
Slag 20 is gelegen in de plaats Rotterdam, de gemeente Rotterdam en de provincie Zuid-Holland. De oppervlakte van het object bedraagt 85 m². Dat is klein vergeleken met het Nederlandse gemiddelde. Het perceel waarop het adres ligt is 8846 m² groot. Er zijn geen kleinere objecten in deze straat. De gemiddelde oppervlakte is er 192 m². Het grootste verblijfsobject is 1471 m². Het gebouw waarin Slag 20 ligt komt uit het jaar 1921. Objecten die gebouwd zijn vóór 1965 classificeren we hier als oud. Dit is het oudste object in de straat. Het nieuwste pand komt uit 2012 en het gemiddelde bouwjaar in de straat is 1926. Het verblijfsobject heeft de volgende gebruiksdoelen: 'woonfunctie'.
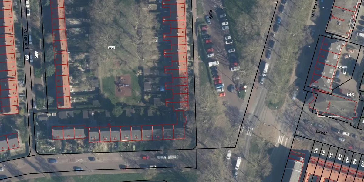
Het adres ligt op het perceel CLS00-F-3103, dat zich in de kadastrale gemeente Charlois bevindt. De gemiddelde perceeloppervlakte in de kadastrale gemeente Charlois is 1147,17 m². Dit perceel is met zijn 8846 m² dus groter dan gemiddeld. Het kleinste perceel in de kadastrale gemeente is 0 m² groot. De grootste perceeloppervlakte is 1,09 km². Op het perceel zijn 51 adressen aanwezig. De laatste wijziging in het de Basisregistratie Kadaster (BRK) was op 05-06-2003.
Het adres ligt in een gebouw van het type 'rijwoning tussen'. Bij de laatste meting is voor het adres het energielabel A geregistreerd. Het hoogste energielabel in de straat is A; het laagste is G. Het gemiddelde energielabel is er A. Het adres Slag 20 heeft als status: 'verblijfsobject in gebruik'. Het pand waarin dit adres ligt heeft als status: 'pand in gebruik'.
Slag 20 is een adres gelegen in de gemeente Rotterdam, provincie Zuid-Holland. Dit adres is geregistreerd in de Basisregistratie Adressen en Gebouwen (BAG) met als unieke identificatie 0599010000203340.
Het pand op Slag 20 is gebouwd in 1921, wat betekent dat het 105 jaar oud is. Dit is een ouder pand. Het pand heeft mogelijk aanzienlijke renovaties nodig om aan de huidige standaarden te voldoen.
De woning op Slag 20 heeft een gebruiksoppervlakte van 85 m². Dit is onder het gemiddelde vergeleken met de gemiddelde Nederlandse woning, die een oppervlakte heeft van ongeveer 119 m². De gebruiksoppervlakte is de maat die wordt gebruikt in de BAG-registratie, de landelijke registratie van de Nederlandse overheid.
Slag 20 heeft als functie: wonen. Deze gebruiksfunctie(s) zijn vastgelegd in de BAG-registratie en geven aan waarvoor het adres officieel mag worden gebruikt.
Slag 20 is gelegen op kadastraal perceel CLS00F3103. Deze kadastrale aanduiding is uniek en wordt gebruikt door het Kadaster om eigendomsrechten en andere zakelijke rechten vast te leggen. Het perceel maakt onderdeel uit van de kadastrale gemeente Charlois.
Het perceel waarop Slag 20 staat heeft een oppervlakte van 8846 m². Dit is een zeer groot perceel. De perceeloppervlakte wordt geregistreerd door het Kadaster. Gedetailleerde informatie over de maten van dit perceel kunt u vinden in het rapport Kadastrale kaart met maatvoering van Slag 20.
De eigenaar van Slag 20 is op te vragen op deze pagina.
De informatie over dit adres is afkomstig uit officiële overheidsregistraties, voornamelijk de Basisregistratie Adressen en Gebouwen (BAG) en de Basisregistratie Kadaster (BRK). Deze gegevens worden beheerd door respectievelijk gemeenten en het Kadaster, en worden regelmatig bijgewerkt. Energielabelgegevens komen uit de database van de Rijksdienst voor Ondernemend Nederland (RVO).
