
Wildpad 3-01 is gelegen in de plaats Ruurlo, de gemeente Berkelland en de provincie Gelderland. De oppervlakte van het verblijfsobject is met 192 m² aan de grote kant. Het perceel heeft een oppervlakte van 1,4 ha. Vergeleken met de andere verblijfsobjecten in de straat is dit object groot. De oppervlakte van het grootste object in de straat is 248 m², die van het kleinste bedraagt 51 m². Het gebouw waarin Wildpad 3-01 ligt komt uit het jaar null. Objecten die gebouwd zijn vóór 1965 classificeren we hier als oud. Gemiddeld zijn de gebouwen in de straat gebouwd in 1977. Dit is het oudste pand in de straat. Het meest recente komt uit het jaar 2025. Voor het verblijfsobject gelden deze gebruiksdoelen: 'standplaats'.
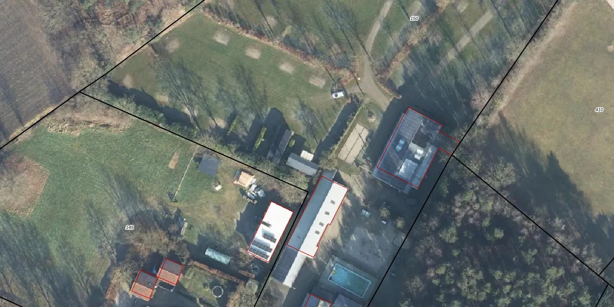
Het adres is gelegen op perceel 150 in de sectie P en de kadastrale gemeente Ruurlo. De kadastrale aanduiding is aldus RLO00-P-150. Het perceel is met 1,4 ha relatief groot. Het gemiddelde ligt in de kadastrale gemeente Ruurlo op 7517,63 m². Het kleinste perceel in de kadastrale gemeente is 1 m² groot. De grootste perceeloppervlakte is 36,0 ha. Op het perceel liggen in totaal 3 adressen. De laatste wijziging in het de Basisregistratie Kadaster (BRK) was op 02-08-2007.
Er is geen energielabel geregistreerd voor het adres. Het hoogste energielabel in de straat is B; het laagste is G. Het gemiddelde energielabel is er E. Het adres Wildpad 3-01 heeft als status: 'plaats aangewezen'. Het pand waarin dit adres ligt heeft als status: 'undefined'.
Wildpad 3-01 is een adres gelegen in de gemeente Berkelland, provincie Gelderland. Dit adres is geregistreerd in de Basisregistratie Adressen en Gebouwen (BAG) met als unieke identificatie 1859030000862279.
De woning op Wildpad 3-01 heeft een gebruiksoppervlakte van 192 m². Dit is ruim vergeleken met de gemiddelde Nederlandse woning, die een oppervlakte heeft van ongeveer 119 m². De gebruiksoppervlakte is de maat die wordt gebruikt in de BAG-registratie, de landelijke registratie van de Nederlandse overheid.
Wildpad 3-01 heeft als functie: standplaats. Deze gebruiksfunctie(s) zijn vastgelegd in de BAG-registratie en geven aan waarvoor het adres officieel mag worden gebruikt.
Wildpad 3-01 is gelegen op kadastraal perceel RLO00P150. Deze kadastrale aanduiding is uniek en wordt gebruikt door het Kadaster om eigendomsrechten en andere zakelijke rechten vast te leggen. Het perceel maakt onderdeel uit van de kadastrale gemeente Ruurlo.
Het perceel waarop Wildpad 3-01 staat heeft een oppervlakte van 1,4 ha. Dit is een zeer groot perceel. De perceeloppervlakte wordt geregistreerd door het Kadaster. Gedetailleerde informatie over de maten van dit perceel kunt u vinden in het rapport Kadastrale kaart met maatvoering van Wildpad 3-01.
De eigenaar van Wildpad 3-01 is op te vragen op deze pagina.
De informatie over dit adres is afkomstig uit officiële overheidsregistraties, voornamelijk de Basisregistratie Adressen en Gebouwen (BAG) en de Basisregistratie Kadaster (BRK). Deze gegevens worden beheerd door respectievelijk gemeenten en het Kadaster, en worden regelmatig bijgewerkt. Energielabelgegevens komen uit de database van de Rijksdienst voor Ondernemend Nederland (RVO).
