
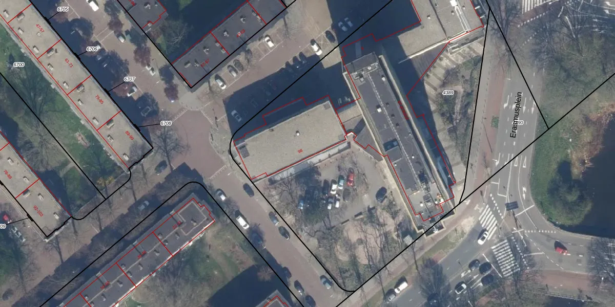
Joan Blasiusstraat 98 is gelegen in de plaats 's-Gravenhage, de gemeente 's-Gravenhage en de provincie Zuid-Holland. De oppervlakte van het verblijfsobject is met 525 m² aan de grote kant. Het perceel heeft een oppervlakte van 5274 m². In de straat is dit het adres met de grootste oppervlakte. De objecten in de straat zijn gemiddeld 71 m² groot. Het kleinste verblijfsobject heeft een oppervlakte van 59 m². In Nederland komt het grootste deel van de gebouwen uit de periode 1965-1984. Ook het bouwjaar van Joan Blasiusstraat 98 is afkomstig uit die periode: het betreft namelijk een pand uit 1969. Dit pand is het meest recent exemplaar in de straat. Het oudste object komt er uit 1950 en het gemiddelde bouwjaar is 1950. Het verblijfsobject heeft de volgende gebruiksdoelen: 'gezondheidszorgfunctie'.
Het perceel waarop het adres ligt is GVH28-AL-4389. De afkorting 'GVH28' staat voor kadastrale gemeente 's-Gravenhage. De gemiddelde perceeloppervlakte in de kadastrale gemeente 's-Gravenhage is 722,74 m². Dit perceel is met zijn 5274 m² dus groter dan gemiddeld. Het grootste perceel in de kadastrale gemeente is 89,9 ha. Het kleinste perceel heeft een oppervlakte van 0 m². Op het perceel liggen in totaal 190 adressen. De laatste wijziging in het de Basisregistratie Kadaster (BRK) was op 23-04-2003.
Bij de laatste meting is voor het adres het energielabel A geregistreerd. Het hoogste energielabel in de straat is A; het laagste is G. Het gemiddelde energielabel is er C. Het adres Joan Blasiusstraat 98 heeft als status: 'verblijfsobject in gebruik'. Het pand waarin dit adres ligt heeft als status: 'pand in gebruik'.
Joan Blasiusstraat 98 is een adres gelegen in de gemeente 's-Gravenhage, provincie Zuid-Holland. Dit adres is geregistreerd in de Basisregistratie Adressen en Gebouwen (BAG) met als unieke identificatie 0518010000649910.
Het pand op Joan Blasiusstraat 98 is gebouwd in 1969, wat betekent dat het 57 jaar oud is. Dit is een ouder pand. Het pand heeft mogelijk aanzienlijke renovaties nodig om aan de huidige standaarden te voldoen.
De woning op Joan Blasiusstraat 98 heeft een gebruiksoppervlakte van 525 m². Dit is ruim vergeleken met de gemiddelde Nederlandse woning, die een oppervlakte heeft van ongeveer 119 m². De gebruiksoppervlakte is de maat die wordt gebruikt in de BAG-registratie, de landelijke registratie van de Nederlandse overheid.
Joan Blasiusstraat 98 heeft als functie: gezondheidszorg. Deze gebruiksfunctie(s) zijn vastgelegd in de BAG-registratie en geven aan waarvoor het adres officieel mag worden gebruikt.
Joan Blasiusstraat 98 is gelegen op kadastraal perceel GVH28AL4389. Deze kadastrale aanduiding is uniek en wordt gebruikt door het Kadaster om eigendomsrechten en andere zakelijke rechten vast te leggen. Het perceel maakt onderdeel uit van de kadastrale gemeente 's-Gravenhage.
Het perceel waarop Joan Blasiusstraat 98 staat heeft een oppervlakte van 5274 m². Dit is een zeer groot perceel. De perceeloppervlakte wordt geregistreerd door het Kadaster. Gedetailleerde informatie over de maten van dit perceel kunt u vinden in het rapport Kadastrale kaart met maatvoering van Joan Blasiusstraat 98.
De eigenaar van Joan Blasiusstraat 98 is op te vragen op deze pagina.
De informatie over dit adres is afkomstig uit officiële overheidsregistraties, voornamelijk de Basisregistratie Adressen en Gebouwen (BAG) en de Basisregistratie Kadaster (BRK). Deze gegevens worden beheerd door respectievelijk gemeenten en het Kadaster, en worden regelmatig bijgewerkt. Energielabelgegevens komen uit de database van de Rijksdienst voor Ondernemend Nederland (RVO).
