
Sint-Agathastraat 6-A is een adres in Rotterdam, dat zich bevindt binnen de gemeentegrenzen van Rotterdam en de grenzen van de provincie Zuid-Holland. Het perceel waarop het adres gelegen is heeft een oppervlakte van 35 m². Het verblijfsobject is met 53 m² relatief klein. Het object is klein ten opzichte van de andere adressen in de straat. Het grootste verblijfsobject is 3306 m² groot en het kleinste is 47 m². Het gebouw waarin Sint-Agathastraat 6-A ligt komt uit het jaar 1924. Objecten die gebouwd zijn vóór 1965 classificeren we hier als oud. Het bouwjaar is oud vergeleken met dat van de andere panden in de straat. Het oudste bouwjaar is er 1907 en de nieuwste is 2004. Voor het verblijfsobject gelden deze gebruiksdoelen: 'industriefunctie'.
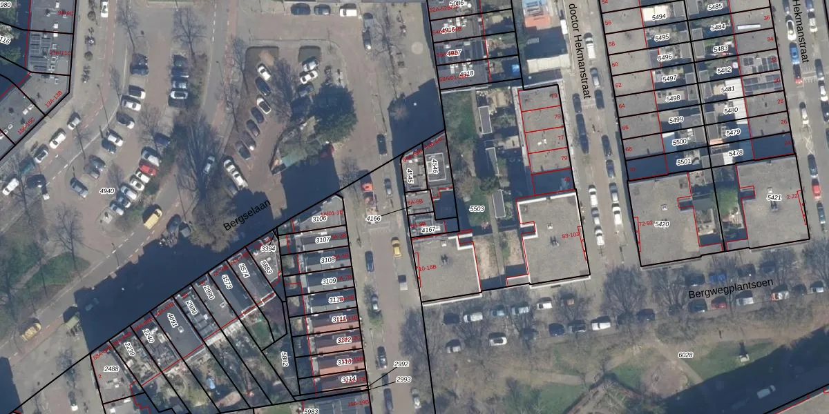
Het perceel waarop het adres ligt is RTD09-Y-4166. De afkorting 'RTD09' staat voor kadastrale gemeente Rotterdam. De gemiddelde perceelgrootte in Rotterdam is 443,14 m². Dit perceel is kleiner: de perceeloppervlakte bedraagt 35 m². Het kleinste perceel in de kadastrale gemeente is 0 m² groot. De grootste perceeloppervlakte is 7,0 ha. Er zijn 2 adressen aanwezig op het perceel. De huidige grenzen van het perceel zijn digitaal in de Basisregistratie Kadaster (BRK) geregistreerd op 04-12-2002.
Er is geen energielabel geregistreerd voor het adres. Het hoogste energielabel in de straat is A+; het laagste is G. Het gemiddelde energielabel is er B. Het adres Sint-Agathastraat 6-A heeft als status: 'verblijfsobject in gebruik'. Het pand waarin dit adres ligt heeft als status: 'pand in gebruik'.
Sint-Agathastraat 6-A is een adres gelegen in de gemeente Rotterdam, provincie Zuid-Holland. Dit adres is geregistreerd in de Basisregistratie Adressen en Gebouwen (BAG) met als unieke identificatie 0599010000314300.
Het pand op Sint-Agathastraat 6-A is gebouwd in 1924, wat betekent dat het 102 jaar oud is. Dit is een ouder pand. Het pand heeft mogelijk aanzienlijke renovaties nodig om aan de huidige standaarden te voldoen.
De woning op Sint-Agathastraat 6-A heeft een gebruiksoppervlakte van 53 m². Dit is relatief klein vergeleken met de gemiddelde Nederlandse woning, die een oppervlakte heeft van ongeveer 119 m². De gebruiksoppervlakte is de maat die wordt gebruikt in de BAG-registratie, de landelijke registratie van de Nederlandse overheid.
Sint-Agathastraat 6-A heeft als functie: industrie. Deze gebruiksfunctie(s) zijn vastgelegd in de BAG-registratie en geven aan waarvoor het adres officieel mag worden gebruikt.
Sint-Agathastraat 6-A is gelegen op kadastraal perceel RTD09Y4166. Deze kadastrale aanduiding is uniek en wordt gebruikt door het Kadaster om eigendomsrechten en andere zakelijke rechten vast te leggen. Het perceel maakt onderdeel uit van de kadastrale gemeente Rotterdam.
Het perceel waarop Sint-Agathastraat 6-A staat heeft een oppervlakte van 35 m². Dit is een klein perceel. De perceeloppervlakte wordt geregistreerd door het Kadaster. Gedetailleerde informatie over de maten van dit perceel kunt u vinden in het rapport Kadastrale kaart met maatvoering van Sint-Agathastraat 6-A.
De eigenaar van Sint-Agathastraat 6-A is op te vragen op deze pagina.
De informatie over dit adres is afkomstig uit officiële overheidsregistraties, voornamelijk de Basisregistratie Adressen en Gebouwen (BAG) en de Basisregistratie Kadaster (BRK). Deze gegevens worden beheerd door respectievelijk gemeenten en het Kadaster, en worden regelmatig bijgewerkt. Energielabelgegevens komen uit de database van de Rijksdienst voor Ondernemend Nederland (RVO).
