
Vlaskamp 552 is gelegen in de plaats 's-Gravenhage, de gemeente 's-Gravenhage en de provincie Zuid-Holland. Het verblijfsobject is vergeleken met het Nederlandse gemiddelde aan de kleine kant: de oppervlakte is 15 m². Het perceel waarop het adres zich bevindt heeft een oppervlakte van 1884 m². Het adres is klein vergeleken met andere objecten in de straat. Het grootste object in de straat heeft een oppervlakte van 8030 m², het kleinste is 12 m² groot. De meeste Nederlandse gebouwen zijn gebouwd in de periode 1965-1984. Zo ook het pand waarin Vlaskamp 552 ligt, dat gebouwd is in 1966. Het nieuwste gebouw in de straat komt uit 2009 en het oudste uit 1965. Dit object is relatief oud. De volgende gebruiksdoelen zijn geregistreerd voor dit adres: 'overige gebruiksfunctie'.
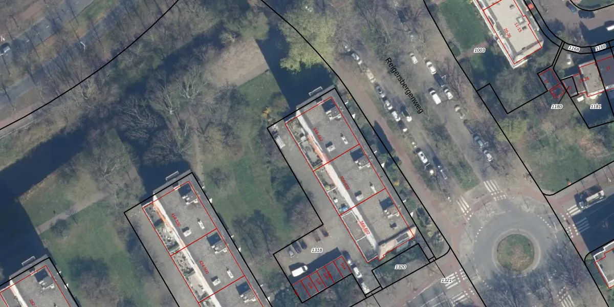
Het adres ligt op het perceel GVH34-AS-1318, dat zich in de kadastrale gemeente 's-Gravenhage bevindt. De oppervlakte van het perceel is 1884 m². Dat is groter dan gemiddeld in 's-Gravenhage, waar de gemiddelde perceeloppervlakte op 1318,64 m² ligt. De grootste perceeloppervlakte in de kadastrale gemeente is 11,0 ha. De kleinste oppervlakte bedraagt 0 m². Op het perceel liggen in totaal 62 adressen. De laatste wijziging in het de Basisregistratie Kadaster (BRK) was op 10-05-2002.
Er is geen energielabel geregistreerd voor het adres. Het hoogste energielabel in de straat is A; het laagste is G. Het gemiddelde energielabel is er E. Het adres Vlaskamp 552 heeft als status: 'verblijfsobject in gebruik'. Het pand waarin dit adres ligt heeft als status: 'pand in gebruik'.
Vlaskamp 552 is een adres gelegen in de gemeente 's-Gravenhage, provincie Zuid-Holland. Dit adres is geregistreerd in de Basisregistratie Adressen en Gebouwen (BAG) met als unieke identificatie 0518010000512361.
Het pand op Vlaskamp 552 is gebouwd in 1966, wat betekent dat het 60 jaar oud is. Dit is een ouder pand. Het pand heeft mogelijk aanzienlijke renovaties nodig om aan de huidige standaarden te voldoen.
De woning op Vlaskamp 552 heeft een gebruiksoppervlakte van 15 m². Dit is relatief klein vergeleken met de gemiddelde Nederlandse woning, die een oppervlakte heeft van ongeveer 119 m². De gebruiksoppervlakte is de maat die wordt gebruikt in de BAG-registratie, de landelijke registratie van de Nederlandse overheid.
Vlaskamp 552 heeft als functie: overige doeleinden. Deze gebruiksfunctie(s) zijn vastgelegd in de BAG-registratie en geven aan waarvoor het adres officieel mag worden gebruikt.
Vlaskamp 552 is gelegen op kadastraal perceel GVH34AS1318. Deze kadastrale aanduiding is uniek en wordt gebruikt door het Kadaster om eigendomsrechten en andere zakelijke rechten vast te leggen. Het perceel maakt onderdeel uit van de kadastrale gemeente 's-Gravenhage.
Het perceel waarop Vlaskamp 552 staat heeft een oppervlakte van 1884 m². Dit is een zeer groot perceel. De perceeloppervlakte wordt geregistreerd door het Kadaster. Gedetailleerde informatie over de maten van dit perceel kunt u vinden in het rapport Kadastrale kaart met maatvoering van Vlaskamp 552.
De eigenaar van Vlaskamp 552 is op te vragen op deze pagina.
De informatie over dit adres is afkomstig uit officiële overheidsregistraties, voornamelijk de Basisregistratie Adressen en Gebouwen (BAG) en de Basisregistratie Kadaster (BRK). Deze gegevens worden beheerd door respectievelijk gemeenten en het Kadaster, en worden regelmatig bijgewerkt. Energielabelgegevens komen uit de database van de Rijksdienst voor Ondernemend Nederland (RVO).
