
Jacques Urlusstraat 42 is een adres in 's-Gravenhage, dat zich bevindt binnen de gemeentegrenzen van 's-Gravenhage en de grenzen van de provincie Zuid-Holland. Het perceel waarop het adres gelegen is heeft een oppervlakte van 5012 m². Het verblijfsobject is met 15 m² relatief klein. Er zijn geen kleinere objecten in deze straat. De gemiddelde oppervlakte is er 74 m². Het grootste verblijfsobject is 130 m². In Nederland komt het grootste deel van de gebouwen uit de periode 1965-1984. Ook het bouwjaar van Jacques Urlusstraat 42 is afkomstig uit die periode: het betreft namelijk een pand uit 1972. Het gemiddelde bouwjaar in de straat is 1973 en dat van het nieuwste object 1977. In de straat is dit het oudste pand. Voor het verblijfsobject gelden deze gebruiksdoelen: 'overige gebruiksfunctie'.
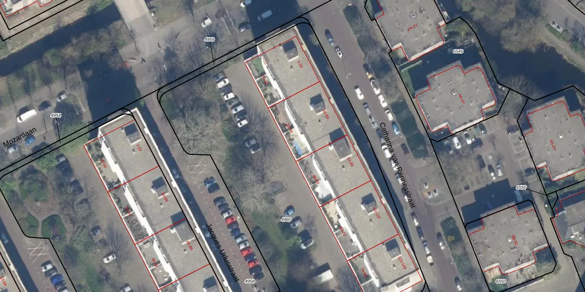
Het adres ligt op het perceel LDN03-H-4960, dat zich in de kadastrale gemeente Loosduinen bevindt. Het perceel is met 5012 m² relatief groot. Het gemiddelde ligt in de kadastrale gemeente Loosduinen op 1424,57 m². Het grootste perceel in de kadastrale gemeente is 4,61 km². Het kleinste perceel heeft een oppervlakte van 0 m². Er zijn 101 adressen aanwezig op het perceel. De huidige grenzen van het perceel zijn digitaal in de Basisregistratie Kadaster (BRK) geregistreerd op 16-12-2003.
Er is geen energielabel geregistreerd voor het adres. Het hoogste energielabel in de straat is B; het laagste is G. Het gemiddelde energielabel is er E. Het adres Jacques Urlusstraat 42 heeft als status: 'verblijfsobject in gebruik'. Het pand waarin dit adres ligt heeft als status: 'pand in gebruik'.
Jacques Urlusstraat 42 is een adres gelegen in de gemeente 's-Gravenhage, provincie Zuid-Holland. Dit adres is geregistreerd in de Basisregistratie Adressen en Gebouwen (BAG) met als unieke identificatie 0518010000720945.
Het pand op Jacques Urlusstraat 42 is gebouwd in 1972, wat betekent dat het 54 jaar oud is. Dit is een ouder pand. Het pand heeft mogelijk aanzienlijke renovaties nodig om aan de huidige standaarden te voldoen.
De woning op Jacques Urlusstraat 42 heeft een gebruiksoppervlakte van 15 m². Dit is relatief klein vergeleken met de gemiddelde Nederlandse woning, die een oppervlakte heeft van ongeveer 119 m². De gebruiksoppervlakte is de maat die wordt gebruikt in de BAG-registratie, de landelijke registratie van de Nederlandse overheid.
Jacques Urlusstraat 42 heeft als functie: overige doeleinden. Deze gebruiksfunctie(s) zijn vastgelegd in de BAG-registratie en geven aan waarvoor het adres officieel mag worden gebruikt.
Jacques Urlusstraat 42 is gelegen op kadastraal perceel LDN03H4960. Deze kadastrale aanduiding is uniek en wordt gebruikt door het Kadaster om eigendomsrechten en andere zakelijke rechten vast te leggen. Het perceel maakt onderdeel uit van de kadastrale gemeente Loosduinen.
Het perceel waarop Jacques Urlusstraat 42 staat heeft een oppervlakte van 5012 m². Dit is een zeer groot perceel. De perceeloppervlakte wordt geregistreerd door het Kadaster. Gedetailleerde informatie over de maten van dit perceel kunt u vinden in het rapport Kadastrale kaart met maatvoering van Jacques Urlusstraat 42.
De eigenaar van Jacques Urlusstraat 42 is op te vragen op deze pagina.
De informatie over dit adres is afkomstig uit officiële overheidsregistraties, voornamelijk de Basisregistratie Adressen en Gebouwen (BAG) en de Basisregistratie Kadaster (BRK). Deze gegevens worden beheerd door respectievelijk gemeenten en het Kadaster, en worden regelmatig bijgewerkt. Energielabelgegevens komen uit de database van de Rijksdienst voor Ondernemend Nederland (RVO).
