
Witteveen 20-d is een adres in Ruinen, dat zich bevindt binnen de gemeentegrenzen van Ruinen en de grenzen van de provincie Drenthe. Het verblijfsobject is vergeleken met het Nederlandse gemiddelde aan de kleine kant: de oppervlakte is 69 m². Het perceel waarop het adres zich bevindt heeft een oppervlakte van 1137 m². De oppervlakte van het adres is klein vergeleken met de andere objecten in de straat. De oppervlakte van het kleinste object in de straat bedraagt 30 m², terwijl het grootste object 423 m² groot is. In Nederland komt het grootste deel van de gebouwen uit de periode 1965-1984. Ook het bouwjaar van Witteveen 20-d is afkomstig uit die periode: het betreft namelijk een pand uit 1974. Dit object is relatief nieuw in de straat. Het nieuwste gebouw komt er uit het jaar 2000 en het oudste uit het jaar 1895. Het verblijfsobject heeft de volgende gebruiksdoelen: 'logiesfunctie'.
Deze woning is voor het laatst verkocht op 1 juli 2024. Meer informatie over deze transactie? Bestel het Woningtransactierapport om de verkoopprijs en andere informatie te zien.
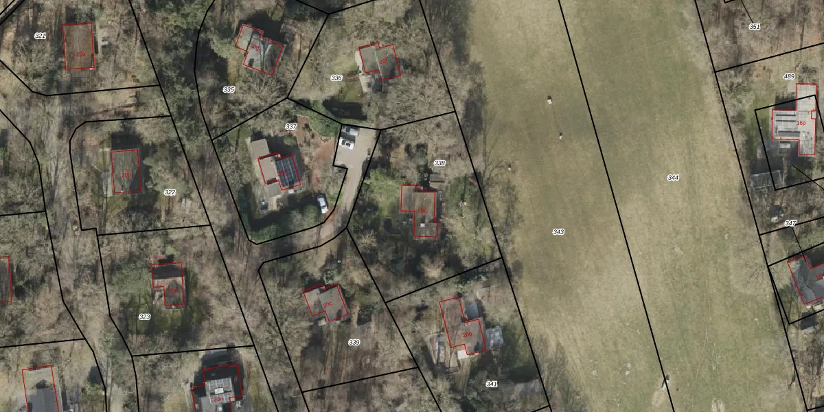
Het adres is gelegen op perceel 338 in de sectie N en de kadastrale gemeente Dwingeloo. De kadastrale aanduiding is aldus DGL00-N-338. Het perceel is kleiner dan gemiddeld in Dwingeloo. Het perceel is 1137 m² groot, terwijl het gemiddelde ligt op 1,5 ha. Het grootste perceel in de kadastrale gemeente is 2,60 km². Het kleinste perceel heeft een oppervlakte van 1 m². Op het perceel bevinden zich geen andere adressen. De huidige grenzen van het perceel zijn digitaal in de Basisregistratie Kadaster (BRK) geregistreerd op 30-06-2003.
Het adres ligt in een gebouw van het type 'logieswoning'. Bij de laatste meting is voor het adres het energielabel F geregistreerd. Het hoogste energielabel in de straat is A++; het laagste is G. Het gemiddelde energielabel is er C. Het adres Witteveen 20-d heeft als status: 'verblijfsobject in gebruik'. Het pand waarin dit adres ligt heeft als status: 'pand in gebruik'.
Witteveen 20-d is een adres gelegen in de gemeente Westerveld, provincie Drenthe. Dit adres is geregistreerd in de Basisregistratie Adressen en Gebouwen (BAG) met als unieke identificatie 1701010000234575.
Het pand op Witteveen 20-d is gebouwd in 1974, wat betekent dat het 52 jaar oud is. Dit is een ouder pand. Het pand heeft mogelijk aanzienlijke renovaties nodig om aan de huidige standaarden te voldoen.
De woning op Witteveen 20-d heeft een gebruiksoppervlakte van 69 m². Dit is relatief klein vergeleken met de gemiddelde Nederlandse woning, die een oppervlakte heeft van ongeveer 119 m². De gebruiksoppervlakte is de maat die wordt gebruikt in de BAG-registratie, de landelijke registratie van de Nederlandse overheid.
Witteveen 20-d heeft als functie: logies/verblijf. Deze gebruiksfunctie(s) zijn vastgelegd in de BAG-registratie en geven aan waarvoor het adres officieel mag worden gebruikt.
Witteveen 20-d is gelegen op kadastraal perceel DGL00N338. Deze kadastrale aanduiding is uniek en wordt gebruikt door het Kadaster om eigendomsrechten en andere zakelijke rechten vast te leggen. Het perceel maakt onderdeel uit van de kadastrale gemeente Dwingeloo.
Het perceel waarop Witteveen 20-d staat heeft een oppervlakte van 1137 m². Dit is een zeer groot perceel. De perceeloppervlakte wordt geregistreerd door het Kadaster. Gedetailleerde informatie over de maten van dit perceel kunt u vinden in het rapport Kadastrale kaart met maatvoering van Witteveen 20-d.
De eigenaar van Witteveen 20-d is op te vragen op deze pagina.
De informatie over dit adres is afkomstig uit officiële overheidsregistraties, voornamelijk de Basisregistratie Adressen en Gebouwen (BAG) en de Basisregistratie Kadaster (BRK). Deze gegevens worden beheerd door respectievelijk gemeenten en het Kadaster, en worden regelmatig bijgewerkt. Energielabelgegevens komen uit de database van de Rijksdienst voor Ondernemend Nederland (RVO).
