
Diamanthorst 165 is gelegen in de plaats 's-Gravenhage, de gemeente 's-Gravenhage en de provincie Zuid-Holland. Het verblijfsobject is vergeleken met het Nederlandse gemiddelde aan de kleine kant: de oppervlakte is 63 m². Het perceel waarop het adres zich bevindt heeft een oppervlakte van 1,7 ha. De oppervlakte van het adres is klein vergeleken met de andere objecten in de straat. De oppervlakte van het kleinste object in de straat bedraagt 55 m², terwijl het grootste object 4855 m² groot is. Diamanthorst 165 bevindt zich in een pand uit het jaar 1960. Daarmee behoort het tot de groep relatief oude panden in Nederland die gebouwd zijn vóór 1965. Gemiddeld zijn de gebouwen in de straat gebouwd in 1961. Dit is het oudste pand in de straat. Het meest recente komt uit het jaar 2020. Het verblijfsobject heeft de volgende gebruiksdoelen: 'woonfunctie'.
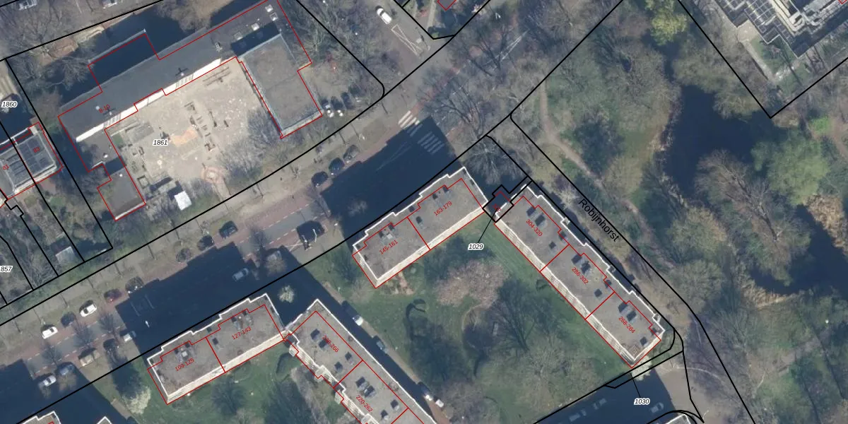
Het adres is gelegen op perceel 1035 in de sectie AS en de kadastrale gemeente 's-Gravenhage. De kadastrale aanduiding is aldus GVH34-AS-1035. De gemiddelde perceeloppervlakte in de kadastrale gemeente 's-Gravenhage is 1318,64 m². Dit perceel is met zijn 1,7 ha dus groter dan gemiddeld. Het grootste perceel in de kadastrale gemeente is 11,0 ha. Het kleinste perceel heeft een oppervlakte van 0 m². Op het perceel liggen in totaal 224 adressen. De laatste wijziging in het de Basisregistratie Kadaster (BRK) was op 13-05-2002.
Het adres ligt in een gebouw van het type 'appartement met het subtype tussenmidden'. Bij de laatste meting is voor het adres het energielabel D geregistreerd. Het hoogste energielabel in de straat is A++++; het laagste is G. Het gemiddelde energielabel is er E. Het adres Diamanthorst 165 heeft als status: 'verblijfsobject in gebruik'. Het pand waarin dit adres ligt heeft als status: 'pand in gebruik'.
Diamanthorst 165 is een adres gelegen in de gemeente 's-Gravenhage, provincie Zuid-Holland. Dit adres is geregistreerd in de Basisregistratie Adressen en Gebouwen (BAG) met als unieke identificatie 0518010000358155.
Het pand op Diamanthorst 165 is gebouwd in 1960, wat betekent dat het 66 jaar oud is. Dit is een ouder pand. Het pand heeft mogelijk aanzienlijke renovaties nodig om aan de huidige standaarden te voldoen.
De woning op Diamanthorst 165 heeft een gebruiksoppervlakte van 63 m². Dit is relatief klein vergeleken met de gemiddelde Nederlandse woning, die een oppervlakte heeft van ongeveer 119 m². De gebruiksoppervlakte is de maat die wordt gebruikt in de BAG-registratie, de landelijke registratie van de Nederlandse overheid.
Diamanthorst 165 heeft als functie: wonen. Deze gebruiksfunctie(s) zijn vastgelegd in de BAG-registratie en geven aan waarvoor het adres officieel mag worden gebruikt.
Diamanthorst 165 is gelegen op kadastraal perceel GVH34AS1035. Deze kadastrale aanduiding is uniek en wordt gebruikt door het Kadaster om eigendomsrechten en andere zakelijke rechten vast te leggen. Het perceel maakt onderdeel uit van de kadastrale gemeente 's-Gravenhage.
Het perceel waarop Diamanthorst 165 staat heeft een oppervlakte van 1,7 ha. Dit is een zeer groot perceel. De perceeloppervlakte wordt geregistreerd door het Kadaster. Gedetailleerde informatie over de maten van dit perceel kunt u vinden in het rapport Kadastrale kaart met maatvoering van Diamanthorst 165.
De eigenaar van Diamanthorst 165 is op te vragen op deze pagina
De informatie over dit adres is afkomstig uit officiële overheidsregistraties, voornamelijk de Basisregistratie Adressen en Gebouwen (BAG) en de Basisregistratie Kadaster (BRK). Deze gegevens worden beheerd door respectievelijk gemeenten en het Kadaster, en worden regelmatig bijgewerkt. Energielabelgegevens komen uit de database van de Rijksdienst voor Ondernemend Nederland (RVO).
