
Laan van Avant-Garde 237 is gelegen in de plaats Rotterdam, de gemeente Rotterdam en de provincie Zuid-Holland. De oppervlakte van het verblijfsobject is met 268 m² aan de grote kant. Het perceel heeft een oppervlakte van 141 m². In vergelijking met de andere adressen in de straat is de oppervlakte van dit object relatief groot. Het grootste verblijfsobject heeft een oppervlakte van 293 m², de oppervlakte van het kleinste object bedraagt 53 m². In het jaar 2005 is het pand waarin Laan van Avant-Garde 237 ligt gebouwd. Dat is relatief recent: de meeste gebouwen in Nederland zijn gebouwd in de periode 1965-1984. Het nieuwste gebouw in de straat komt uit 2021 en het oudste uit 2001. Dit object is relatief oud. Voor het verblijfsobject gelden deze gebruiksdoelen: 'woonfunctie' en 'gezondheidszorgfunctie'.
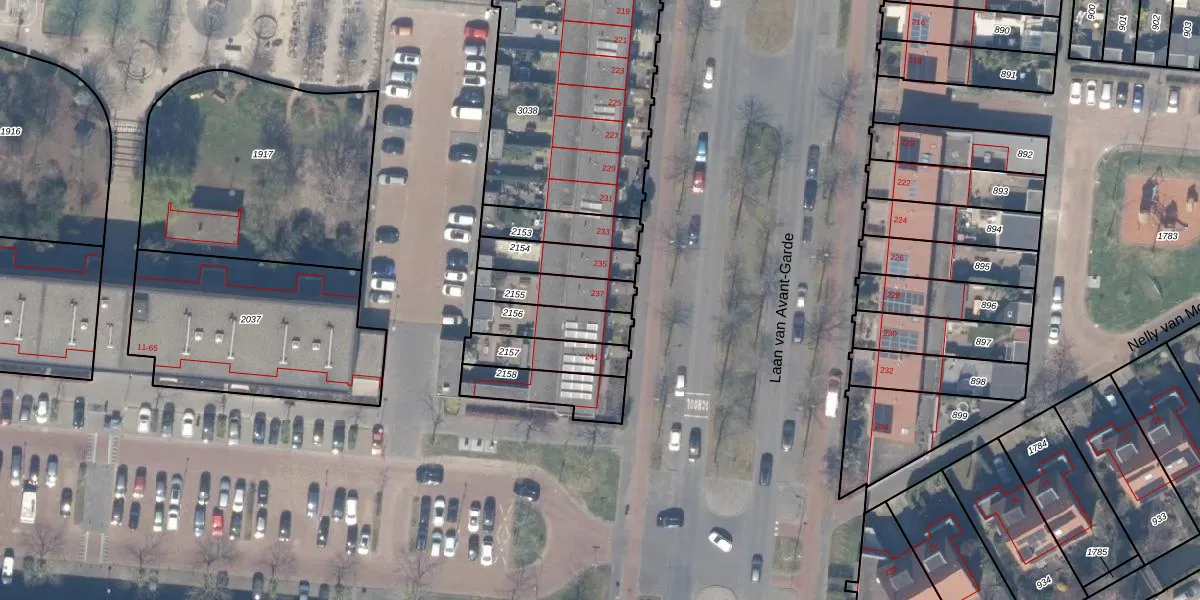
Het perceel waarop het adres ligt is RTD14-BC-2155. De afkorting 'RTD14' staat voor kadastrale gemeente Rotterdam. De gemiddelde perceelgrootte in Rotterdam is 846,14 m². Dit perceel is kleiner: de perceeloppervlakte bedraagt 141 m². De grootste perceeloppervlakte in de kadastrale gemeente is 32,4 ha. De kleinste oppervlakte bedraagt 0 m². Op het perceel bevinden zich geen andere adressen. De laatste wijziging in het de Basisregistratie Kadaster (BRK) was op 07-03-2007.
Er is geen energielabel geregistreerd voor het adres. Het hoogste energielabel in de straat is A++; het laagste is G. Het gemiddelde energielabel is er A. Het adres Laan van Avant-Garde 237 heeft als status: 'verblijfsobject in gebruik'. Het pand waarin dit adres ligt heeft als status: 'pand in gebruik'.
Laan van Avant-Garde 237 is een adres gelegen in de gemeente Rotterdam, provincie Zuid-Holland. Dit adres is geregistreerd in de Basisregistratie Adressen en Gebouwen (BAG) met als unieke identificatie 0599010400017126.
Het pand op Laan van Avant-Garde 237 is gebouwd in 2005, wat betekent dat het 21 jaar oud is. Dit is een relatief modern pand. Ten opzichte van de nationale woningvoorraad is het pand relatief modern, maar er kunnen enkele verouderde elementen zijn die aandacht nodig hebben.
De woning op Laan van Avant-Garde 237 heeft een gebruiksoppervlakte van 268 m². Dit is ruim vergeleken met de gemiddelde Nederlandse woning, die een oppervlakte heeft van ongeveer 119 m². De gebruiksoppervlakte is de maat die wordt gebruikt in de BAG-registratie, de landelijke registratie van de Nederlandse overheid.
Laan van Avant-Garde 237 heeft als functie: wonen en gezondheidszorg. Deze gebruiksfunctie(s) zijn vastgelegd in de BAG-registratie en geven aan waarvoor het adres officieel mag worden gebruikt.
Laan van Avant-Garde 237 is gelegen op kadastraal perceel RTD14BC2155. Deze kadastrale aanduiding is uniek en wordt gebruikt door het Kadaster om eigendomsrechten en andere zakelijke rechten vast te leggen. Het perceel maakt onderdeel uit van de kadastrale gemeente Rotterdam.
Het perceel waarop Laan van Avant-Garde 237 staat heeft een oppervlakte van 141 m². Dit is een middelgroot perceel. De perceeloppervlakte wordt geregistreerd door het Kadaster. Gedetailleerde informatie over de maten van dit perceel kunt u vinden in het rapport Kadastrale kaart met maatvoering van Laan van Avant-Garde 237.
De eigenaar van Laan van Avant-Garde 237 is op te vragen op deze pagina.
De informatie over dit adres is afkomstig uit officiële overheidsregistraties, voornamelijk de Basisregistratie Adressen en Gebouwen (BAG) en de Basisregistratie Kadaster (BRK). Deze gegevens worden beheerd door respectievelijk gemeenten en het Kadaster, en worden regelmatig bijgewerkt. Energielabelgegevens komen uit de database van de Rijksdienst voor Ondernemend Nederland (RVO).
