen. Deze gebruiksfunctie(s) zijn vastgelegd in de BAG-registratie en geven aan waarvoor het adres officieel mag worden gebruikt.
Beethovenstraat 393 is gelegen op kadastraal perceel RMD00F4739. Deze kadastrale aanduiding is uniek en wordt gebruikt door het Kadaster om eigendomsrechten en andere zakelijke rechten vast te leggen. Het perceel maakt onderdeel uit van de kadastrale gemeente Roermond.
Het perceel waarop Beethovenstraat 393 staat heeft een oppervlakte van 3793 m². Dit is een zeer groot perceel. De perceeloppervlakte wordt geregistreerd door het Kadaster. Gedetailleerde informatie over de maten van dit perceel kunt u vinden in het rapport Kadastrale kaart met maatvoering van Beethovenstraat 393.
De eigenaar van Beethovenstraat 393 is op te vragen op deze pagina.
De informatie over dit adres is afkomstig uit officiële overheidsregistraties, voornamelijk de Basisregistratie Adressen en Gebouwen (BAG) en de Basisregistratie Kadaster (BRK). Deze gegevens worden beheerd door respectievelijk gemeenten en het Kadaster, en worden regelmatig bijgewerkt. Energielabelgegevens komen uit de database van de Rijksdienst voor Ondernemend Nederland (RVO).
