
Espelo 83 is een adres in Rotterdam, dat zich bevindt binnen de gemeentegrenzen van Rotterdam en de grenzen van de provincie Zuid-Holland. Het perceel waarop het adres gelegen is heeft een oppervlakte van 3739 m². Het verblijfsobject is met 44 m² relatief klein. Dit is het kleinste object van de straat. De gemiddelde oppervlakte van verblijfsobjecten is er 70 m². De grootste oppervlakte in de straat is 1005 m². Espelo 83 bevindt zich in een pand uit het jaar 1958. Daarmee behoort het tot de groep relatief oude panden in Nederland die gebouwd zijn vóór 1965. Het bouwjaar is oud vergeleken met dat van de andere panden in de straat. Het oudste bouwjaar is er 1957 en de nieuwste is 1967. Het verblijfsobject heeft de volgende gebruiksdoelen: 'woonfunctie'.
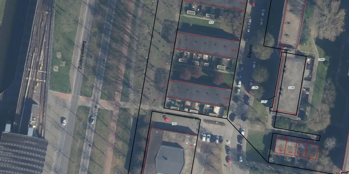
Het adres is gelegen op perceel 926 in de sectie K en de kadastrale gemeente Charlois. De kadastrale aanduiding is aldus CLS00-K-926. De gemiddelde perceeloppervlakte in de kadastrale gemeente Charlois is 1147,3 m². Dit perceel is met zijn 3739 m² dus groter dan gemiddeld. Het grootste perceel in de kadastrale gemeente is 1,09 km². Het kleinste perceel heeft een oppervlakte van 0 m². Er zijn 48 adressen aanwezig op het perceel. De huidige grenzen van het perceel zijn digitaal in de Basisregistratie Kadaster (BRK) geregistreerd op 23-04-2003.
Het adres ligt in een gebouw van het type 'appartement met het subtype hoekvloer'. Bij de laatste meting is voor het adres het energielabel C geregistreerd. Het hoogste energielabel in de straat is A; het laagste is G. Het gemiddelde energielabel is er B. Het adres Espelo 83 heeft als status: 'verblijfsobject in gebruik'. Het pand waarin dit adres ligt heeft als status: 'pand in gebruik'.
Espelo 83 is een adres gelegen in de gemeente Rotterdam, provincie Zuid-Holland. Dit adres is geregistreerd in de Basisregistratie Adressen en Gebouwen (BAG) met als unieke identificatie 0599010000108391.
Het pand op Espelo 83 is gebouwd in 1958, wat betekent dat het 68 jaar oud is. Dit is een ouder pand. Het pand heeft mogelijk aanzienlijke renovaties nodig om aan de huidige standaarden te voldoen.
De woning op Espelo 83 heeft een gebruiksoppervlakte van 44 m². Dit is relatief klein vergeleken met de gemiddelde Nederlandse woning, die een oppervlakte heeft van ongeveer 119 m². De gebruiksoppervlakte is de maat die wordt gebruikt in de BAG-registratie, de landelijke registratie van de Nederlandse overheid.
Espelo 83 heeft als functie: wonen. Deze gebruiksfunctie(s) zijn vastgelegd in de BAG-registratie en geven aan waarvoor het adres officieel mag worden gebruikt.
Espelo 83 is gelegen op kadastraal perceel CLS00K926. Deze kadastrale aanduiding is uniek en wordt gebruikt door het Kadaster om eigendomsrechten en andere zakelijke rechten vast te leggen. Het perceel maakt onderdeel uit van de kadastrale gemeente Charlois.
Het perceel waarop Espelo 83 staat heeft een oppervlakte van 3739 m². Dit is een zeer groot perceel. De perceeloppervlakte wordt geregistreerd door het Kadaster. Gedetailleerde informatie over de maten van dit perceel kunt u vinden in het rapport Kadastrale kaart met maatvoering van Espelo 83.
De eigenaar van Espelo 83 is op te vragen op deze pagina.
De informatie over dit adres is afkomstig uit officiële overheidsregistraties, voornamelijk de Basisregistratie Adressen en Gebouwen (BAG) en de Basisregistratie Kadaster (BRK). Deze gegevens worden beheerd door respectievelijk gemeenten en het Kadaster, en worden regelmatig bijgewerkt. Energielabelgegevens komen uit de database van de Rijksdienst voor Ondernemend Nederland (RVO).
