
Het adres Van Ouwenlaan 39 bevindt zich in de plaats 's-Gravenhage, in de gemeente 's-Gravenhage en de provincie Zuid-Holland. Het verblijfsobject is vergeleken met het Nederlandse gemiddelde aan de kleine kant: de oppervlakte is 5 m². Het perceel waarop het adres zich bevindt heeft een oppervlakte van 3,7 ha. In de straat is dit het kleinste object. Het grootste verblijfsobject heeft een oppervlakte van 843 m². De gemiddelde grootte is er 298 m². De meeste Nederlandse gebouwen zijn gebouwd in de periode 1965-1984. Zo ook het pand waarin Van Ouwenlaan 39 ligt, dat gebouwd is in 1970. Dit object is relatief nieuw in de straat. Het nieuwste gebouw komt er uit het jaar 1991 en het oudste uit het jaar 1924. De volgende gebruiksdoelen zijn geregistreerd voor dit adres: 'overige gebruiksfunctie'.
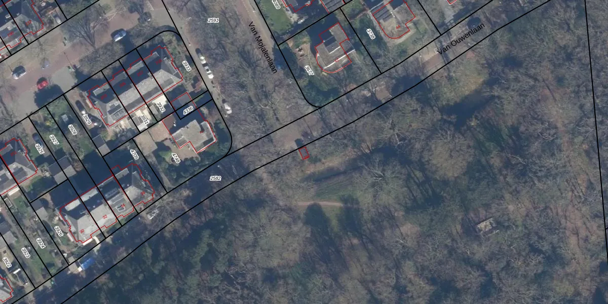
Het perceel waarop het adres ligt is GVH16-X-1225. De afkorting 'GVH16' staat voor kadastrale gemeente 's-Gravenhage. De oppervlakte van het perceel is 3,7 ha. Dat is groter dan gemiddeld in 's-Gravenhage, waar de gemiddelde perceeloppervlakte op 782,32 m² ligt. De grootste perceeloppervlakte in de kadastrale gemeente is 9,5 ha. De kleinste oppervlakte bedraagt 0 m². Op het perceel bevinden zich geen andere adressen. In de Basisregistratie Kadaster (BRK) werden de grenzen van het perceel geregistreerd op 01-05-2003.
Er is geen energielabel geregistreerd voor het adres. Het hoogste energielabel in de straat is A+; het laagste is G. Het gemiddelde energielabel is er D. Het adres Van Ouwenlaan 39 heeft als status: 'verblijfsobject in gebruik'. Het pand waarin dit adres ligt heeft als status: 'pand in gebruik'.
Van Ouwenlaan 39 is een adres gelegen in de gemeente 's-Gravenhage, provincie Zuid-Holland. Dit adres is geregistreerd in de Basisregistratie Adressen en Gebouwen (BAG) met als unieke identificatie 0518010000824429.
Het pand op Van Ouwenlaan 39 is gebouwd in 1970, wat betekent dat het 56 jaar oud is. Dit is een ouder pand. Het pand heeft mogelijk aanzienlijke renovaties nodig om aan de huidige standaarden te voldoen.
De woning op Van Ouwenlaan 39 heeft een gebruiksoppervlakte van 5 m². Dit is relatief klein vergeleken met de gemiddelde Nederlandse woning, die een oppervlakte heeft van ongeveer 119 m². De gebruiksoppervlakte is de maat die wordt gebruikt in de BAG-registratie, de landelijke registratie van de Nederlandse overheid.
Van Ouwenlaan 39 heeft als functie: overige doeleinden. Deze gebruiksfunctie(s) zijn vastgelegd in de BAG-registratie en geven aan waarvoor het adres officieel mag worden gebruikt.
Van Ouwenlaan 39 is gelegen op kadastraal perceel GVH16X1225. Deze kadastrale aanduiding is uniek en wordt gebruikt door het Kadaster om eigendomsrechten en andere zakelijke rechten vast te leggen. Het perceel maakt onderdeel uit van de kadastrale gemeente 's-Gravenhage.
Het perceel waarop Van Ouwenlaan 39 staat heeft een oppervlakte van 3,7 ha. Dit is een zeer groot perceel. De perceeloppervlakte wordt geregistreerd door het Kadaster. Gedetailleerde informatie over de maten van dit perceel kunt u vinden in het rapport Kadastrale kaart met maatvoering van Van Ouwenlaan 39.
De eigenaar van Van Ouwenlaan 39 is op te vragen op deze pagina.
De informatie over dit adres is afkomstig uit officiële overheidsregistraties, voornamelijk de Basisregistratie Adressen en Gebouwen (BAG) en de Basisregistratie Kadaster (BRK). Deze gegevens worden beheerd door respectievelijk gemeenten en het Kadaster, en worden regelmatig bijgewerkt. Energielabelgegevens komen uit de database van de Rijksdienst voor Ondernemend Nederland (RVO).
