
Het adres Dedemsvaartweg 398-D bevindt zich in de plaats 's-Gravenhage, in de gemeente 's-Gravenhage en de provincie Zuid-Holland. De oppervlakte van het object bedraagt 88 m². Dat is klein vergeleken met het Nederlandse gemiddelde. Het perceel waarop het adres ligt is 1017 m² groot. Het adres is klein vergeleken met andere objecten in de straat. Het grootste object in de straat heeft een oppervlakte van 1,1 ha, het kleinste is 17 m² groot. In Nederland komt het grootste deel van de gebouwen uit de periode 1965-1984. Ook het bouwjaar van Dedemsvaartweg 398-D is afkomstig uit die periode: het betreft namelijk een pand uit 1966. In de straat komt het nieuwste gebouw uit het jaar 2022 en het oudste uit 1956. Het bouwjaar van dit object is relatief oud. De volgende gebruiksdoelen zijn geregistreerd voor dit adres: 'woonfunctie'.
Deze woning is voor het laatst verkocht op 1 mei 2020. Meer informatie over deze transactie? Bestel het Woningtransactierapport om de verkoopprijs en andere informatie te zien.
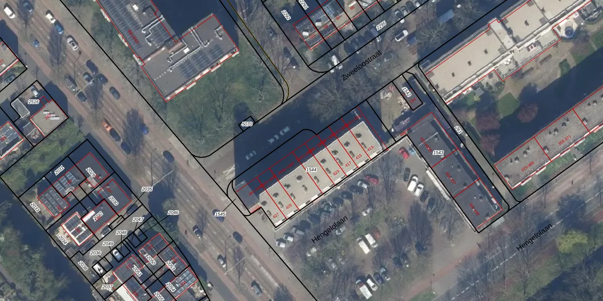
Het adres ligt op het perceel GVH37-AW-1544, dat zich in de kadastrale gemeente 's-Gravenhage bevindt. Het perceel is 1017 m² groot. Dat is kleiner dan de gemiddelde perceeloppervlakte in 's-Gravenhage, dat op 1320,78 m² ligt. Het grootste perceel in de kadastrale gemeente is 12,9 ha. Het kleinste perceel heeft een oppervlakte van 0 m². Op het perceel zijn 42 adressen aanwezig. In de Basisregistratie Kadaster (BRK) werden de grenzen van het perceel geregistreerd op 26-10-2004.
Het adres ligt in een gebouw van het type 'flatwoning (overig) met het subtype tussenmidden'. Bij de laatste meting is voor het adres het energielabel C geregistreerd. Het hoogste energielabel in de straat is A+++; het laagste is G. Het gemiddelde energielabel is er B. Het adres Dedemsvaartweg 398-D heeft als status: 'verblijfsobject in gebruik'. Het pand waarin dit adres ligt heeft als status: 'pand in gebruik'.
Dedemsvaartweg 398-D is een adres gelegen in de gemeente 's-Gravenhage, provincie Zuid-Holland. Dit adres is geregistreerd in de Basisregistratie Adressen en Gebouwen (BAG) met als unieke identificatie 0518010000721265.
Het pand op Dedemsvaartweg 398-D is gebouwd in 1966, wat betekent dat het 60 jaar oud is. Dit is een ouder pand. Het pand heeft mogelijk aanzienlijke renovaties nodig om aan de huidige standaarden te voldoen.
De woning op Dedemsvaartweg 398-D heeft een gebruiksoppervlakte van 88 m². Dit is onder het gemiddelde vergeleken met de gemiddelde Nederlandse woning, die een oppervlakte heeft van ongeveer 119 m². De gebruiksoppervlakte is de maat die wordt gebruikt in de BAG-registratie, de landelijke registratie van de Nederlandse overheid.
Dedemsvaartweg 398-D heeft als functie: wonen. Deze gebruiksfunctie(s) zijn vastgelegd in de BAG-registratie en geven aan waarvoor het adres officieel mag worden gebruikt.
Dedemsvaartweg 398-D is gelegen op kadastraal perceel GVH37AW1544. Deze kadastrale aanduiding is uniek en wordt gebruikt door het Kadaster om eigendomsrechten en andere zakelijke rechten vast te leggen. Het perceel maakt onderdeel uit van de kadastrale gemeente 's-Gravenhage.
Het perceel waarop Dedemsvaartweg 398-D staat heeft een oppervlakte van 1017 m². Dit is een zeer groot perceel. De perceeloppervlakte wordt geregistreerd door het Kadaster. Gedetailleerde informatie over de maten van dit perceel kunt u vinden in het rapport Kadastrale kaart met maatvoering van Dedemsvaartweg 398-D.
De eigenaar van Dedemsvaartweg 398-D is op te vragen op deze pagina.
De informatie over dit adres is afkomstig uit officiële overheidsregistraties, voornamelijk de Basisregistratie Adressen en Gebouwen (BAG) en de Basisregistratie Kadaster (BRK). Deze gegevens worden beheerd door respectievelijk gemeenten en het Kadaster, en worden regelmatig bijgewerkt. Energielabelgegevens komen uit de database van de Rijksdienst voor Ondernemend Nederland (RVO).
