
De Gaarde 2 is gelegen in de plaats 's-Heerenberg, de gemeente Montferland en de provincie Gelderland. Het perceel waarop het verblijfsobject staat is 1670 m² groot. De oppervlakte van het adres is 123 m², wat zich rond het Nederlandse gemiddelde van 119 m² bevindt. De oppervlakte van het adres is klein vergeleken met de andere objecten in de straat. De oppervlakte van het kleinste object in de straat bedraagt 118 m², terwijl het grootste object 203 m² groot is. De Gaarde 2 bevindt zich in een pand uit het jaar 1660. Daarmee behoort het tot de groep relatief oude panden in Nederland die gebouwd zijn vóór 1965. Dit is het oudste object in de straat. Het nieuwste pand komt uit 1875 en het gemiddelde bouwjaar in de straat is 1732. Het verblijfsobject heeft de volgende gebruiksdoelen: 'woonfunctie'.
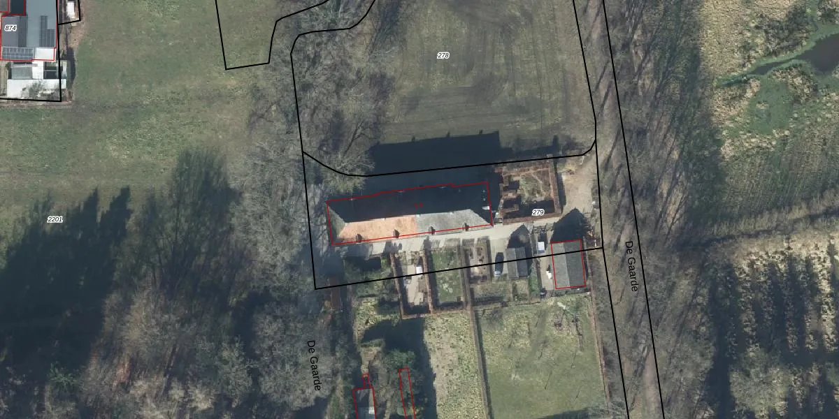
Het adres is gelegen op perceel 279 in de sectie G en de kadastrale gemeente 's-Heerenberg. De kadastrale aanduiding is aldus HRB00-G-279. Het perceel is kleiner dan gemiddeld in 's-Heerenberg. Het perceel is 1670 m² groot, terwijl het gemiddelde ligt op 5429,57 m². Het grootste perceel in de kadastrale gemeente is 2,16 km². Het kleinste perceel heeft een oppervlakte van 1 m². Op het perceel zijn 4 adressen aanwezig. De laatste wijziging in het de Basisregistratie Kadaster (BRK) was op 06-07-2011.
Het adres ligt in een gebouw van het type 'rijwoning tussen'. Bij de laatste meting is voor het adres het energielabel F geregistreerd. Het hoogste energielabel in de straat is F; het laagste is G. Het gemiddelde energielabel is er F. Het adres De Gaarde 2 heeft als status: 'verblijfsobject in gebruik'. Het pand waarin dit adres ligt heeft als status: 'pand in gebruik'.
De Gaarde 2 is een adres gelegen in de gemeente Montferland, provincie Gelderland. Dit adres is geregistreerd in de Basisregistratie Adressen en Gebouwen (BAG) met als unieke identificatie 1955010000033070.
Het pand op De Gaarde 2 is gebouwd in 1660, wat betekent dat het 366 jaar oud is. Dit is een ouder pand. Het pand heeft mogelijk aanzienlijke renovaties nodig om aan de huidige standaarden te voldoen.
De woning op De Gaarde 2 heeft een gebruiksoppervlakte van 123 m². Dit is gemiddeld vergeleken met de gemiddelde Nederlandse woning, die een oppervlakte heeft van ongeveer 119 m². De gebruiksoppervlakte is de maat die wordt gebruikt in de BAG-registratie, de landelijke registratie van de Nederlandse overheid.
De Gaarde 2 heeft als functie: wonen. Deze gebruiksfunctie(s) zijn vastgelegd in de BAG-registratie en geven aan waarvoor het adres officieel mag worden gebruikt.
De Gaarde 2 is gelegen op kadastraal perceel HRB00G279. Deze kadastrale aanduiding is uniek en wordt gebruikt door het Kadaster om eigendomsrechten en andere zakelijke rechten vast te leggen. Het perceel maakt onderdeel uit van de kadastrale gemeente 's-Heerenberg.
Het perceel waarop De Gaarde 2 staat heeft een oppervlakte van 1670 m². Dit is een zeer groot perceel. De perceeloppervlakte wordt geregistreerd door het Kadaster. Gedetailleerde informatie over de maten van dit perceel kunt u vinden in het rapport Kadastrale kaart met maatvoering van De Gaarde 2.
De eigenaar van De Gaarde 2 is op te vragen op deze pagina.
De informatie over dit adres is afkomstig uit officiële overheidsregistraties, voornamelijk de Basisregistratie Adressen en Gebouwen (BAG) en de Basisregistratie Kadaster (BRK). Deze gegevens worden beheerd door respectievelijk gemeenten en het Kadaster, en worden regelmatig bijgewerkt. Energielabelgegevens komen uit de database van de Rijksdienst voor Ondernemend Nederland (RVO).
