
Het adres Feijenoorddijk 130 bevindt zich in de plaats Rotterdam, in de gemeente Rotterdam en de provincie Zuid-Holland. Het verblijfsobject is vergeleken met het Nederlandse gemiddelde aan de kleine kant: de oppervlakte is 9 m². Het perceel waarop het adres zich bevindt heeft een oppervlakte van 14 m². Er zijn geen kleinere objecten in deze straat. De gemiddelde oppervlakte is er 83 m². Het grootste verblijfsobject is 137 m². De meeste Nederlandse gebouwen zijn gebouwd in de periode 1965-1984. Zo ook het pand waarin Feijenoorddijk 130 ligt, dat gebouwd is in 1976. Gemiddeld zijn de gebouwen in de straat gebouwd in 1987. Dit is het oudste pand in de straat. Het meest recente komt uit het jaar 2016. De volgende gebruiksdoelen zijn geregistreerd voor dit adres: 'overige gebruiksfunctie'.
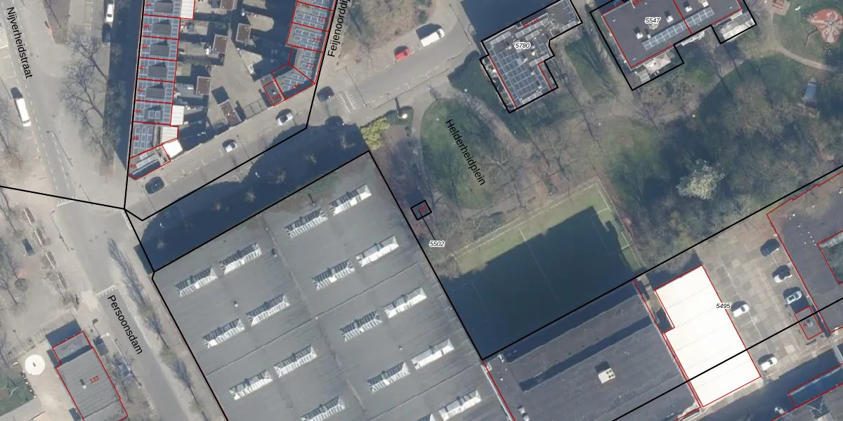
Het adres ligt op het perceel RTD05-Q-5502, dat zich in de kadastrale gemeente Rotterdam bevindt. Het perceel is 14 m² groot. Dat is kleiner dan de gemiddelde perceeloppervlakte in Rotterdam, dat op 1401,79 m² ligt. De grootste perceeloppervlakte in de kadastrale gemeente is 36,8 ha. De kleinste oppervlakte bedraagt 0 m². Op het perceel bevinden zich geen andere adressen. In de Basisregistratie Kadaster (BRK) werden de grenzen van het perceel geregistreerd op 12-08-2003.
Er is geen energielabel geregistreerd voor het adres. Het hoogste energielabel in de straat is A++; het laagste is G. Het gemiddelde energielabel is er B. Het adres Feijenoorddijk 130 heeft als status: 'verblijfsobject in gebruik'. Het pand waarin dit adres ligt heeft als status: 'pand in gebruik'.
Feijenoorddijk 130 is een adres gelegen in de gemeente Rotterdam, provincie Zuid-Holland. Dit adres is geregistreerd in de Basisregistratie Adressen en Gebouwen (BAG) met als unieke identificatie 0599010400003693.
Het pand op Feijenoorddijk 130 is gebouwd in 1976, wat betekent dat het 50 jaar oud is. Dit is een ouder pand. Het pand heeft mogelijk aanzienlijke renovaties nodig om aan de huidige standaarden te voldoen.
De woning op Feijenoorddijk 130 heeft een gebruiksoppervlakte van 9 m². Dit is relatief klein vergeleken met de gemiddelde Nederlandse woning, die een oppervlakte heeft van ongeveer 119 m². De gebruiksoppervlakte is de maat die wordt gebruikt in de BAG-registratie, de landelijke registratie van de Nederlandse overheid.
Feijenoorddijk 130 heeft als functie: overige doeleinden. Deze gebruiksfunctie(s) zijn vastgelegd in de BAG-registratie en geven aan waarvoor het adres officieel mag worden gebruikt.
Feijenoorddijk 130 is gelegen op kadastraal perceel RTD05Q5502. Deze kadastrale aanduiding is uniek en wordt gebruikt door het Kadaster om eigendomsrechten en andere zakelijke rechten vast te leggen. Het perceel maakt onderdeel uit van de kadastrale gemeente Rotterdam.
Het perceel waarop Feijenoorddijk 130 staat heeft een oppervlakte van 14 m². Dit is een klein perceel. De perceeloppervlakte wordt geregistreerd door het Kadaster. Gedetailleerde informatie over de maten van dit perceel kunt u vinden in het rapport Kadastrale kaart met maatvoering van Feijenoorddijk 130.
De eigenaar van Feijenoorddijk 130 is op te vragen op deze pagina.
De informatie over dit adres is afkomstig uit officiële overheidsregistraties, voornamelijk de Basisregistratie Adressen en Gebouwen (BAG) en de Basisregistratie Kadaster (BRK). Deze gegevens worden beheerd door respectievelijk gemeenten en het Kadaster, en worden regelmatig bijgewerkt. Energielabelgegevens komen uit de database van de Rijksdienst voor Ondernemend Nederland (RVO).
