
Eksterstraat 28-B is een adres in Rotterdam, dat zich bevindt binnen de gemeentegrenzen van Rotterdam en de grenzen van de provincie Zuid-Holland. Het verblijfsobject is 123 m² groot en bevindt zich op een perceel met een oppervlakte van 2517 m². Gemiddeld hebben adressen in Nederland een oppervlakte van 119 m². De oppervlakte van het adres is klein vergeleken met de andere objecten in de straat. De oppervlakte van het kleinste object in de straat bedraagt 22 m², terwijl het grootste object 1900 m² groot is. Het adres Eksterstraat 28-B ligt in een relatief oud pand uit het jaar 1948. Panden van vóór het jaar 1965 hebben we hier geclassificeerd als oud. Het bouwjaar is oud vergeleken met dat van de andere panden in de straat. Het oudste bouwjaar is er 1926 en de nieuwste is 2004. Het verblijfsobject heeft de volgende gebruiksdoelen: 'woonfunctie'.
Deze woning is voor het laatst verkocht op 1 maart 2020. Meer informatie over deze transactie? Bestel het Woningtransactierapport om de verkoopprijs en andere informatie te zien.
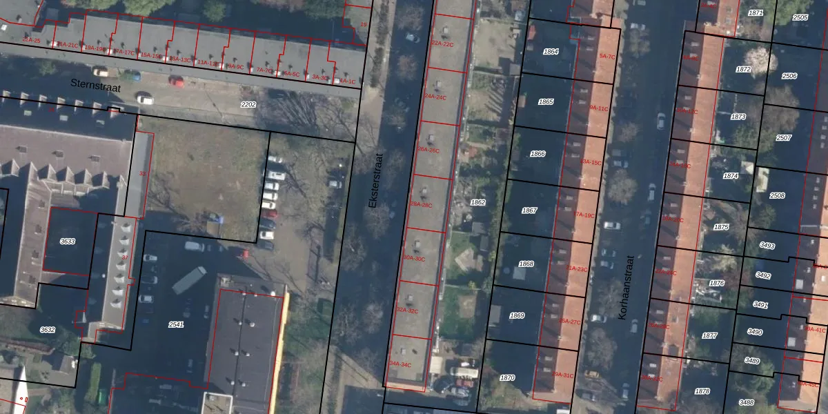
Het adres is gelegen op perceel 1862 in de sectie H en de kadastrale gemeente Charlois. De kadastrale aanduiding is aldus CLS00-H-1862. De gemiddelde perceeloppervlakte in de kadastrale gemeente Charlois is 1147,69 m². Dit perceel is met zijn 2517 m² dus groter dan gemiddeld. De grootste perceeloppervlakte in de kadastrale gemeente is 1,09 km². De kleinste oppervlakte bedraagt 0 m². Er zijn 27 adressen aanwezig op het perceel. De huidige grenzen van het perceel zijn digitaal in de Basisregistratie Kadaster (BRK) geregistreerd op 30-11-2006.
Het adres ligt in een gebouw van het type 'flatwoning (overig) met het subtype tussenmidden'. Bij de laatste meting is voor het adres het energielabel D geregistreerd. Het hoogste energielabel in de straat is A; het laagste is G. Het gemiddelde energielabel is er D. Het adres Eksterstraat 28-B heeft als status: 'verblijfsobject in gebruik'. Het pand waarin dit adres ligt heeft als status: 'pand in gebruik'.
Eksterstraat 28-B is een adres gelegen in de gemeente Rotterdam, provincie Zuid-Holland. Dit adres is geregistreerd in de Basisregistratie Adressen en Gebouwen (BAG) met als unieke identificatie 0599010000307536.
Het pand op Eksterstraat 28-B is gebouwd in 1948, wat betekent dat het 78 jaar oud is. Dit is een ouder pand. Het pand heeft mogelijk aanzienlijke renovaties nodig om aan de huidige standaarden te voldoen.
De woning op Eksterstraat 28-B heeft een gebruiksoppervlakte van 123 m². Dit is gemiddeld vergeleken met de gemiddelde Nederlandse woning, die een oppervlakte heeft van ongeveer 119 m². De gebruiksoppervlakte is de maat die wordt gebruikt in de BAG-registratie, de landelijke registratie van de Nederlandse overheid.
Eksterstraat 28-B heeft als functie: wonen. Deze gebruiksfunctie(s) zijn vastgelegd in de BAG-registratie en geven aan waarvoor het adres officieel mag worden gebruikt.
Eksterstraat 28-B is gelegen op kadastraal perceel CLS00H1862. Deze kadastrale aanduiding is uniek en wordt gebruikt door het Kadaster om eigendomsrechten en andere zakelijke rechten vast te leggen. Het perceel maakt onderdeel uit van de kadastrale gemeente Charlois.
Het perceel waarop Eksterstraat 28-B staat heeft een oppervlakte van 2517 m². Dit is een zeer groot perceel. De perceeloppervlakte wordt geregistreerd door het Kadaster. Gedetailleerde informatie over de maten van dit perceel kunt u vinden in het rapport Kadastrale kaart met maatvoering van Eksterstraat 28-B.
De eigenaar van Eksterstraat 28-B is op te vragen op deze pagina.
De informatie over dit adres is afkomstig uit officiële overheidsregistraties, voornamelijk de Basisregistratie Adressen en Gebouwen (BAG) en de Basisregistratie Kadaster (BRK). Deze gegevens worden beheerd door respectievelijk gemeenten en het Kadaster, en worden regelmatig bijgewerkt. Energielabelgegevens komen uit de database van de Rijksdienst voor Ondernemend Nederland (RVO).
