
Koskampweg 3-30 is een adres in Ruurlo, dat zich bevindt binnen de gemeentegrenzen van Ruurlo en de grenzen van de provincie Gelderland. De oppervlakte van het verblijfsobject is met 381 m² aan de grote kant. Het perceel heeft een oppervlakte van 429 m². Dit is het grootste verblijfsobject. Gemiddeld hebben de objecten in de straat een oppervlakte van 122 m². Het kleinste verblijfsobject is er 30 m². Koskampweg 3-30 bevindt zich in een pand uit het jaar null. Daarmee behoort het tot de groep relatief oude panden in Nederland die gebouwd zijn vóór 1965. Gemiddeld zijn de gebouwen in de straat gebouwd in 2004. Dit is het oudste pand in de straat. Het meest recente komt uit het jaar 2026. Het verblijfsobject heeft de volgende gebruiksdoelen: 'standplaats'.
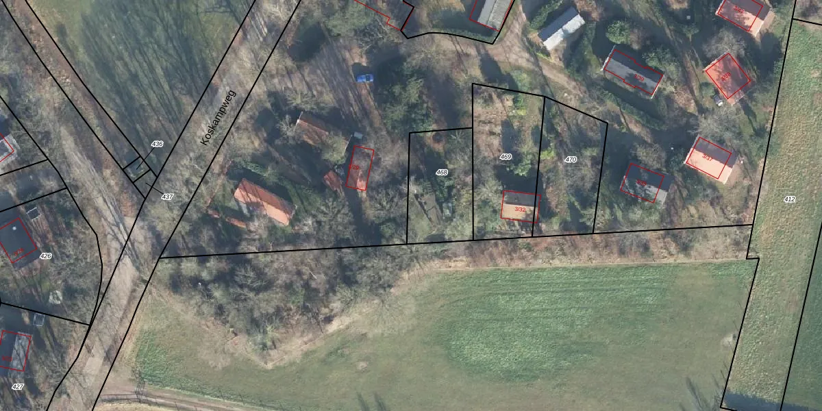
Het adres is gelegen op perceel 468 in de sectie R en de kadastrale gemeente Ruurlo. De kadastrale aanduiding is aldus RLO00-R-468. Het perceel is kleiner dan gemiddeld in Ruurlo. Het perceel is 429 m² groot, terwijl het gemiddelde ligt op 7512,22 m². Het grootste perceel in de kadastrale gemeente is 36,0 ha. Het kleinste perceel heeft een oppervlakte van 1 m². Op het perceel liggen in totaal 2 adressen. De huidige grenzen van het perceel zijn digitaal in de Basisregistratie Kadaster (BRK) geregistreerd op 23-01-2026.
Er is geen energielabel geregistreerd voor het adres. Het hoogste energielabel in de straat is A+++; het laagste is G. Het gemiddelde energielabel is er A. Het adres Koskampweg 3-30 heeft als status: 'plaats aangewezen'. Het pand waarin dit adres ligt heeft als status: 'undefined'.
Koskampweg 3-30 is een adres gelegen in de gemeente Berkelland, provincie Gelderland. Dit adres is geregistreerd in de Basisregistratie Adressen en Gebouwen (BAG) met als unieke identificatie 1859030000861842.
De woning op Koskampweg 3-30 heeft een gebruiksoppervlakte van 381 m². Dit is ruim vergeleken met de gemiddelde Nederlandse woning, die een oppervlakte heeft van ongeveer 119 m². De gebruiksoppervlakte is de maat die wordt gebruikt in de BAG-registratie, de landelijke registratie van de Nederlandse overheid.
Koskampweg 3-30 heeft als functie: standplaats. Deze gebruiksfunctie(s) zijn vastgelegd in de BAG-registratie en geven aan waarvoor het adres officieel mag worden gebruikt.
Koskampweg 3-30 is gelegen op kadastraal perceel RLO00R468. Deze kadastrale aanduiding is uniek en wordt gebruikt door het Kadaster om eigendomsrechten en andere zakelijke rechten vast te leggen. Het perceel maakt onderdeel uit van de kadastrale gemeente Ruurlo.
Het perceel waarop Koskampweg 3-30 staat heeft een oppervlakte van 429 m². Dit is een groot perceel. De perceeloppervlakte wordt geregistreerd door het Kadaster. Gedetailleerde informatie over de maten van dit perceel kunt u vinden in het rapport Kadastrale kaart met maatvoering van Koskampweg 3-30.
De eigenaar van Koskampweg 3-30 is op te vragen op deze pagina.
De informatie over dit adres is afkomstig uit officiële overheidsregistraties, voornamelijk de Basisregistratie Adressen en Gebouwen (BAG) en de Basisregistratie Kadaster (BRK). Deze gegevens worden beheerd door respectievelijk gemeenten en het Kadaster, en worden regelmatig bijgewerkt. Energielabelgegevens komen uit de database van de Rijksdienst voor Ondernemend Nederland (RVO).
