
Het adres Peter de Gorterstraat 7-B bevindt zich in de plaats Rosmalen, in de gemeente Rosmalen en de provincie Noord-Brabant. Het object heeft een oppervlakte van 205 m², wat relatief groot is. Het perceel waarop het adres ligt is 1173 m² groot. In vergelijking met de andere adressen in de straat is de oppervlakte van dit object relatief groot. Het grootste verblijfsobject heeft een oppervlakte van 838 m², de oppervlakte van het kleinste object bedraagt 31 m². Peter de Gorterstraat 7-B bevindt zich in een pand uit het jaar 1950. Daarmee behoort het tot de groep relatief oude panden in Nederland die gebouwd zijn vóór 1965. Het bouwjaar is oud vergeleken met dat van de andere panden in de straat. Het oudste bouwjaar is er 1876 en de nieuwste is 2021. Het verblijfsobject heeft de volgende gebruiksdoelen: 'woonfunctie'.
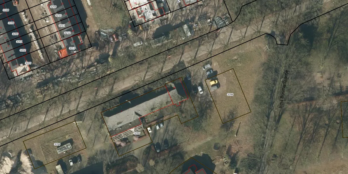
Het perceel waarop het adres ligt is RML00-D-3295. De afkorting 'RML00' staat voor kadastrale gemeente Rosmalen. Het perceel is kleiner dan gemiddeld in Rosmalen. Het perceel is 1173 m² groot, terwijl het gemiddelde ligt op 1832,77 m². Het grootste perceel in de kadastrale gemeente is 34,9 ha. Het kleinste perceel heeft een oppervlakte van 0 m². Er zijn 3 adressen aanwezig op het perceel. In de Basisregistratie Kadaster (BRK) werden de grenzen van het perceel geregistreerd op 24-11-2023.
Er is geen energielabel geregistreerd voor het adres. Het hoogste energielabel in de straat is G; het laagste is G. Het gemiddelde energielabel is er G. Het adres Peter de Gorterstraat 7-B heeft als status: 'verblijfsobject in gebruik'. Het pand waarin dit adres ligt heeft als status: 'pand in gebruik'.
Peter de Gorterstraat 7-B is een adres gelegen in de gemeente 's-Hertogenbosch, provincie Noord-Brabant. Dit adres is geregistreerd in de Basisregistratie Adressen en Gebouwen (BAG) met als unieke identificatie 0796010000319050.
Het pand op Peter de Gorterstraat 7-B is gebouwd in 1950, wat betekent dat het 76 jaar oud is. Dit is een ouder pand. Het pand heeft mogelijk aanzienlijke renovaties nodig om aan de huidige standaarden te voldoen.
De woning op Peter de Gorterstraat 7-B heeft een gebruiksoppervlakte van 205 m². Dit is ruim vergeleken met de gemiddelde Nederlandse woning, die een oppervlakte heeft van ongeveer 119 m². De gebruiksoppervlakte is de maat die wordt gebruikt in de BAG-registratie, de landelijke registratie van de Nederlandse overheid.
Peter de Gorterstraat 7-B heeft als functie: wonen. Deze gebruiksfunctie(s) zijn vastgelegd in de BAG-registratie en geven aan waarvoor het adres officieel mag worden gebruikt.
Peter de Gorterstraat 7-B is gelegen op kadastraal perceel RML00D3295. Deze kadastrale aanduiding is uniek en wordt gebruikt door het Kadaster om eigendomsrechten en andere zakelijke rechten vast te leggen. Het perceel maakt onderdeel uit van de kadastrale gemeente Rosmalen.
Het perceel waarop Peter de Gorterstraat 7-B staat heeft een oppervlakte van 1173 m². Dit is een zeer groot perceel. De perceeloppervlakte wordt geregistreerd door het Kadaster. Gedetailleerde informatie over de maten van dit perceel kunt u vinden in het rapport Kadastrale kaart met maatvoering van Peter de Gorterstraat 7-B.
De eigenaar van Peter de Gorterstraat 7-B is op te vragen op deze pagina
De informatie over dit adres is afkomstig uit officiële overheidsregistraties, voornamelijk de Basisregistratie Adressen en Gebouwen (BAG) en de Basisregistratie Kadaster (BRK). Deze gegevens worden beheerd door respectievelijk gemeenten en het Kadaster, en worden regelmatig bijgewerkt. Energielabelgegevens komen uit de database van de Rijksdienst voor Ondernemend Nederland (RVO).
