
Hamakerstraat 606 is een adres in Rotterdam, dat zich bevindt binnen de gemeentegrenzen van Rotterdam en de grenzen van de provincie Zuid-Holland. Het perceel waarop het adres gelegen is heeft een oppervlakte van 2808 m². Het verblijfsobject is met 60 m² relatief klein. De oppervlakte van het adres is klein vergeleken met de andere objecten in de straat. De oppervlakte van het kleinste object in de straat bedraagt 22 m², terwijl het grootste object 1,3 ha groot is. In Nederland komt het grootste deel van de gebouwen uit de periode 1965-1984. Ook het bouwjaar van Hamakerstraat 606 is afkomstig uit die periode: het betreft namelijk een pand uit 1976. Het gemiddelde bouwjaar in de straat is 1966 en dat van het oudste pand is 1963. Dit is het nieuwste object in de straat. De volgende gebruiksdoelen zijn geregistreerd voor dit adres: 'woonfunctie'.
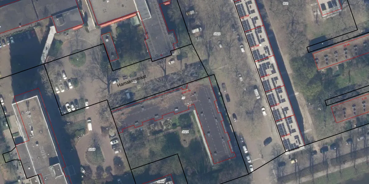
Het adres is gelegen op perceel 1021 in de sectie D en de kadastrale gemeente Schiebroek. De kadastrale aanduiding is aldus SBK01-D-1021. De oppervlakte van het perceel is 2808 m². Dat is groter dan gemiddeld in Schiebroek, waar de gemiddelde perceeloppervlakte op 1441,09 m² ligt. Het grootste perceel in de kadastrale gemeente is 36,7 ha. Het kleinste perceel heeft een oppervlakte van 0 m². Er zijn 43 adressen aanwezig op het perceel. De huidige grenzen van het perceel zijn digitaal in de Basisregistratie Kadaster (BRK) geregistreerd op 05-12-2002.
Het adres ligt in een gebouw van het type 'flatwoning (overig) met het subtype tussendak'. Bij de laatste meting is voor het adres het energielabel B geregistreerd. Het hoogste energielabel in de straat is A; het laagste is G. Het gemiddelde energielabel is er D. Het adres Hamakerstraat 606 heeft als status: 'verblijfsobject in gebruik'. Het pand waarin dit adres ligt heeft als status: 'pand in gebruik'.
Hamakerstraat 606 is een adres gelegen in de gemeente Rotterdam, provincie Zuid-Holland. Dit adres is geregistreerd in de Basisregistratie Adressen en Gebouwen (BAG) met als unieke identificatie 0599010000230191.
Het pand op Hamakerstraat 606 is gebouwd in 1976, wat betekent dat het 50 jaar oud is. Dit is een ouder pand. Het pand heeft mogelijk aanzienlijke renovaties nodig om aan de huidige standaarden te voldoen.
De woning op Hamakerstraat 606 heeft een gebruiksoppervlakte van 60 m². Dit is relatief klein vergeleken met de gemiddelde Nederlandse woning, die een oppervlakte heeft van ongeveer 119 m². De gebruiksoppervlakte is de maat die wordt gebruikt in de BAG-registratie, de landelijke registratie van de Nederlandse overheid.
Hamakerstraat 606 heeft als functie: wonen. Deze gebruiksfunctie(s) zijn vastgelegd in de BAG-registratie en geven aan waarvoor het adres officieel mag worden gebruikt.
Hamakerstraat 606 is gelegen op kadastraal perceel SBK01D1021. Deze kadastrale aanduiding is uniek en wordt gebruikt door het Kadaster om eigendomsrechten en andere zakelijke rechten vast te leggen. Het perceel maakt onderdeel uit van de kadastrale gemeente Schiebroek.
Het perceel waarop Hamakerstraat 606 staat heeft een oppervlakte van 2808 m². Dit is een zeer groot perceel. De perceeloppervlakte wordt geregistreerd door het Kadaster. Gedetailleerde informatie over de maten van dit perceel kunt u vinden in het rapport Kadastrale kaart met maatvoering van Hamakerstraat 606.
De eigenaar van Hamakerstraat 606 is op te vragen op deze pagina.
De informatie over dit adres is afkomstig uit officiële overheidsregistraties, voornamelijk de Basisregistratie Adressen en Gebouwen (BAG) en de Basisregistratie Kadaster (BRK). Deze gegevens worden beheerd door respectievelijk gemeenten en het Kadaster, en worden regelmatig bijgewerkt. Energielabelgegevens komen uit de database van de Rijksdienst voor Ondernemend Nederland (RVO).
