
Het adres Hendrick Staetsweg 443 bevindt zich in de plaats Rotterdam, in de gemeente Rotterdam en de provincie Zuid-Holland. De oppervlakte van het object bedraagt 49 m². Dat is klein vergeleken met het Nederlandse gemiddelde. Het perceel waarop het adres ligt is 9757 m² groot. Dit is het kleinste object van de straat. De gemiddelde oppervlakte van verblijfsobjecten is er 59 m². De grootste oppervlakte in de straat is 1404 m². De meeste Nederlandse gebouwen zijn gebouwd in de periode 1965-1984. Zo ook het pand waarin Hendrick Staetsweg 443 ligt, dat gebouwd is in 1971. In de straat is dit het nieuwste pand en stamt het oudste object uit het jaar 1964. Het gemiddelde bouwjaar in de straat is 1971. Voor het verblijfsobject gelden deze gebruiksdoelen: 'woonfunctie'.
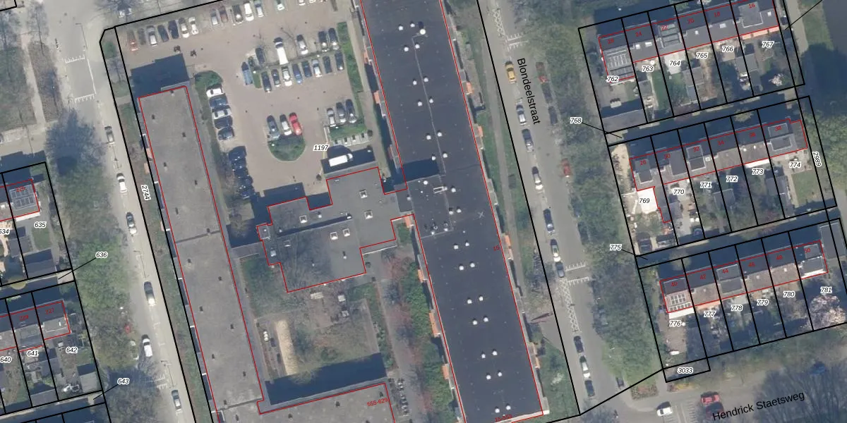
Het adres is gelegen op perceel 1197 in de sectie K en de kadastrale gemeente Kralingen. De kadastrale aanduiding is aldus KLG00-K-1197. Het perceel is met 9757 m² relatief groot. Het gemiddelde ligt in de kadastrale gemeente Kralingen op 1363,67 m². De grootste perceeloppervlakte in de kadastrale gemeente is 1,32 km². De kleinste oppervlakte bedraagt 0 m². Op het perceel zijn 292 adressen aanwezig. In de Basisregistratie Kadaster (BRK) werden de grenzen van het perceel geregistreerd op 08-06-2011.
Het adres ligt in een gebouw van het type 'flatwoning (overig) met het subtype hoekmidden'. Bij de laatste meting is voor het adres het energielabel B geregistreerd. Het hoogste energielabel in de straat is B; het laagste is G. Het gemiddelde energielabel is er B. Het adres Hendrick Staetsweg 443 heeft als status: 'verblijfsobject in gebruik'. Het pand waarin dit adres ligt heeft als status: 'pand in gebruik'.
Hendrick Staetsweg 443 is een adres gelegen in de gemeente Rotterdam, provincie Zuid-Holland. Dit adres is geregistreerd in de Basisregistratie Adressen en Gebouwen (BAG) met als unieke identificatie 0599010000220144.
Het pand op Hendrick Staetsweg 443 is gebouwd in 1971, wat betekent dat het 55 jaar oud is. Dit is een ouder pand. Het pand heeft mogelijk aanzienlijke renovaties nodig om aan de huidige standaarden te voldoen.
De woning op Hendrick Staetsweg 443 heeft een gebruiksoppervlakte van 49 m². Dit is relatief klein vergeleken met de gemiddelde Nederlandse woning, die een oppervlakte heeft van ongeveer 119 m². De gebruiksoppervlakte is de maat die wordt gebruikt in de BAG-registratie, de landelijke registratie van de Nederlandse overheid.
Hendrick Staetsweg 443 heeft als functie: wonen. Deze gebruiksfunctie(s) zijn vastgelegd in de BAG-registratie en geven aan waarvoor het adres officieel mag worden gebruikt.
Hendrick Staetsweg 443 is gelegen op kadastraal perceel KLG00K1197. Deze kadastrale aanduiding is uniek en wordt gebruikt door het Kadaster om eigendomsrechten en andere zakelijke rechten vast te leggen. Het perceel maakt onderdeel uit van de kadastrale gemeente Kralingen.
Het perceel waarop Hendrick Staetsweg 443 staat heeft een oppervlakte van 9757 m². Dit is een zeer groot perceel. De perceeloppervlakte wordt geregistreerd door het Kadaster. Gedetailleerde informatie over de maten van dit perceel kunt u vinden in het rapport Kadastrale kaart met maatvoering van Hendrick Staetsweg 443.
De eigenaar van Hendrick Staetsweg 443 is op te vragen op deze pagina.
De informatie over dit adres is afkomstig uit officiële overheidsregistraties, voornamelijk de Basisregistratie Adressen en Gebouwen (BAG) en de Basisregistratie Kadaster (BRK). Deze gegevens worden beheerd door respectievelijk gemeenten en het Kadaster, en worden regelmatig bijgewerkt. Energielabelgegevens komen uit de database van de Rijksdienst voor Ondernemend Nederland (RVO).
