
Barnsteenhorst 175 is een adres in 's-Gravenhage, dat zich bevindt binnen de gemeentegrenzen van 's-Gravenhage en de grenzen van de provincie Zuid-Holland. Het verblijfsobject is vergeleken met het Nederlandse gemiddelde aan de kleine kant: de oppervlakte is 86 m². Het perceel waarop het adres zich bevindt heeft een oppervlakte van 1,4 ha. In vergelijking met de andere adressen in de straat is de oppervlakte van dit object relatief groot. Het grootste verblijfsobject heeft een oppervlakte van 186 m², de oppervlakte van het kleinste object bedraagt 16 m². Het adres Barnsteenhorst 175 ligt in een relatief oud pand uit het jaar 1963. Panden van vóór het jaar 1965 hebben we hier geclassificeerd als oud. Dit object is relatief nieuw in de straat. Het nieuwste gebouw komt er uit het jaar 1999 en het oudste uit het jaar 1959. Het verblijfsobject heeft de volgende gebruiksdoelen: 'woonfunctie'.
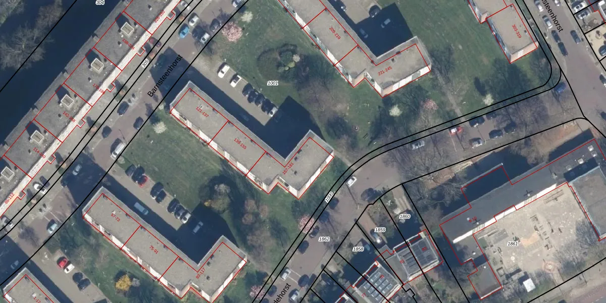
Het perceel waarop het adres ligt is GVH34-AS-1001. De afkorting 'GVH34' staat voor kadastrale gemeente 's-Gravenhage. De gemiddelde perceeloppervlakte in de kadastrale gemeente 's-Gravenhage is 1318,64 m². Dit perceel is met zijn 1,4 ha dus groter dan gemiddeld. De grootste perceeloppervlakte in de kadastrale gemeente is 11,0 ha. De kleinste oppervlakte bedraagt 0 m². Op het perceel liggen in totaal 140 adressen. De huidige grenzen van het perceel zijn digitaal in de Basisregistratie Kadaster (BRK) geregistreerd op 20-01-2005.
Het adres ligt in een gebouw van het type 'flatwoning (overig) met het subtype hoekvloer'. Bij de laatste meting is voor het adres het energielabel A geregistreerd. Het hoogste energielabel in de straat is A; het laagste is G. Het gemiddelde energielabel is er B. Het adres Barnsteenhorst 175 heeft als status: 'verblijfsobject in gebruik'. Het pand waarin dit adres ligt heeft als status: 'pand in gebruik'.
Barnsteenhorst 175 is een adres gelegen in de gemeente 's-Gravenhage, provincie Zuid-Holland. Dit adres is geregistreerd in de Basisregistratie Adressen en Gebouwen (BAG) met als unieke identificatie 0518010000491157.
Het pand op Barnsteenhorst 175 is gebouwd in 1963, wat betekent dat het 63 jaar oud is. Dit is een ouder pand. Het pand heeft mogelijk aanzienlijke renovaties nodig om aan de huidige standaarden te voldoen.
De woning op Barnsteenhorst 175 heeft een gebruiksoppervlakte van 86 m². Dit is onder het gemiddelde vergeleken met de gemiddelde Nederlandse woning, die een oppervlakte heeft van ongeveer 119 m². De gebruiksoppervlakte is de maat die wordt gebruikt in de BAG-registratie, de landelijke registratie van de Nederlandse overheid.
Barnsteenhorst 175 heeft als functie: wonen. Deze gebruiksfunctie(s) zijn vastgelegd in de BAG-registratie en geven aan waarvoor het adres officieel mag worden gebruikt.
Barnsteenhorst 175 is gelegen op kadastraal perceel GVH34AS1001. Deze kadastrale aanduiding is uniek en wordt gebruikt door het Kadaster om eigendomsrechten en andere zakelijke rechten vast te leggen. Het perceel maakt onderdeel uit van de kadastrale gemeente 's-Gravenhage.
Het perceel waarop Barnsteenhorst 175 staat heeft een oppervlakte van 1,4 ha. Dit is een zeer groot perceel. De perceeloppervlakte wordt geregistreerd door het Kadaster. Gedetailleerde informatie over de maten van dit perceel kunt u vinden in het rapport Kadastrale kaart met maatvoering van Barnsteenhorst 175.
De eigenaar van Barnsteenhorst 175 is op te vragen op deze pagina.
De informatie over dit adres is afkomstig uit officiële overheidsregistraties, voornamelijk de Basisregistratie Adressen en Gebouwen (BAG) en de Basisregistratie Kadaster (BRK). Deze gegevens worden beheerd door respectievelijk gemeenten en het Kadaster, en worden regelmatig bijgewerkt. Energielabelgegevens komen uit de database van de Rijksdienst voor Ondernemend Nederland (RVO).
