
Jacques Urlusstraat 76 is gelegen in de plaats 's-Gravenhage, de gemeente 's-Gravenhage en de provincie Zuid-Holland. Het verblijfsobject is vergeleken met het Nederlandse gemiddelde aan de kleine kant: de oppervlakte is 15 m². Het perceel waarop het adres zich bevindt heeft een oppervlakte van 5012 m². Dit is het kleinste object van de straat. De gemiddelde oppervlakte van verblijfsobjecten is er 74 m². De grootste oppervlakte in de straat is 130 m². In Nederland komt het grootste deel van de gebouwen uit de periode 1965-1984. Ook het bouwjaar van Jacques Urlusstraat 76 is afkomstig uit die periode: het betreft namelijk een pand uit 1972. Gemiddeld zijn de gebouwen in de straat gebouwd in 1973. Dit is het oudste pand in de straat. Het meest recente komt uit het jaar 1977. Voor het verblijfsobject gelden deze gebruiksdoelen: 'overige gebruiksfunctie'.
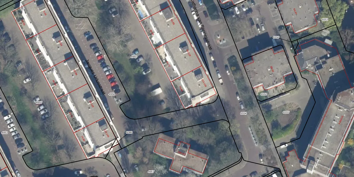
Het adres is gelegen op perceel 4960 in de sectie H en de kadastrale gemeente Loosduinen. De kadastrale aanduiding is aldus LDN03-H-4960. Het perceel is met 5012 m² relatief groot. Het gemiddelde ligt in de kadastrale gemeente Loosduinen op 1429,25 m². Het grootste perceel in de kadastrale gemeente is 4,61 km². Het kleinste perceel heeft een oppervlakte van 0 m². Op het perceel liggen in totaal 101 adressen. De laatste wijziging in het de Basisregistratie Kadaster (BRK) was op 16-12-2003.
Er is geen energielabel geregistreerd voor het adres. Het hoogste energielabel in de straat is B; het laagste is G. Het gemiddelde energielabel is er E. Het adres Jacques Urlusstraat 76 heeft als status: 'verblijfsobject in gebruik'. Het pand waarin dit adres ligt heeft als status: 'pand in gebruik'.
Jacques Urlusstraat 76 is een adres gelegen in de gemeente 's-Gravenhage, provincie Zuid-Holland. Dit adres is geregistreerd in de Basisregistratie Adressen en Gebouwen (BAG) met als unieke identificatie 0518010000565452.
Het pand op Jacques Urlusstraat 76 is gebouwd in 1972, wat betekent dat het 54 jaar oud is. Dit is een ouder pand. Het pand heeft mogelijk aanzienlijke renovaties nodig om aan de huidige standaarden te voldoen.
De woning op Jacques Urlusstraat 76 heeft een gebruiksoppervlakte van 15 m². Dit is relatief klein vergeleken met de gemiddelde Nederlandse woning, die een oppervlakte heeft van ongeveer 119 m². De gebruiksoppervlakte is de maat die wordt gebruikt in de BAG-registratie, de landelijke registratie van de Nederlandse overheid.
Jacques Urlusstraat 76 heeft als functie: overige doeleinden. Deze gebruiksfunctie(s) zijn vastgelegd in de BAG-registratie en geven aan waarvoor het adres officieel mag worden gebruikt.
Jacques Urlusstraat 76 is gelegen op kadastraal perceel LDN03H4960. Deze kadastrale aanduiding is uniek en wordt gebruikt door het Kadaster om eigendomsrechten en andere zakelijke rechten vast te leggen. Het perceel maakt onderdeel uit van de kadastrale gemeente Loosduinen.
Het perceel waarop Jacques Urlusstraat 76 staat heeft een oppervlakte van 5012 m². Dit is een zeer groot perceel. De perceeloppervlakte wordt geregistreerd door het Kadaster. Gedetailleerde informatie over de maten van dit perceel kunt u vinden in het rapport Kadastrale kaart met maatvoering van Jacques Urlusstraat 76.
De eigenaar van Jacques Urlusstraat 76 is op te vragen op deze pagina.
De informatie over dit adres is afkomstig uit officiële overheidsregistraties, voornamelijk de Basisregistratie Adressen en Gebouwen (BAG) en de Basisregistratie Kadaster (BRK). Deze gegevens worden beheerd door respectievelijk gemeenten en het Kadaster, en worden regelmatig bijgewerkt. Energielabelgegevens komen uit de database van de Rijksdienst voor Ondernemend Nederland (RVO).
