
Javastraat 52 is een adres in 's-Gravenhage, dat zich bevindt binnen de gemeentegrenzen van 's-Gravenhage en de grenzen van de provincie Zuid-Holland. Het object heeft een oppervlakte van 634 m², wat relatief groot is. Het perceel waarop het adres ligt is 439 m² groot. Vergeleken met de andere verblijfsobjecten in de straat is dit object groot. De oppervlakte van het grootste object in de straat is 1170 m², die van het kleinste bedraagt 15 m². Javastraat 52 bevindt zich in een pand uit het jaar 1863. Daarmee behoort het tot de groep relatief oude panden in Nederland die gebouwd zijn vóór 1965. Het bouwjaar is oud vergeleken met dat van de andere panden in de straat. Het oudste bouwjaar is er 1860 en de nieuwste is 1984. De volgende gebruiksdoelen zijn geregistreerd voor dit adres: 'kantoorfunctie'.
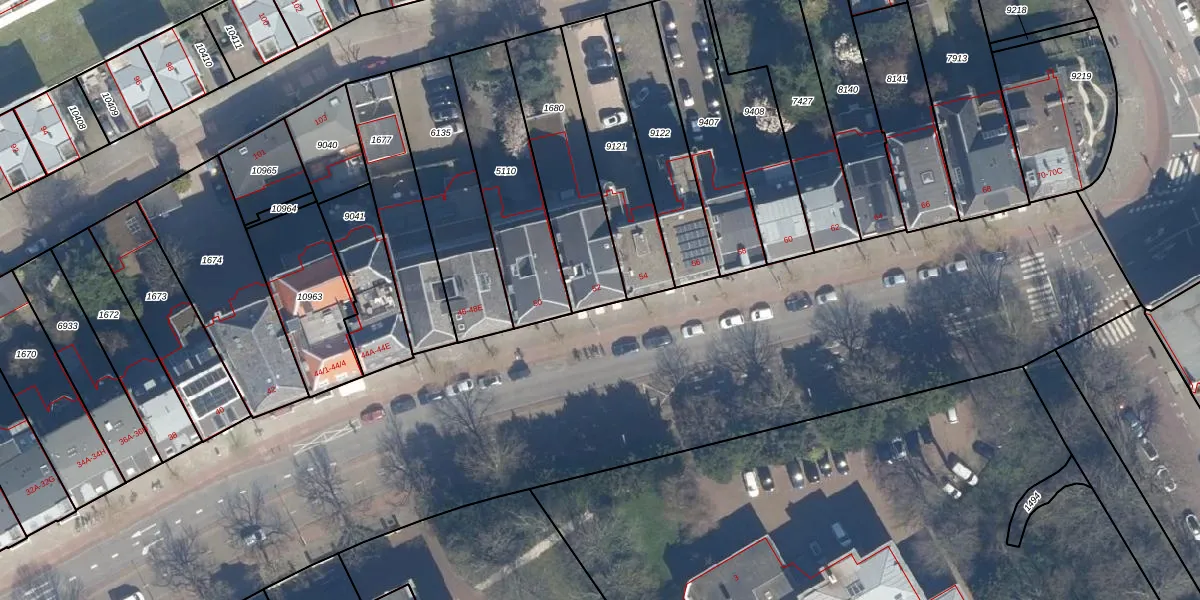
Het adres is gelegen op perceel 1680 in de sectie P en de kadastrale gemeente 's-Gravenhage. De kadastrale aanduiding is aldus GVH11-P-1680. Het perceel is 439 m² groot. Dat is kleiner dan de gemiddelde perceeloppervlakte in 's-Gravenhage, dat op 769,03 m² ligt. Het grootste perceel in de kadastrale gemeente is 30,6 ha. Het kleinste perceel heeft een oppervlakte van 0 m². Dit is het enige adres dat aanwezig is op het perceel. De huidige grenzen van het perceel zijn digitaal in de Basisregistratie Kadaster (BRK) geregistreerd op 31-08-2006.
Er is geen energielabel geregistreerd voor het adres. Het hoogste energielabel in de straat is A+++; het laagste is G. Het gemiddelde energielabel is er C. Het adres Javastraat 52 heeft als status: 'verblijfsobject in gebruik'. Het pand waarin dit adres ligt heeft als status: 'pand in gebruik'.
Javastraat 52 is een adres gelegen in de gemeente 's-Gravenhage, provincie Zuid-Holland. Dit adres is geregistreerd in de Basisregistratie Adressen en Gebouwen (BAG) met als unieke identificatie 0518010000893015.
Het pand op Javastraat 52 is gebouwd in 1863, wat betekent dat het 163 jaar oud is. Dit is een ouder pand. Het pand heeft mogelijk aanzienlijke renovaties nodig om aan de huidige standaarden te voldoen.
De woning op Javastraat 52 heeft een gebruiksoppervlakte van 634 m². Dit is ruim vergeleken met de gemiddelde Nederlandse woning, die een oppervlakte heeft van ongeveer 119 m². De gebruiksoppervlakte is de maat die wordt gebruikt in de BAG-registratie, de landelijke registratie van de Nederlandse overheid.
Javastraat 52 heeft als functie: kantoor. Deze gebruiksfunctie(s) zijn vastgelegd in de BAG-registratie en geven aan waarvoor het adres officieel mag worden gebruikt.
Javastraat 52 is gelegen op kadastraal perceel GVH11P1680. Deze kadastrale aanduiding is uniek en wordt gebruikt door het Kadaster om eigendomsrechten en andere zakelijke rechten vast te leggen. Het perceel maakt onderdeel uit van de kadastrale gemeente 's-Gravenhage.
Het perceel waarop Javastraat 52 staat heeft een oppervlakte van 439 m². Dit is een groot perceel. De perceeloppervlakte wordt geregistreerd door het Kadaster. Gedetailleerde informatie over de maten van dit perceel kunt u vinden in het rapport Kadastrale kaart met maatvoering van Javastraat 52.
De eigenaar van Javastraat 52 is op te vragen op deze pagina.
De informatie over dit adres is afkomstig uit officiële overheidsregistraties, voornamelijk de Basisregistratie Adressen en Gebouwen (BAG) en de Basisregistratie Kadaster (BRK). Deze gegevens worden beheerd door respectievelijk gemeenten en het Kadaster, en worden regelmatig bijgewerkt. Energielabelgegevens komen uit de database van de Rijksdienst voor Ondernemend Nederland (RVO).
