
Kapellenberglaan 53 is gelegen in de plaats Rozendaal, de gemeente Rozendaal en de provincie Gelderland. De oppervlakte van het verblijfsobject is met 251 m² aan de grote kant. Het perceel heeft een oppervlakte van 2661 m². De oppervlakte van dit adres is groot vergeleken met de oppervlaktes van andere adressen in de straat. De kleinste oppervlakte bedraagt er 131 m², de grootste 821 m². In Nederland komt het grootste deel van de gebouwen uit de periode 1965-1984. Ook het bouwjaar van Kapellenberglaan 53 is afkomstig uit die periode: het betreft namelijk een pand uit 1968. Dit object is relatief nieuw in de straat. Het nieuwste gebouw komt er uit het jaar 1976 en het oudste uit het jaar 1962. De volgende gebruiksdoelen zijn geregistreerd voor dit adres: 'woonfunctie'.
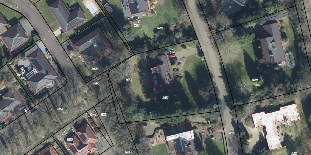
Het adres ligt op het perceel RZD00-C-1875, dat zich in de kadastrale gemeente Rozendaal bevindt. Het perceel is 2661 m² groot. Dat is kleiner dan de gemiddelde perceeloppervlakte in Rozendaal, dat op 2,2 ha ligt. Het grootste perceel in de kadastrale gemeente is 2,18 km². Het kleinste perceel heeft een oppervlakte van 1 m². Op het perceel bevinden zich geen andere adressen. De laatste wijziging in het de Basisregistratie Kadaster (BRK) was op 03-12-2002.
Er is geen energielabel geregistreerd voor het adres. Het hoogste energielabel in de straat is A+; het laagste is G. Het gemiddelde energielabel is er D. Het adres Kapellenberglaan 53 heeft als status: 'verblijfsobject in gebruik'. Het pand waarin dit adres ligt heeft als status: 'pand in gebruik'.
Kapellenberglaan 53 is een adres gelegen in de gemeente Rozendaal, provincie Gelderland. Dit adres is geregistreerd in de Basisregistratie Adressen en Gebouwen (BAG) met als unieke identificatie 0277010000000360.
Het pand op Kapellenberglaan 53 is gebouwd in 1968, wat betekent dat het 58 jaar oud is. Dit is een ouder pand. Het pand heeft mogelijk aanzienlijke renovaties nodig om aan de huidige standaarden te voldoen.
De woning op Kapellenberglaan 53 heeft een gebruiksoppervlakte van 251 m². Dit is ruim vergeleken met de gemiddelde Nederlandse woning, die een oppervlakte heeft van ongeveer 119 m². De gebruiksoppervlakte is de maat die wordt gebruikt in de BAG-registratie, de landelijke registratie van de Nederlandse overheid.
Kapellenberglaan 53 heeft als functie: wonen. Deze gebruiksfunctie(s) zijn vastgelegd in de BAG-registratie en geven aan waarvoor het adres officieel mag worden gebruikt.
Kapellenberglaan 53 is gelegen op kadastraal perceel RZD00C1875. Deze kadastrale aanduiding is uniek en wordt gebruikt door het Kadaster om eigendomsrechten en andere zakelijke rechten vast te leggen. Het perceel maakt onderdeel uit van de kadastrale gemeente Rozendaal.
Het perceel waarop Kapellenberglaan 53 staat heeft een oppervlakte van 2661 m². Dit is een zeer groot perceel. De perceeloppervlakte wordt geregistreerd door het Kadaster. Gedetailleerde informatie over de maten van dit perceel kunt u vinden in het rapport Kadastrale kaart met maatvoering van Kapellenberglaan 53.
De eigenaar van Kapellenberglaan 53 is op te vragen op deze pagina.
De informatie over dit adres is afkomstig uit officiële overheidsregistraties, voornamelijk de Basisregistratie Adressen en Gebouwen (BAG) en de Basisregistratie Kadaster (BRK). Deze gegevens worden beheerd door respectievelijk gemeenten en het Kadaster, en worden regelmatig bijgewerkt. Energielabelgegevens komen uit de database van de Rijksdienst voor Ondernemend Nederland (RVO).
