
Anjerstraat 17 is een adres in 's-Gravendeel, dat zich bevindt binnen de gemeentegrenzen van 's-Gravendeel en de grenzen van de provincie Zuid-Holland. Het perceel waarop het adres gelegen is heeft een oppervlakte van 1887 m². Het verblijfsobject is met 88 m² relatief klein. De oppervlakte van dit adres is groot vergeleken met de oppervlaktes van andere adressen in de straat. De kleinste oppervlakte bedraagt er 14 m², de grootste 110 m². De meeste Nederlandse gebouwen zijn gebouwd in de periode 1965-1984. Zo ook het pand waarin Anjerstraat 17 ligt, dat gebouwd is in 1981. Het gemiddelde bouwjaar in de straat is 1981 en dat van het oudste pand is 1981. Dit is het nieuwste object in de straat. Voor het verblijfsobject gelden deze gebruiksdoelen: 'woonfunctie'.
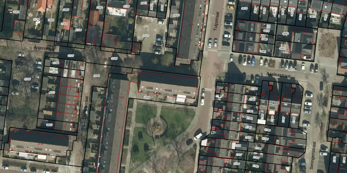
Het adres ligt op het perceel GVD02-B-2649, dat zich in de kadastrale gemeente 's-Gravendeel bevindt. De gemiddelde perceelgrootte in 's-Gravendeel is 4127,17 m². Dit perceel is kleiner: de perceeloppervlakte bedraagt 1887 m². De grootste perceeloppervlakte in de kadastrale gemeente is 43,7 ha. De kleinste oppervlakte bedraagt 0 m². Er zijn 30 adressen aanwezig op het perceel. De huidige grenzen van het perceel zijn digitaal in de Basisregistratie Kadaster (BRK) geregistreerd op 24-10-2006.
Het adres ligt in een gebouw van het type 'maisonnette met het subtype tussendak'. Bij de laatste meting is voor het adres het energielabel C geregistreerd. Het hoogste energielabel in de straat is B; het laagste is G. Het gemiddelde energielabel is er C. Het adres Anjerstraat 17 heeft als status: 'verblijfsobject in gebruik'. Het pand waarin dit adres ligt heeft als status: 'pand in gebruik'.
Anjerstraat 17 is een adres gelegen in de gemeente Hoeksche Waard, provincie Zuid-Holland. Dit adres is geregistreerd in de Basisregistratie Adressen en Gebouwen (BAG) met als unieke identificatie 0585010001348612.
Het pand op Anjerstraat 17 is gebouwd in 1981, wat betekent dat het 45 jaar oud is. Dit is een pand van middelbare leeftijd. Het pand is van gemiddelde leeftijd en zal waarschijnlijk verouderde elementen bevatten.
De woning op Anjerstraat 17 heeft een gebruiksoppervlakte van 88 m². Dit is onder het gemiddelde vergeleken met de gemiddelde Nederlandse woning, die een oppervlakte heeft van ongeveer 119 m². De gebruiksoppervlakte is de maat die wordt gebruikt in de BAG-registratie, de landelijke registratie van de Nederlandse overheid.
Anjerstraat 17 heeft als functie: wonen. Deze gebruiksfunctie(s) zijn vastgelegd in de BAG-registratie en geven aan waarvoor het adres officieel mag worden gebruikt.
Anjerstraat 17 is gelegen op kadastraal perceel GVD02B2649. Deze kadastrale aanduiding is uniek en wordt gebruikt door het Kadaster om eigendomsrechten en andere zakelijke rechten vast te leggen. Het perceel maakt onderdeel uit van de kadastrale gemeente 's-Gravendeel.
Het perceel waarop Anjerstraat 17 staat heeft een oppervlakte van 1887 m². Dit is een zeer groot perceel. De perceeloppervlakte wordt geregistreerd door het Kadaster. Gedetailleerde informatie over de maten van dit perceel kunt u vinden in het rapport Kadastrale kaart met maatvoering van Anjerstraat 17.
De eigenaar van Anjerstraat 17 is op te vragen op deze pagina.
De informatie over dit adres is afkomstig uit officiële overheidsregistraties, voornamelijk de Basisregistratie Adressen en Gebouwen (BAG) en de Basisregistratie Kadaster (BRK). Deze gegevens worden beheerd door respectievelijk gemeenten en het Kadaster, en worden regelmatig bijgewerkt. Energielabelgegevens komen uit de database van de Rijksdienst voor Ondernemend Nederland (RVO).
