
Wildenborchseweg 31-a is een adres in Ruurlo, dat zich bevindt binnen de gemeentegrenzen van Ruurlo en de grenzen van de provincie Gelderland. De oppervlakte bedraagt 594 m², waarmee het adres groter dan gemiddeld is. De grootte van het perceel waarop het adres ligt is 4,4 ha. Vergeleken met de andere verblijfsobjecten in de straat is dit object groot. De oppervlakte van het grootste object in de straat is 832 m², die van het kleinste bedraagt 4 m². Wildenborchseweg 31-a ligt in een gebouw uit het jaar 1990. Daarmee behoort het tot de groep panden van na 1984, die we als relatief nieuw bestempelen. Veel andere gebouwen in de straat zijn ouder dan dit pand. Het oudste pand komt uit het jaar 1830 en het nieuwste uit 2010. Het verblijfsobject heeft de volgende gebruiksdoelen: 'woonfunctie'.
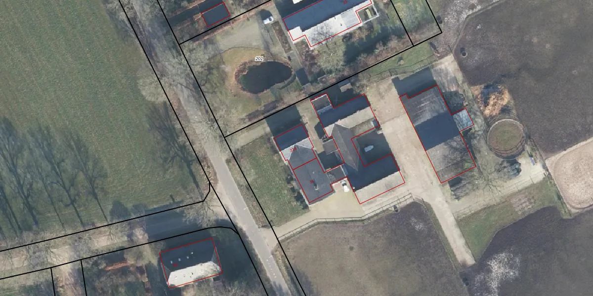
Het adres is gelegen op perceel 333 in de sectie P en de kadastrale gemeente Ruurlo. De kadastrale aanduiding is aldus RLO00-P-333. De gemiddelde perceeloppervlakte in de kadastrale gemeente Ruurlo is 7515,46 m². Dit perceel is met zijn 4,4 ha dus groter dan gemiddeld. Het grootste perceel in de kadastrale gemeente is 36,0 ha. Het kleinste perceel heeft een oppervlakte van 1 m². Op het perceel zijn 2 adressen aanwezig. De huidige grenzen van het perceel zijn digitaal in de Basisregistratie Kadaster (BRK) geregistreerd op 26-09-2012.
Er is geen energielabel geregistreerd voor het adres. Het hoogste energielabel in de straat is A; het laagste is G. Het gemiddelde energielabel is er B. Het adres Wildenborchseweg 31-a heeft als status: 'verblijfsobject in gebruik'. Het pand waarin dit adres ligt heeft als status: 'pand in gebruik'.
Wildenborchseweg 31-a is een adres gelegen in de gemeente Berkelland, provincie Gelderland. Dit adres is geregistreerd in de Basisregistratie Adressen en Gebouwen (BAG) met als unieke identificatie 1859010000831809.
Het pand op Wildenborchseweg 31-a is gebouwd in 1990, wat betekent dat het 36 jaar oud is. Dit is een pand van middelbare leeftijd. Het pand is van gemiddelde leeftijd en zal waarschijnlijk verouderde elementen bevatten.
De woning op Wildenborchseweg 31-a heeft een gebruiksoppervlakte van 594 m². Dit is ruim vergeleken met de gemiddelde Nederlandse woning, die een oppervlakte heeft van ongeveer 119 m². De gebruiksoppervlakte is de maat die wordt gebruikt in de BAG-registratie, de landelijke registratie van de Nederlandse overheid.
Wildenborchseweg 31-a heeft als functie: wonen. Deze gebruiksfunctie(s) zijn vastgelegd in de BAG-registratie en geven aan waarvoor het adres officieel mag worden gebruikt.
Wildenborchseweg 31-a is gelegen op kadastraal perceel RLO00P333. Deze kadastrale aanduiding is uniek en wordt gebruikt door het Kadaster om eigendomsrechten en andere zakelijke rechten vast te leggen. Het perceel maakt onderdeel uit van de kadastrale gemeente Ruurlo.
Het perceel waarop Wildenborchseweg 31-a staat heeft een oppervlakte van 4,4 ha. Dit is een zeer groot perceel. De perceeloppervlakte wordt geregistreerd door het Kadaster. Gedetailleerde informatie over de maten van dit perceel kunt u vinden in het rapport Kadastrale kaart met maatvoering van Wildenborchseweg 31-a.
De eigenaar van Wildenborchseweg 31-a is op te vragen op deze pagina.
De informatie over dit adres is afkomstig uit officiële overheidsregistraties, voornamelijk de Basisregistratie Adressen en Gebouwen (BAG) en de Basisregistratie Kadaster (BRK). Deze gegevens worden beheerd door respectievelijk gemeenten en het Kadaster, en worden regelmatig bijgewerkt. Energielabelgegevens komen uit de database van de Rijksdienst voor Ondernemend Nederland (RVO).
