
Bernsteinstraat 19 is gelegen in de plaats Roermond, de gemeente Roermond en de provincie Limburg. Het perceel waarop het verblijfsobject staat is 200 m² groot. De oppervlakte van het adres is 139 m², wat zich rond het Nederlandse gemiddelde van 119 m² bevindt. De oppervlakte van dit adres is groot vergeleken met de oppervlaktes van andere adressen in de straat. De kleinste oppervlakte bedraagt er 110 m², de grootste 163 m². Bernsteinstraat 19 ligt in een gebouw uit het jaar 2021. Daarmee behoort het tot de groep panden van na 1984, die we als relatief nieuw bestempelen. In de straat is dit het nieuwste pand en stamt het oudste object uit het jaar 2020. Het gemiddelde bouwjaar in de straat is 2021. Het verblijfsobject heeft de volgende gebruiksdoelen: 'woonfunctie'.
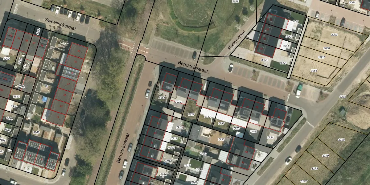
Het adres ligt op het perceel RMD00-E-7910, dat zich in de kadastrale gemeente Roermond bevindt. Het perceel is kleiner dan gemiddeld in Roermond. Het perceel is 200 m² groot, terwijl het gemiddelde ligt op 2213,18 m². Het grootste perceel in de kadastrale gemeente is 69,4 ha. Het kleinste perceel heeft een oppervlakte van 0 m². Er zijn geen andere adressen aanwezig op het perceel. De laatste wijziging in het de Basisregistratie Kadaster (BRK) was op 01-07-2022.
Het adres ligt in een gebouw van het type 'rijwoning tussen'. Bij de laatste meting is voor het adres het energielabel A geregistreerd. Het hoogste energielabel in de straat is A; het laagste is G. Het gemiddelde energielabel is er A. Het adres Bernsteinstraat 19 heeft als status: 'verblijfsobject in gebruik'. Het pand waarin dit adres ligt heeft als status: 'pand in gebruik'.
Bernsteinstraat 19 is een adres gelegen in de gemeente Roermond, provincie Limburg. Dit adres is geregistreerd in de Basisregistratie Adressen en Gebouwen (BAG) met als unieke identificatie 0957010000304683.
Het pand op Bernsteinstraat 19 is gebouwd in 2021, wat betekent dat het 5 jaar oud is. Dit is een vrij nieuw pand. Het pand is dus waarschijnlijk goed geïsoleerd, geluidsdicht en voldoet aan de huidige bouwstandaarden. Op korte termijn zijn er waarschijnlijk weinig onderhoudskosten.
De woning op Bernsteinstraat 19 heeft een gebruiksoppervlakte van 139 m². Dit is gemiddeld vergeleken met de gemiddelde Nederlandse woning, die een oppervlakte heeft van ongeveer 119 m². De gebruiksoppervlakte is de maat die wordt gebruikt in de BAG-registratie, de landelijke registratie van de Nederlandse overheid.
Bernsteinstraat 19 heeft als functie: wonen. Deze gebruiksfunctie(s) zijn vastgelegd in de BAG-registratie en geven aan waarvoor het adres officieel mag worden gebruikt.
Bernsteinstraat 19 is gelegen op kadastraal perceel RMD00E7910. Deze kadastrale aanduiding is uniek en wordt gebruikt door het Kadaster om eigendomsrechten en andere zakelijke rechten vast te leggen. Het perceel maakt onderdeel uit van de kadastrale gemeente Roermond.
Het perceel waarop Bernsteinstraat 19 staat heeft een oppervlakte van 200 m². Dit is een middelgroot perceel. De perceeloppervlakte wordt geregistreerd door het Kadaster. Gedetailleerde informatie over de maten van dit perceel kunt u vinden in het rapport Kadastrale kaart met maatvoering van Bernsteinstraat 19.
De eigenaar van Bernsteinstraat 19 is op te vragen op deze pagina
De informatie over dit adres is afkomstig uit officiële overheidsregistraties, voornamelijk de Basisregistratie Adressen en Gebouwen (BAG) en de Basisregistratie Kadaster (BRK). Deze gegevens worden beheerd door respectievelijk gemeenten en het Kadaster, en worden regelmatig bijgewerkt. Energielabelgegevens komen uit de database van de Rijksdienst voor Ondernemend Nederland (RVO).
