
Het adres Erasmusplein 87-k226 bevindt zich in de plaats 's-Gravenhage, in de gemeente 's-Gravenhage en de provincie Zuid-Holland. Het verblijfsobject is vergeleken met het Nederlandse gemiddelde aan de kleine kant: de oppervlakte is 32 m². Het perceel waarop het adres zich bevindt heeft een oppervlakte van 5274 m². De oppervlakte van het adres is klein vergeleken met de andere objecten in de straat. De oppervlakte van het kleinste object in de straat bedraagt 23 m², terwijl het grootste object 5469 m² groot is. De gemiddelde bouwperiode van gebouwen in Nederland ligt tussen de jaren 1965-1984. Dat geldt ook voor het bouwjaar van Erasmusplein 87-k226: het is gebouwd in het jaar 1969. Dit pand is het meest recent exemplaar in de straat. Het oudste object komt er uit 1965 en het gemiddelde bouwjaar is 1967. Voor het verblijfsobject gelden deze gebruiksdoelen: 'woonfunctie'.
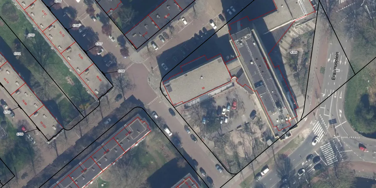
Het adres is gelegen op perceel 4389 in de sectie AL en de kadastrale gemeente 's-Gravenhage. De kadastrale aanduiding is aldus GVH28-AL-4389. Het perceel is met 5274 m² relatief groot. Het gemiddelde ligt in de kadastrale gemeente 's-Gravenhage op 721,51 m². Het kleinste perceel in de kadastrale gemeente is 0 m² groot. De grootste perceeloppervlakte is 89,9 ha. Op het perceel liggen in totaal 190 adressen. In de Basisregistratie Kadaster (BRK) werden de grenzen van het perceel geregistreerd op 23-04-2003.
Het adres ligt in een gebouw van het type 'appartement met het subtype tussendak'. Bij de laatste meting is voor het adres het energielabel B geregistreerd. Het hoogste energielabel in de straat is A; het laagste is G. Het gemiddelde energielabel is er C. Het adres Erasmusplein 87-k226 heeft als status: 'verblijfsobject in gebruik'. Het pand waarin dit adres ligt heeft als status: 'pand in gebruik'.
Erasmusplein 87-k226 is een adres gelegen in de gemeente 's-Gravenhage, provincie Zuid-Holland. Dit adres is geregistreerd in de Basisregistratie Adressen en Gebouwen (BAG) met als unieke identificatie 0518010001774244.
Het pand op Erasmusplein 87-k226 is gebouwd in 1969, wat betekent dat het 57 jaar oud is. Dit is een ouder pand. Het pand heeft mogelijk aanzienlijke renovaties nodig om aan de huidige standaarden te voldoen.
De woning op Erasmusplein 87-k226 heeft een gebruiksoppervlakte van 32 m². Dit is relatief klein vergeleken met de gemiddelde Nederlandse woning, die een oppervlakte heeft van ongeveer 119 m². De gebruiksoppervlakte is de maat die wordt gebruikt in de BAG-registratie, de landelijke registratie van de Nederlandse overheid.
Erasmusplein 87-k226 heeft als functie: wonen. Deze gebruiksfunctie(s) zijn vastgelegd in de BAG-registratie en geven aan waarvoor het adres officieel mag worden gebruikt.
Erasmusplein 87-k226 is gelegen op kadastraal perceel GVH28AL4389. Deze kadastrale aanduiding is uniek en wordt gebruikt door het Kadaster om eigendomsrechten en andere zakelijke rechten vast te leggen. Het perceel maakt onderdeel uit van de kadastrale gemeente 's-Gravenhage.
Het perceel waarop Erasmusplein 87-k226 staat heeft een oppervlakte van 5274 m². Dit is een zeer groot perceel. De perceeloppervlakte wordt geregistreerd door het Kadaster. Gedetailleerde informatie over de maten van dit perceel kunt u vinden in het rapport Kadastrale kaart met maatvoering van Erasmusplein 87-k226.
De eigenaar van Erasmusplein 87-k226 is op te vragen op deze pagina.
De informatie over dit adres is afkomstig uit officiële overheidsregistraties, voornamelijk de Basisregistratie Adressen en Gebouwen (BAG) en de Basisregistratie Kadaster (BRK). Deze gegevens worden beheerd door respectievelijk gemeenten en het Kadaster, en worden regelmatig bijgewerkt. Energielabelgegevens komen uit de database van de Rijksdienst voor Ondernemend Nederland (RVO).
