
Blijdenstein 9 is gelegen in de plaats Ruinerwold, de gemeente De Wolden en de provincie Drenthe. De oppervlakte van het verblijfsobject is met 310 m² aan de grote kant. Het perceel heeft een oppervlakte van 8050 m². De oppervlakte van dit adres is groot vergeleken met de oppervlaktes van andere adressen in de straat. De kleinste oppervlakte bedraagt er 33 m², de grootste 539 m². Blijdenstein 9 bevindt zich in een pand uit het jaar 1910. Daarmee behoort het tot de groep relatief oude panden in Nederland die gebouwd zijn vóór 1965. Dit object is relatief nieuw in de straat. Het nieuwste gebouw komt er uit het jaar 2007 en het oudste uit het jaar 1450. De volgende gebruiksdoelen zijn geregistreerd voor dit adres: 'woonfunctie'.
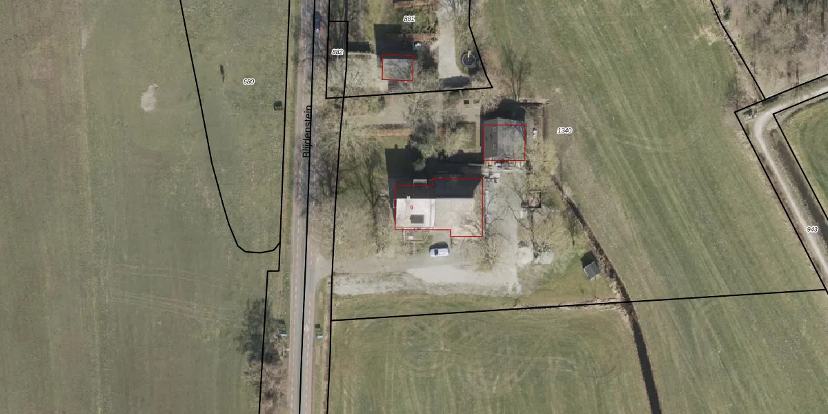
Het adres ligt op het perceel RNW00-M-1340, dat zich in de kadastrale gemeente Ruinerwold bevindt. Het perceel is 8050 m² groot. Dat is kleiner dan de gemiddelde perceeloppervlakte in Ruinerwold, dat op 1,2 ha ligt. Het grootste perceel in de kadastrale gemeente is 41,4 ha. Het kleinste perceel heeft een oppervlakte van 1 m². Op het perceel bevinden zich geen andere adressen. De laatste wijziging in het de Basisregistratie Kadaster (BRK) was op 28-01-2016.
Er is geen energielabel geregistreerd voor het adres. Het hoogste energielabel in de straat is D; het laagste is G. Het gemiddelde energielabel is er D. Het adres Blijdenstein 9 heeft als status: 'verblijfsobject in gebruik'. Het pand waarin dit adres ligt heeft als status: 'pand in gebruik'.
Blijdenstein 9 is een adres gelegen in de gemeente De Wolden, provincie Drenthe. Dit adres is geregistreerd in de Basisregistratie Adressen en Gebouwen (BAG) met als unieke identificatie 1690010000003036.
Het pand op Blijdenstein 9 is gebouwd in 1910, wat betekent dat het 116 jaar oud is. Dit is een ouder pand. Het pand heeft mogelijk aanzienlijke renovaties nodig om aan de huidige standaarden te voldoen.
De woning op Blijdenstein 9 heeft een gebruiksoppervlakte van 310 m². Dit is ruim vergeleken met de gemiddelde Nederlandse woning, die een oppervlakte heeft van ongeveer 119 m². De gebruiksoppervlakte is de maat die wordt gebruikt in de BAG-registratie, de landelijke registratie van de Nederlandse overheid.
Blijdenstein 9 heeft als functie: wonen. Deze gebruiksfunctie(s) zijn vastgelegd in de BAG-registratie en geven aan waarvoor het adres officieel mag worden gebruikt.
Blijdenstein 9 is gelegen op kadastraal perceel RNW00M1340. Deze kadastrale aanduiding is uniek en wordt gebruikt door het Kadaster om eigendomsrechten en andere zakelijke rechten vast te leggen. Het perceel maakt onderdeel uit van de kadastrale gemeente Ruinerwold.
Het perceel waarop Blijdenstein 9 staat heeft een oppervlakte van 8050 m². Dit is een zeer groot perceel. De perceeloppervlakte wordt geregistreerd door het Kadaster. Gedetailleerde informatie over de maten van dit perceel kunt u vinden in het rapport Kadastrale kaart met maatvoering van Blijdenstein 9.
De eigenaar van Blijdenstein 9 is op te vragen op deze pagina.
De informatie over dit adres is afkomstig uit officiële overheidsregistraties, voornamelijk de Basisregistratie Adressen en Gebouwen (BAG) en de Basisregistratie Kadaster (BRK). Deze gegevens worden beheerd door respectievelijk gemeenten en het Kadaster, en worden regelmatig bijgewerkt. Energielabelgegevens komen uit de database van de Rijksdienst voor Ondernemend Nederland (RVO).
