
De Grote Elst 5 is gelegen in de plaats Rosmalen, de gemeente 's-Hertogenbosch en de provincie Noord-Brabant. De oppervlakte van het verblijfsobject is met 537 m² aan de grote kant. Het perceel heeft een oppervlakte van 1277 m². Het object is klein ten opzichte van de andere adressen in de straat. Het grootste verblijfsobject is 4786 m² groot en het kleinste is 110 m². In het jaar 2000 is het pand waarin De Grote Elst 5 ligt gebouwd. Dat is relatief recent: de meeste gebouwen in Nederland zijn gebouwd in de periode 1965-1984. Het nieuwste gebouw in de straat komt uit 2001 en het oudste uit 1998. Dit object is relatief oud. De volgende gebruiksdoelen zijn geregistreerd voor dit adres: 'kantoorfunctie'.
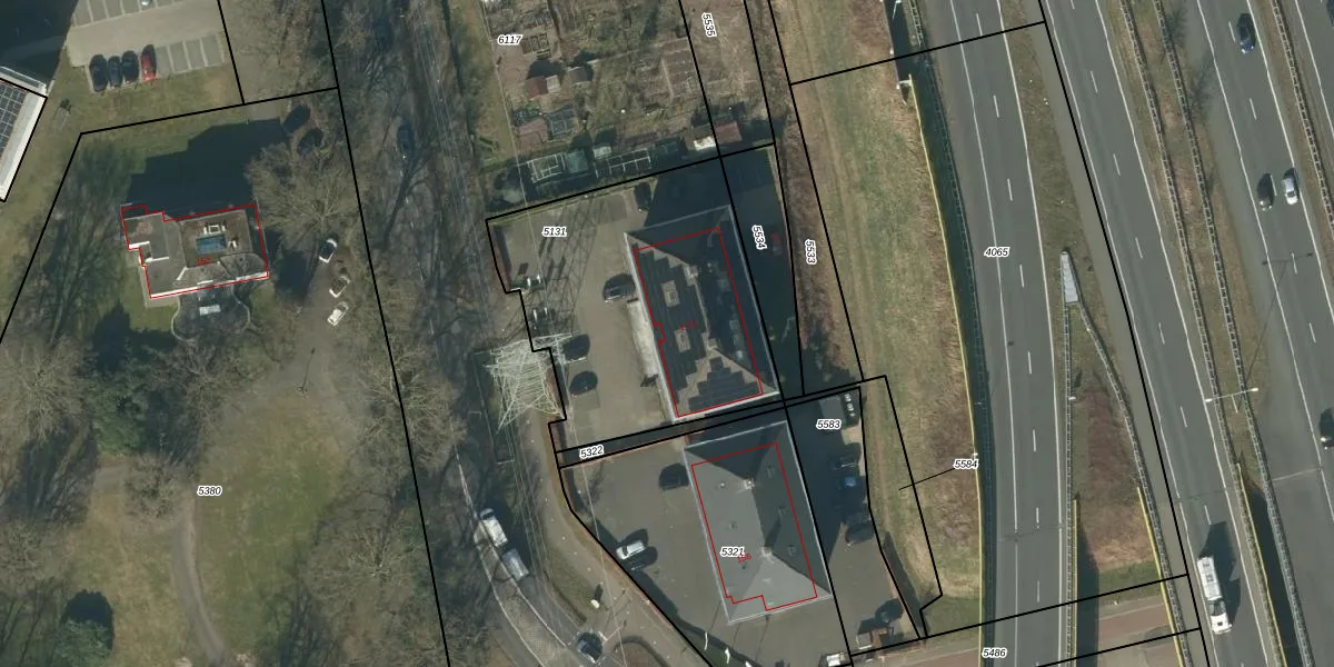
Het perceel waarop het adres ligt is RML00-E-5131. De afkorting 'RML00' staat voor kadastrale gemeente Rosmalen. Het perceel is 1277 m² groot. Dat is kleiner dan de gemiddelde perceeloppervlakte in Rosmalen, dat op 1832,77 m² ligt. De grootste perceeloppervlakte in de kadastrale gemeente is 34,9 ha. De kleinste oppervlakte bedraagt 0 m². Op het perceel liggen in totaal 6 adressen. De laatste wijziging in het de Basisregistratie Kadaster (BRK) was op 18-01-2011.
Er is geen energielabel geregistreerd voor het adres. Het hoogste energielabel in de straat is A++++; het laagste is G. Het gemiddelde energielabel is er A++. Het adres De Grote Elst 5 heeft als status: 'verblijfsobject in gebruik'. Het pand waarin dit adres ligt heeft als status: 'pand in gebruik'.
De Grote Elst 5 is een adres gelegen in de gemeente 's-Hertogenbosch, provincie Noord-Brabant. Dit adres is geregistreerd in de Basisregistratie Adressen en Gebouwen (BAG) met als unieke identificatie 0796010001042906.
Het pand op De Grote Elst 5 is gebouwd in 2000, wat betekent dat het 26 jaar oud is. Dit is een pand van middelbare leeftijd. Het pand is van gemiddelde leeftijd en zal waarschijnlijk verouderde elementen bevatten.
De woning op De Grote Elst 5 heeft een gebruiksoppervlakte van 537 m². Dit is ruim vergeleken met de gemiddelde Nederlandse woning, die een oppervlakte heeft van ongeveer 119 m². De gebruiksoppervlakte is de maat die wordt gebruikt in de BAG-registratie, de landelijke registratie van de Nederlandse overheid.
De Grote Elst 5 heeft als functie: kantoor. Deze gebruiksfunctie(s) zijn vastgelegd in de BAG-registratie en geven aan waarvoor het adres officieel mag worden gebruikt.
De Grote Elst 5 is gelegen op kadastraal perceel RML00E5131. Deze kadastrale aanduiding is uniek en wordt gebruikt door het Kadaster om eigendomsrechten en andere zakelijke rechten vast te leggen. Het perceel maakt onderdeel uit van de kadastrale gemeente Rosmalen.
Het perceel waarop De Grote Elst 5 staat heeft een oppervlakte van 1277 m². Dit is een zeer groot perceel. De perceeloppervlakte wordt geregistreerd door het Kadaster. Gedetailleerde informatie over de maten van dit perceel kunt u vinden in het rapport Kadastrale kaart met maatvoering van De Grote Elst 5.
De eigenaar van De Grote Elst 5 is op te vragen op deze pagina.
De informatie over dit adres is afkomstig uit officiële overheidsregistraties, voornamelijk de Basisregistratie Adressen en Gebouwen (BAG) en de Basisregistratie Kadaster (BRK). Deze gegevens worden beheerd door respectievelijk gemeenten en het Kadaster, en worden regelmatig bijgewerkt. Energielabelgegevens komen uit de database van de Rijksdienst voor Ondernemend Nederland (RVO).
