
Ridderspoorweg 256-B is een adres in 's-Gravenhage, dat zich bevindt binnen de gemeentegrenzen van 's-Gravenhage en de grenzen van de provincie Zuid-Holland. De oppervlakte van het object bedraagt 24 m². Dat is klein vergeleken met het Nederlandse gemiddelde. Het perceel waarop het adres ligt is 6320 m² groot. Het object is klein ten opzichte van de andere adressen in de straat. Het grootste verblijfsobject is 510 m² groot en het kleinste is 12 m². Het adres Ridderspoorweg 256-B ligt in een relatief oud pand uit het jaar 1956. Panden van vóór het jaar 1965 hebben we hier geclassificeerd als oud. Veel andere gebouwen in de straat zijn ouder dan dit pand. Het oudste pand komt uit het jaar 1952 en het nieuwste uit 1961. Voor het verblijfsobject gelden deze gebruiksdoelen: 'overige gebruiksfunctie'.
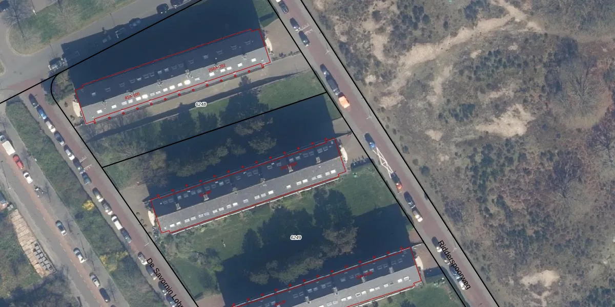
Het perceel waarop het adres ligt is LDN03-I-6249. De afkorting 'LDN03' staat voor kadastrale gemeente Loosduinen. Het perceel is met 6320 m² relatief groot. Het gemiddelde ligt in de kadastrale gemeente Loosduinen op 1424,57 m². De grootste perceeloppervlakte in de kadastrale gemeente is 4,61 km². De kleinste oppervlakte bedraagt 0 m². Op het perceel zijn 72 adressen aanwezig. De huidige grenzen van het perceel zijn digitaal in de Basisregistratie Kadaster (BRK) geregistreerd op 02-10-2007.
Er is geen energielabel geregistreerd voor het adres. Het hoogste energielabel in de straat is A; het laagste is G. Het gemiddelde energielabel is er D. Het adres Ridderspoorweg 256-B heeft als status: 'verblijfsobject in gebruik'. Het pand waarin dit adres ligt heeft als status: 'pand in gebruik'.
Ridderspoorweg 256-B is een adres gelegen in de gemeente 's-Gravenhage, provincie Zuid-Holland. Dit adres is geregistreerd in de Basisregistratie Adressen en Gebouwen (BAG) met als unieke identificatie 0518010000823809.
Het pand op Ridderspoorweg 256-B is gebouwd in 1956, wat betekent dat het 70 jaar oud is. Dit is een ouder pand. Het pand heeft mogelijk aanzienlijke renovaties nodig om aan de huidige standaarden te voldoen.
De woning op Ridderspoorweg 256-B heeft een gebruiksoppervlakte van 24 m². Dit is relatief klein vergeleken met de gemiddelde Nederlandse woning, die een oppervlakte heeft van ongeveer 119 m². De gebruiksoppervlakte is de maat die wordt gebruikt in de BAG-registratie, de landelijke registratie van de Nederlandse overheid.
Ridderspoorweg 256-B heeft als functie: overige doeleinden. Deze gebruiksfunctie(s) zijn vastgelegd in de BAG-registratie en geven aan waarvoor het adres officieel mag worden gebruikt.
Ridderspoorweg 256-B is gelegen op kadastraal perceel LDN03I6249. Deze kadastrale aanduiding is uniek en wordt gebruikt door het Kadaster om eigendomsrechten en andere zakelijke rechten vast te leggen. Het perceel maakt onderdeel uit van de kadastrale gemeente Loosduinen.
Het perceel waarop Ridderspoorweg 256-B staat heeft een oppervlakte van 6320 m². Dit is een zeer groot perceel. De perceeloppervlakte wordt geregistreerd door het Kadaster. Gedetailleerde informatie over de maten van dit perceel kunt u vinden in het rapport Kadastrale kaart met maatvoering van Ridderspoorweg 256-B.
De eigenaar van Ridderspoorweg 256-B is op te vragen op deze pagina.
De informatie over dit adres is afkomstig uit officiële overheidsregistraties, voornamelijk de Basisregistratie Adressen en Gebouwen (BAG) en de Basisregistratie Kadaster (BRK). Deze gegevens worden beheerd door respectievelijk gemeenten en het Kadaster, en worden regelmatig bijgewerkt. Energielabelgegevens komen uit de database van de Rijksdienst voor Ondernemend Nederland (RVO).
