
Het adres De Brink 1112 bevindt zich in de plaats 's-Gravenhage, in de gemeente 's-Gravenhage en de provincie Zuid-Holland. Het perceel waarop het adres gelegen is heeft een oppervlakte van 1,2 ha. Het verblijfsobject is met 57 m² relatief klein. De oppervlakte van het adres is klein vergeleken met de andere objecten in de straat. De oppervlakte van het kleinste object in de straat bedraagt 8 m², terwijl het grootste object 3601 m² groot is. De meeste Nederlandse gebouwen zijn gebouwd in de periode 1965-1984. Zo ook het pand waarin De Brink 1112 ligt, dat gebouwd is in 1975. Het gemiddelde bouwjaar in de straat is 1976 en dat van het nieuwste object 1977. In de straat is dit het oudste pand. Het verblijfsobject heeft de volgende gebruiksdoelen: 'woonfunctie'.
Deze woning is voor het laatst verkocht op 1 februari 2024. Meer informatie over deze transactie? Bestel het Woningtransactierapport om de verkoopprijs en andere informatie te zien.
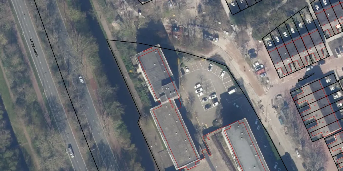
Het adres is gelegen op perceel 116 in de sectie O en de kadastrale gemeente Loosduinen. De kadastrale aanduiding is aldus LDN03-O-116. De gemiddelde perceeloppervlakte in de kadastrale gemeente Loosduinen is 1424,57 m². Dit perceel is met zijn 1,2 ha dus groter dan gemiddeld. De grootste perceeloppervlakte in de kadastrale gemeente is 4,61 km². De kleinste oppervlakte bedraagt 0 m². Er zijn 190 adressen aanwezig op het perceel. In de Basisregistratie Kadaster (BRK) werden de grenzen van het perceel geregistreerd op 26-06-2007.
Het adres ligt in een gebouw van het type 'appartement met het subtype tussenmidden'. Bij de laatste meting is voor het adres het energielabel C geregistreerd. Het hoogste energielabel in de straat is A; het laagste is G. Het gemiddelde energielabel is er D. Het adres De Brink 1112 heeft als status: 'verblijfsobject in gebruik'. Het pand waarin dit adres ligt heeft als status: 'pand in gebruik'.
De Brink 1112 is een adres gelegen in de gemeente 's-Gravenhage, provincie Zuid-Holland. Dit adres is geregistreerd in de Basisregistratie Adressen en Gebouwen (BAG) met als unieke identificatie 0518010000358980.
Het pand op De Brink 1112 is gebouwd in 1975, wat betekent dat het 51 jaar oud is. Dit is een ouder pand. Het pand heeft mogelijk aanzienlijke renovaties nodig om aan de huidige standaarden te voldoen.
De woning op De Brink 1112 heeft een gebruiksoppervlakte van 57 m². Dit is relatief klein vergeleken met de gemiddelde Nederlandse woning, die een oppervlakte heeft van ongeveer 119 m². De gebruiksoppervlakte is de maat die wordt gebruikt in de BAG-registratie, de landelijke registratie van de Nederlandse overheid.
De Brink 1112 heeft als functie: wonen. Deze gebruiksfunctie(s) zijn vastgelegd in de BAG-registratie en geven aan waarvoor het adres officieel mag worden gebruikt.
De Brink 1112 is gelegen op kadastraal perceel LDN03O116. Deze kadastrale aanduiding is uniek en wordt gebruikt door het Kadaster om eigendomsrechten en andere zakelijke rechten vast te leggen. Het perceel maakt onderdeel uit van de kadastrale gemeente Loosduinen.
Het perceel waarop De Brink 1112 staat heeft een oppervlakte van 1,2 ha. Dit is een zeer groot perceel. De perceeloppervlakte wordt geregistreerd door het Kadaster. Gedetailleerde informatie over de maten van dit perceel kunt u vinden in het rapport Kadastrale kaart met maatvoering van De Brink 1112.
De eigenaar van De Brink 1112 is op te vragen op deze pagina.
De informatie over dit adres is afkomstig uit officiële overheidsregistraties, voornamelijk de Basisregistratie Adressen en Gebouwen (BAG) en de Basisregistratie Kadaster (BRK). Deze gegevens worden beheerd door respectievelijk gemeenten en het Kadaster, en worden regelmatig bijgewerkt. Energielabelgegevens komen uit de database van de Rijksdienst voor Ondernemend Nederland (RVO).
