
Aartshertogenlaan 421 is gelegen in de plaats 's-Hertogenbosch, de gemeente 's-Hertogenbosch en de provincie Noord-Brabant. Het object heeft een oppervlakte van 257 m², wat relatief groot is. Het perceel waarop het adres ligt is 840 m² groot. Vergeleken met de andere verblijfsobjecten in de straat is dit object groot. De oppervlakte van het grootste object in de straat is 5940 m², die van het kleinste bedraagt 10 m². Het gebouw waarin Aartshertogenlaan 421 ligt komt uit het jaar 1957. Objecten die gebouwd zijn vóór 1965 classificeren we hier als oud. Vergeleken met de andere panden in de straat is dit gebouw nieuw. Het vroegste bouwjaar is er 1938 en het laatste is 2025. De volgende gebruiksdoelen zijn geregistreerd voor dit adres: 'woonfunctie' en 'kantoorfunctie'.
Deze woning is voor het laatst verkocht op 1 januari 2017. Meer informatie over deze transactie? Bestel het Woningtransactierapport om de verkoopprijs en andere informatie te zien.
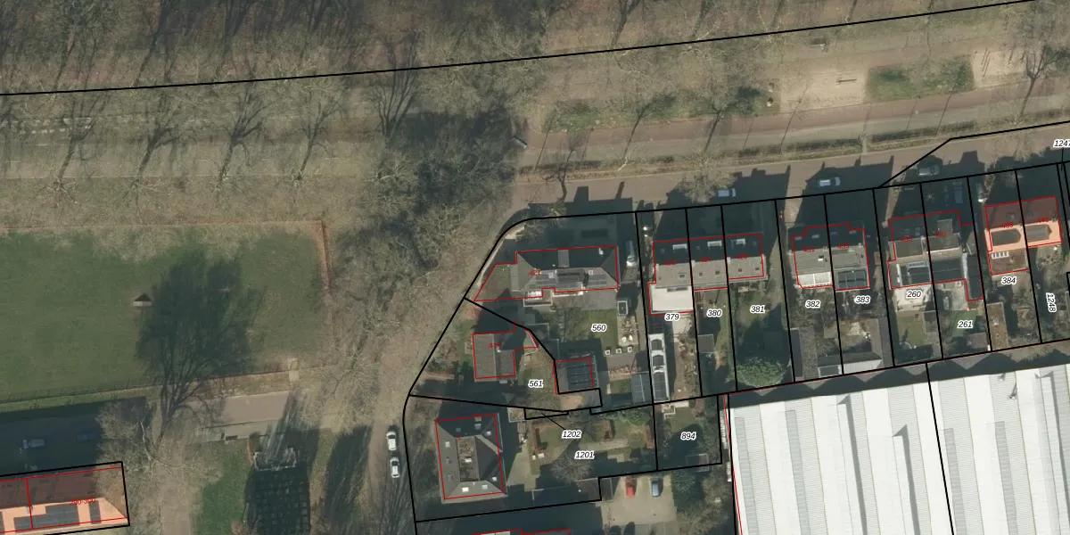
Het adres is gelegen op perceel 560 in de sectie M en de kadastrale gemeente 's-Hertogenbosch. De kadastrale aanduiding is aldus HTG00-M-560. Het perceel is 840 m² groot. Dat is kleiner dan de gemiddelde perceeloppervlakte in 's-Hertogenbosch, dat op 1691,39 m² ligt. Het kleinste perceel in de kadastrale gemeente is 0 m² groot. De grootste perceeloppervlakte is 55,1 ha. Dit is het enige adres dat aanwezig is op het perceel. De laatste wijziging in het de Basisregistratie Kadaster (BRK) was op 13-08-2008.
Het adres ligt in een gebouw van het type 'vrijstaande woning'. Bij de laatste meting is voor het adres het energielabel F geregistreerd. Het hoogste energielabel in de straat is A+++; het laagste is G. Het gemiddelde energielabel is er C. Het adres Aartshertogenlaan 421 heeft als status: 'verblijfsobject in gebruik'. Het pand waarin dit adres ligt heeft als status: 'pand in gebruik'.
Aartshertogenlaan 421 is een adres gelegen in de gemeente 's-Hertogenbosch, provincie Noord-Brabant. Dit adres is geregistreerd in de Basisregistratie Adressen en Gebouwen (BAG) met als unieke identificatie 0796010000293494.
Het pand op Aartshertogenlaan 421 is gebouwd in 1957, wat betekent dat het 69 jaar oud is. Dit is een ouder pand. Het pand heeft mogelijk aanzienlijke renovaties nodig om aan de huidige standaarden te voldoen.
De woning op Aartshertogenlaan 421 heeft een gebruiksoppervlakte van 257 m². Dit is ruim vergeleken met de gemiddelde Nederlandse woning, die een oppervlakte heeft van ongeveer 119 m². De gebruiksoppervlakte is de maat die wordt gebruikt in de BAG-registratie, de landelijke registratie van de Nederlandse overheid.
Aartshertogenlaan 421 heeft als functie: wonen en kantoor. Deze gebruiksfunctie(s) zijn vastgelegd in de BAG-registratie en geven aan waarvoor het adres officieel mag worden gebruikt.
Aartshertogenlaan 421 is gelegen op kadastraal perceel HTG00M560. Deze kadastrale aanduiding is uniek en wordt gebruikt door het Kadaster om eigendomsrechten en andere zakelijke rechten vast te leggen. Het perceel maakt onderdeel uit van de kadastrale gemeente 's-Hertogenbosch.
Het perceel waarop Aartshertogenlaan 421 staat heeft een oppervlakte van 840 m². Dit is een groot perceel. De perceeloppervlakte wordt geregistreerd door het Kadaster. Gedetailleerde informatie over de maten van dit perceel kunt u vinden in het rapport Kadastrale kaart met maatvoering van Aartshertogenlaan 421.
De eigenaar van Aartshertogenlaan 421 is op te vragen op deze pagina.
De informatie over dit adres is afkomstig uit officiële overheidsregistraties, voornamelijk de Basisregistratie Adressen en Gebouwen (BAG) en de Basisregistratie Kadaster (BRK). Deze gegevens worden beheerd door respectievelijk gemeenten en het Kadaster, en worden regelmatig bijgewerkt. Energielabelgegevens komen uit de database van de Rijksdienst voor Ondernemend Nederland (RVO).
