
Parkkade 29 is gelegen in de plaats Rotterdam, de gemeente Rotterdam en de provincie Zuid-Holland. Het verblijfsobject is vergeleken met het Nederlandse gemiddelde aan de kleine kant: de oppervlakte is 19 m². Het perceel waarop het adres zich bevindt heeft een oppervlakte van 154 m². In de straat is dit het kleinste object. Het grootste verblijfsobject heeft een oppervlakte van 1928 m². De gemiddelde grootte is er 433 m². Het gebouw waarin Parkkade 29 ligt komt uit het jaar 1955. Objecten die gebouwd zijn vóór 1965 classificeren we hier als oud. Dit pand is het meest recent exemplaar in de straat. Het oudste object komt er uit 1937 en het gemiddelde bouwjaar is 1948. Het verblijfsobject heeft de volgende gebruiksdoelen: 'winkelfunctie'.
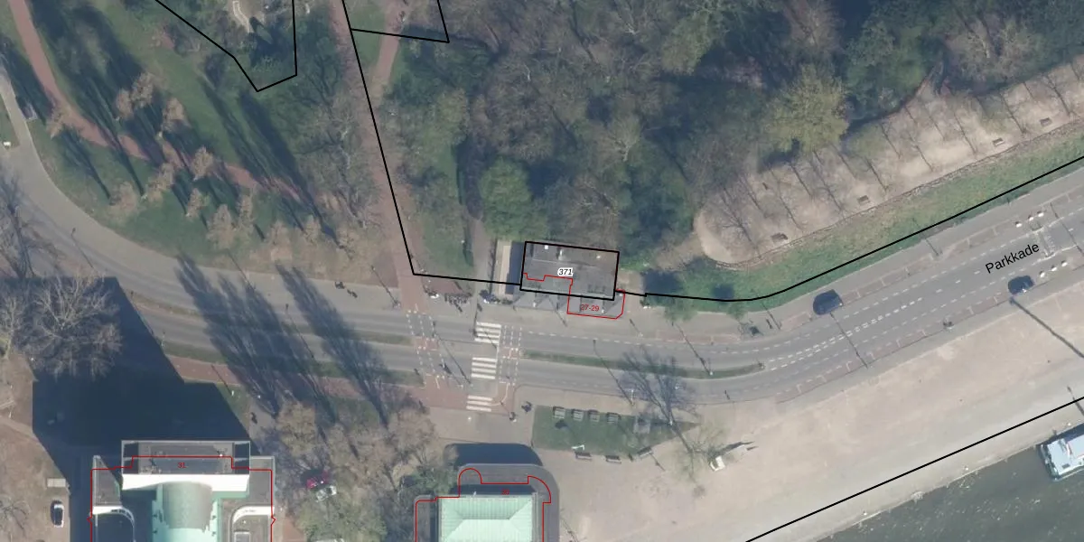
Het perceel waarop het adres ligt is DHV00-G-371. De afkorting 'DHV00' staat voor kadastrale gemeente Delfshaven. Het perceel is kleiner dan gemiddeld in Delfshaven. Het perceel is 154 m² groot, terwijl het gemiddelde ligt op 628,61 m². Het kleinste perceel in de kadastrale gemeente is 0 m² groot. De grootste perceeloppervlakte is 22,2 ha. Op het perceel liggen in totaal 3 adressen. De laatste wijziging in het de Basisregistratie Kadaster (BRK) was op 21-04-2009.
Er is geen energielabel geregistreerd voor het adres. Het hoogste energielabel in de straat is G; het laagste is G. Het gemiddelde energielabel is er G. Het adres Parkkade 29 heeft als status: 'verblijfsobject in gebruik'. Het pand waarin dit adres ligt heeft als status: 'pand in gebruik'.
Parkkade 29 is een adres gelegen in de gemeente Rotterdam, provincie Zuid-Holland. Dit adres is geregistreerd in de Basisregistratie Adressen en Gebouwen (BAG) met als unieke identificatie 0599010000254902.
Het pand op Parkkade 29 is gebouwd in 1955, wat betekent dat het 71 jaar oud is. Dit is een ouder pand. Het pand heeft mogelijk aanzienlijke renovaties nodig om aan de huidige standaarden te voldoen.
De woning op Parkkade 29 heeft een gebruiksoppervlakte van 19 m². Dit is relatief klein vergeleken met de gemiddelde Nederlandse woning, die een oppervlakte heeft van ongeveer 119 m². De gebruiksoppervlakte is de maat die wordt gebruikt in de BAG-registratie, de landelijke registratie van de Nederlandse overheid.
Parkkade 29 heeft als functie: winkel/handel. Deze gebruiksfunctie(s) zijn vastgelegd in de BAG-registratie en geven aan waarvoor het adres officieel mag worden gebruikt.
Parkkade 29 is gelegen op kadastraal perceel DHV00G371. Deze kadastrale aanduiding is uniek en wordt gebruikt door het Kadaster om eigendomsrechten en andere zakelijke rechten vast te leggen. Het perceel maakt onderdeel uit van de kadastrale gemeente Delfshaven.
Het perceel waarop Parkkade 29 staat heeft een oppervlakte van 154 m². Dit is een middelgroot perceel. De perceeloppervlakte wordt geregistreerd door het Kadaster. Gedetailleerde informatie over de maten van dit perceel kunt u vinden in het rapport Kadastrale kaart met maatvoering van Parkkade 29.
De eigenaar van Parkkade 29 is op te vragen op deze pagina.
De informatie over dit adres is afkomstig uit officiële overheidsregistraties, voornamelijk de Basisregistratie Adressen en Gebouwen (BAG) en de Basisregistratie Kadaster (BRK). Deze gegevens worden beheerd door respectievelijk gemeenten en het Kadaster, en worden regelmatig bijgewerkt. Energielabelgegevens komen uit de database van de Rijksdienst voor Ondernemend Nederland (RVO).
