
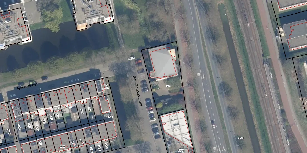
Ben-Goerionstraat 2 is gelegen in de plaats Rotterdam, de gemeente Rotterdam en de provincie Zuid-Holland. De oppervlakte bedraagt 497 m², waarmee het adres groter dan gemiddeld is. De grootte van het perceel waarop het adres ligt is 935 m². Het object is klein ten opzichte van de andere adressen in de straat. Het grootste verblijfsobject is 936 m² groot en het kleinste is 5 m². Ben-Goerionstraat 2 ligt in een gebouw uit het jaar 1995. Daarmee behoort het tot de groep panden van na 1984, die we als relatief nieuw bestempelen. In de straat is dit het nieuwste pand en stamt het oudste object uit het jaar 1994. Het gemiddelde bouwjaar in de straat is 1994. Voor het verblijfsobject gelden deze gebruiksdoelen: 'bijeenkomstfunctie'.
Het perceel waarop het adres ligt is KLG00-C-4574. De afkorting 'KLG00' staat voor kadastrale gemeente Kralingen. De gemiddelde perceelgrootte in Kralingen is 1363,67 m². Dit perceel is kleiner: de perceeloppervlakte bedraagt 935 m². Het grootste perceel in de kadastrale gemeente is 1,32 km². Het kleinste perceel heeft een oppervlakte van 0 m². Er zijn geen andere adressen aanwezig op het perceel. De laatste wijziging in het de Basisregistratie Kadaster (BRK) was op 21-12-2009.
Er is geen energielabel geregistreerd voor het adres. Het hoogste energielabel in de straat is B; het laagste is G. Het gemiddelde energielabel is er B. Het adres Ben-Goerionstraat 2 heeft als status: 'verblijfsobject in gebruik'. Het pand waarin dit adres ligt heeft als status: 'pand in gebruik'.
Ben-Goerionstraat 2 is een adres gelegen in de gemeente Rotterdam, provincie Zuid-Holland. Dit adres is geregistreerd in de Basisregistratie Adressen en Gebouwen (BAG) met als unieke identificatie 0599010000336928.
Het pand op Ben-Goerionstraat 2 is gebouwd in 1995, wat betekent dat het 31 jaar oud is. Dit is een pand van middelbare leeftijd. Het pand is van gemiddelde leeftijd en zal waarschijnlijk verouderde elementen bevatten.
De woning op Ben-Goerionstraat 2 heeft een gebruiksoppervlakte van 497 m². Dit is ruim vergeleken met de gemiddelde Nederlandse woning, die een oppervlakte heeft van ongeveer 119 m². De gebruiksoppervlakte is de maat die wordt gebruikt in de BAG-registratie, de landelijke registratie van de Nederlandse overheid.
Ben-Goerionstraat 2 heeft als functie: bijeenkomsten. Deze gebruiksfunctie(s) zijn vastgelegd in de BAG-registratie en geven aan waarvoor het adres officieel mag worden gebruikt.
Ben-Goerionstraat 2 is gelegen op kadastraal perceel KLG00C4574. Deze kadastrale aanduiding is uniek en wordt gebruikt door het Kadaster om eigendomsrechten en andere zakelijke rechten vast te leggen. Het perceel maakt onderdeel uit van de kadastrale gemeente Kralingen.
Het perceel waarop Ben-Goerionstraat 2 staat heeft een oppervlakte van 935 m². Dit is een groot perceel. De perceeloppervlakte wordt geregistreerd door het Kadaster. Gedetailleerde informatie over de maten van dit perceel kunt u vinden in het rapport Kadastrale kaart met maatvoering van Ben-Goerionstraat 2.
De eigenaar van Ben-Goerionstraat 2 is op te vragen op deze pagina.
De informatie over dit adres is afkomstig uit officiële overheidsregistraties, voornamelijk de Basisregistratie Adressen en Gebouwen (BAG) en de Basisregistratie Kadaster (BRK). Deze gegevens worden beheerd door respectievelijk gemeenten en het Kadaster, en worden regelmatig bijgewerkt. Energielabelgegevens komen uit de database van de Rijksdienst voor Ondernemend Nederland (RVO).
