
Het adres Rusthoflaan 59-A bevindt zich in de plaats Rotterdam, in de gemeente Rotterdam en de provincie Zuid-Holland. De oppervlakte van het object bedraagt 98 m². Dat is klein vergeleken met het Nederlandse gemiddelde. Het perceel waarop het adres ligt is 81 m² groot. Vergeleken met de andere verblijfsobjecten in de straat is dit object groot. De oppervlakte van het grootste object in de straat is 2056 m², die van het kleinste bedraagt 42 m². Rusthoflaan 59-A bevindt zich in een pand uit het jaar 1924. Daarmee behoort het tot de groep relatief oude panden in Nederland die gebouwd zijn vóór 1965. In de straat komt het nieuwste gebouw uit het jaar 2014 en het oudste uit 1915. Het bouwjaar van dit object is relatief oud. De volgende gebruiksdoelen zijn geregistreerd voor dit adres: 'woonfunctie'.
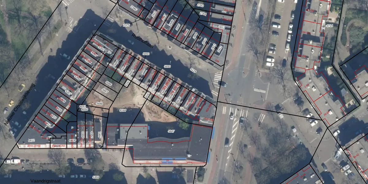
Het adres is gelegen op perceel 6636 in de sectie R en de kadastrale gemeente Rotterdam. De kadastrale aanduiding is aldus RTD07-R-6636. Het perceel is 81 m² groot. Dat is kleiner dan de gemiddelde perceeloppervlakte in Rotterdam, dat op 506,86 m² ligt. Het grootste perceel in de kadastrale gemeente is 10,8 ha. Het kleinste perceel heeft een oppervlakte van 0 m². Op het perceel zijn 4 adressen aanwezig. In de Basisregistratie Kadaster (BRK) werden de grenzen van het perceel geregistreerd op 24-01-2003.
Er is geen energielabel geregistreerd voor het adres. Het hoogste energielabel in de straat is A++; het laagste is G. Het gemiddelde energielabel is er B. Het adres Rusthoflaan 59-A heeft als status: 'verblijfsobject gevormd'. Het pand waarin dit adres ligt heeft als status: 'pand in gebruik'.
Rusthoflaan 59-A is een adres gelegen in de gemeente Rotterdam, provincie Zuid-Holland. Dit adres is geregistreerd in de Basisregistratie Adressen en Gebouwen (BAG) met als unieke identificatie 0599010110050862.
Het pand op Rusthoflaan 59-A is gebouwd in 1924, wat betekent dat het 102 jaar oud is. Dit is een ouder pand. Het pand heeft mogelijk aanzienlijke renovaties nodig om aan de huidige standaarden te voldoen.
De woning op Rusthoflaan 59-A heeft een gebruiksoppervlakte van 98 m². Dit is onder het gemiddelde vergeleken met de gemiddelde Nederlandse woning, die een oppervlakte heeft van ongeveer 119 m². De gebruiksoppervlakte is de maat die wordt gebruikt in de BAG-registratie, de landelijke registratie van de Nederlandse overheid.
Rusthoflaan 59-A heeft als functie: wonen. Deze gebruiksfunctie(s) zijn vastgelegd in de BAG-registratie en geven aan waarvoor het adres officieel mag worden gebruikt.
Rusthoflaan 59-A is gelegen op kadastraal perceel RTD07R6636. Deze kadastrale aanduiding is uniek en wordt gebruikt door het Kadaster om eigendomsrechten en andere zakelijke rechten vast te leggen. Het perceel maakt onderdeel uit van de kadastrale gemeente Rotterdam.
Het perceel waarop Rusthoflaan 59-A staat heeft een oppervlakte van 81 m². Dit is een klein perceel. De perceeloppervlakte wordt geregistreerd door het Kadaster. Gedetailleerde informatie over de maten van dit perceel kunt u vinden in het rapport Kadastrale kaart met maatvoering van Rusthoflaan 59-A.
De eigenaar van Rusthoflaan 59-A is op te vragen op deze pagina.
De informatie over dit adres is afkomstig uit officiële overheidsregistraties, voornamelijk de Basisregistratie Adressen en Gebouwen (BAG) en de Basisregistratie Kadaster (BRK). Deze gegevens worden beheerd door respectievelijk gemeenten en het Kadaster, en worden regelmatig bijgewerkt. Energielabelgegevens komen uit de database van de Rijksdienst voor Ondernemend Nederland (RVO).
