
Akeleistraat 65 is gelegen in de plaats 's-Hertogenbosch, de gemeente 's-Hertogenbosch en de provincie Noord-Brabant. Het verblijfsobject is vergeleken met het Nederlandse gemiddelde aan de kleine kant: de oppervlakte is 66 m². Het perceel waarop het adres zich bevindt heeft een oppervlakte van 1546 m². Het object is klein ten opzichte van de andere adressen in de straat. Het grootste verblijfsobject is 176 m² groot en het kleinste is 24 m². In het jaar 1987 is het pand waarin Akeleistraat 65 ligt gebouwd. Dat is relatief recent: de meeste gebouwen in Nederland zijn gebouwd in de periode 1965-1984. Dit pand is het meest recent exemplaar in de straat. Het oudste object komt er uit 1938 en het gemiddelde bouwjaar is 1970. De volgende gebruiksdoelen zijn geregistreerd voor dit adres: 'woonfunctie'.
Deze woning is voor het laatst verkocht op 1 november 2025. Meer informatie over deze transactie? Bestel het Woningtransactierapport om de verkoopprijs en andere informatie te zien.
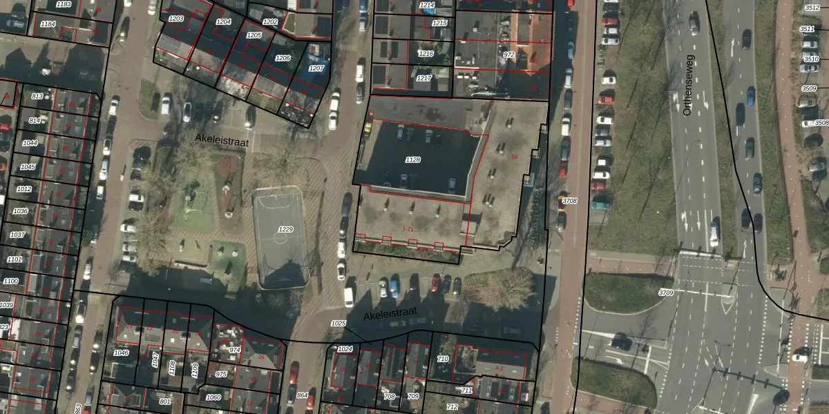
Het perceel waarop het adres ligt is HTG00-A-1128. De afkorting 'HTG00' staat voor kadastrale gemeente 's-Hertogenbosch. Het perceel is 1546 m² groot. Dat is kleiner dan de gemiddelde perceeloppervlakte in 's-Hertogenbosch, dat op 1691,39 m² ligt. De grootste perceeloppervlakte in de kadastrale gemeente is 55,1 ha. De kleinste oppervlakte bedraagt 0 m². Op het perceel liggen in totaal 37 adressen. De laatste wijziging in het de Basisregistratie Kadaster (BRK) was op 02-10-2012.
Het adres ligt in een gebouw van het type 'flatwoning (overig) met het subtype tussendak'. Bij de laatste meting is voor het adres het energielabel C geregistreerd. Het hoogste energielabel in de straat is A; het laagste is G. Het gemiddelde energielabel is er C. Het adres Akeleistraat 65 heeft als status: 'verblijfsobject in gebruik'. Het pand waarin dit adres ligt heeft als status: 'pand in gebruik'.
Akeleistraat 65 is een adres gelegen in de gemeente 's-Hertogenbosch, provincie Noord-Brabant. Dit adres is geregistreerd in de Basisregistratie Adressen en Gebouwen (BAG) met als unieke identificatie 0796010000318091.
Het pand op Akeleistraat 65 is gebouwd in 1987, wat betekent dat het 39 jaar oud is. Dit is een pand van middelbare leeftijd. Het pand is van gemiddelde leeftijd en zal waarschijnlijk verouderde elementen bevatten.
De woning op Akeleistraat 65 heeft een gebruiksoppervlakte van 66 m². Dit is relatief klein vergeleken met de gemiddelde Nederlandse woning, die een oppervlakte heeft van ongeveer 119 m². De gebruiksoppervlakte is de maat die wordt gebruikt in de BAG-registratie, de landelijke registratie van de Nederlandse overheid.
Akeleistraat 65 heeft als functie: wonen. Deze gebruiksfunctie(s) zijn vastgelegd in de BAG-registratie en geven aan waarvoor het adres officieel mag worden gebruikt.
Akeleistraat 65 is gelegen op kadastraal perceel HTG00A1128. Deze kadastrale aanduiding is uniek en wordt gebruikt door het Kadaster om eigendomsrechten en andere zakelijke rechten vast te leggen. Het perceel maakt onderdeel uit van de kadastrale gemeente 's-Hertogenbosch.
Het perceel waarop Akeleistraat 65 staat heeft een oppervlakte van 1546 m². Dit is een zeer groot perceel. De perceeloppervlakte wordt geregistreerd door het Kadaster. Gedetailleerde informatie over de maten van dit perceel kunt u vinden in het rapport Kadastrale kaart met maatvoering van Akeleistraat 65.
De eigenaar van Akeleistraat 65 is op te vragen op deze pagina.
De informatie over dit adres is afkomstig uit officiële overheidsregistraties, voornamelijk de Basisregistratie Adressen en Gebouwen (BAG) en de Basisregistratie Kadaster (BRK). Deze gegevens worden beheerd door respectievelijk gemeenten en het Kadaster, en worden regelmatig bijgewerkt. Energielabelgegevens komen uit de database van de Rijksdienst voor Ondernemend Nederland (RVO).
