
Marshallweg 1 is een adres in Rotterdam, dat zich bevindt binnen de gemeentegrenzen van Rotterdam en de grenzen van de provincie Zuid-Holland. De oppervlakte bedraagt 556 m², waarmee het adres groter dan gemiddeld is. De grootte van het perceel waarop het adres ligt is 1291 m². Dit is het adres met de grootste oppervlakte van alle adressen in de straat. Gemiddeld hebben de objecten in de straat een oppervlakte van 125 m². De kleinste oppervlakte is er 67 m². De meeste Nederlandse gebouwen zijn gebouwd in de periode 1965-1984. Zo ook het pand waarin Marshallweg 1 ligt, dat gebouwd is in 1981. Dit is het oudste object in de straat. Het nieuwste pand komt uit 1985 en het gemiddelde bouwjaar in de straat is 1985. Het verblijfsobject heeft de volgende gebruiksdoelen: 'winkelfunctie'.
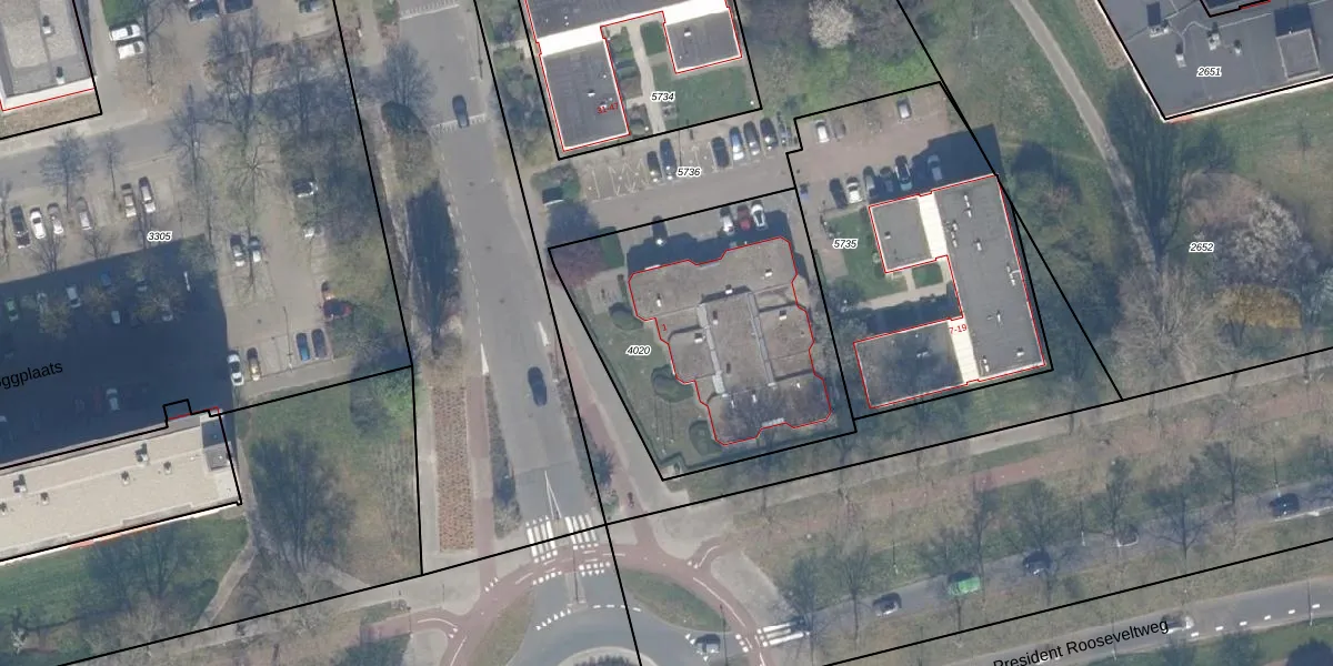
Het adres ligt op het perceel HLG03-B-4020, dat zich in de kadastrale gemeente Hillegersberg bevindt. De gemiddelde perceeloppervlakte in de kadastrale gemeente Hillegersberg is 875,49 m². Dit perceel is met zijn 1291 m² dus groter dan gemiddeld. De grootste perceeloppervlakte in de kadastrale gemeente is 34,1 ha. De kleinste oppervlakte bedraagt 0 m². Er zijn geen andere adressen aanwezig op het perceel. De huidige grenzen van het perceel zijn digitaal in de Basisregistratie Kadaster (BRK) geregistreerd op 14-08-2002.
Bij de laatste meting is voor het adres het energielabel B geregistreerd. Het hoogste energielabel in de straat is B; het laagste is G. Het gemiddelde energielabel is er B. Het adres Marshallweg 1 heeft als status: 'verblijfsobject in gebruik'. Het pand waarin dit adres ligt heeft als status: 'pand in gebruik'.
Marshallweg 1 is een adres gelegen in de gemeente Rotterdam, provincie Zuid-Holland. Dit adres is geregistreerd in de Basisregistratie Adressen en Gebouwen (BAG) met als unieke identificatie 0599010000067702.
Het pand op Marshallweg 1 is gebouwd in 1981, wat betekent dat het 45 jaar oud is. Dit is een pand van middelbare leeftijd. Het pand is van gemiddelde leeftijd en zal waarschijnlijk verouderde elementen bevatten.
De woning op Marshallweg 1 heeft een gebruiksoppervlakte van 556 m². Dit is ruim vergeleken met de gemiddelde Nederlandse woning, die een oppervlakte heeft van ongeveer 119 m². De gebruiksoppervlakte is de maat die wordt gebruikt in de BAG-registratie, de landelijke registratie van de Nederlandse overheid.
Marshallweg 1 heeft als functie: winkel/handel. Deze gebruiksfunctie(s) zijn vastgelegd in de BAG-registratie en geven aan waarvoor het adres officieel mag worden gebruikt.
Marshallweg 1 is gelegen op kadastraal perceel HLG03B4020. Deze kadastrale aanduiding is uniek en wordt gebruikt door het Kadaster om eigendomsrechten en andere zakelijke rechten vast te leggen. Het perceel maakt onderdeel uit van de kadastrale gemeente Hillegersberg.
Het perceel waarop Marshallweg 1 staat heeft een oppervlakte van 1291 m². Dit is een zeer groot perceel. De perceeloppervlakte wordt geregistreerd door het Kadaster. Gedetailleerde informatie over de maten van dit perceel kunt u vinden in het rapport Kadastrale kaart met maatvoering van Marshallweg 1.
De eigenaar van Marshallweg 1 is op te vragen op deze pagina.
De informatie over dit adres is afkomstig uit officiële overheidsregistraties, voornamelijk de Basisregistratie Adressen en Gebouwen (BAG) en de Basisregistratie Kadaster (BRK). Deze gegevens worden beheerd door respectievelijk gemeenten en het Kadaster, en worden regelmatig bijgewerkt. Energielabelgegevens komen uit de database van de Rijksdienst voor Ondernemend Nederland (RVO).
