
Hustenweg 7-A is gelegen in de plaats 's-Hertogenbosch, de gemeente 's-Hertogenbosch en de provincie Noord-Brabant. De oppervlakte bedraagt 254 m², waarmee het adres groter dan gemiddeld is. De grootte van het perceel waarop het adres ligt is 1456 m². Vergeleken met de andere verblijfsobjecten in de straat is dit object groot. De oppervlakte van het grootste object in de straat is 307 m², die van het kleinste bedraagt 125 m². Hustenweg 7-A ligt in een gebouw uit het jaar 2015. Daarmee behoort het tot de groep panden van na 1984, die we als relatief nieuw bestempelen. In de straat is dit het nieuwste pand en stamt het oudste object uit het jaar 1972. Het gemiddelde bouwjaar in de straat is 1996. Voor het verblijfsobject gelden deze gebruiksdoelen: 'woonfunctie'.
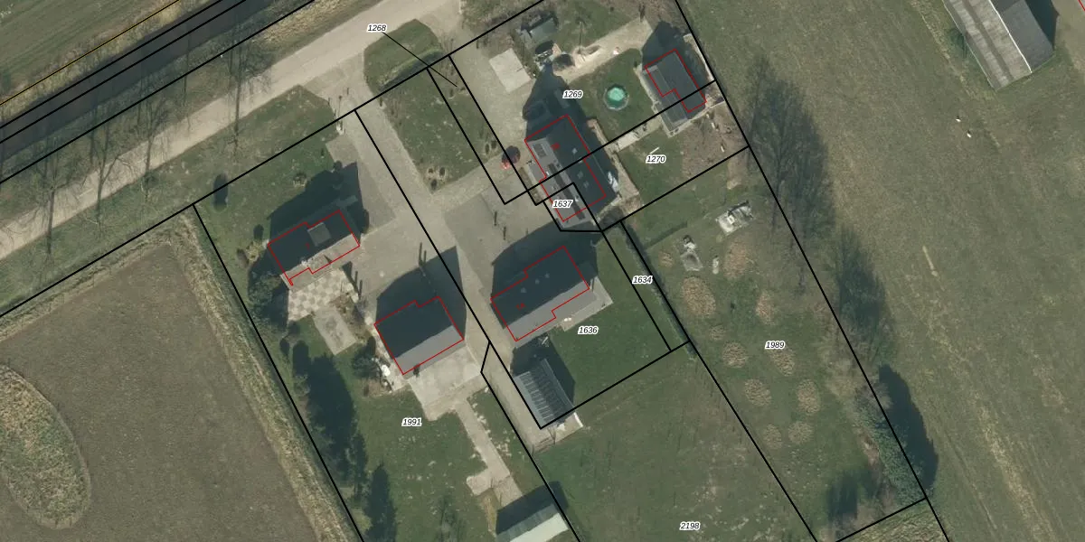
Het adres is gelegen op perceel 1636 in de sectie U en de kadastrale gemeente 's-Hertogenbosch. De kadastrale aanduiding is aldus HTG00-U-1636. De gemiddelde perceelgrootte in 's-Hertogenbosch is 1694,72 m². Dit perceel is kleiner: de perceeloppervlakte bedraagt 1456 m². Het grootste perceel in de kadastrale gemeente is 55,1 ha. Het kleinste perceel heeft een oppervlakte van 0 m². Er zijn geen andere adressen aanwezig op het perceel. De laatste wijziging in het de Basisregistratie Kadaster (BRK) was op 08-02-2022.
Er is geen energielabel geregistreerd voor het adres. Het hoogste energielabel in de straat is A++; het laagste is G. Het gemiddelde energielabel is er A+. Het adres Hustenweg 7-A heeft als status: 'verblijfsobject in gebruik'. Het pand waarin dit adres ligt heeft als status: 'pand in gebruik'.
Hustenweg 7-A is een adres gelegen in de gemeente 's-Hertogenbosch, provincie Noord-Brabant. Dit adres is geregistreerd in de Basisregistratie Adressen en Gebouwen (BAG) met als unieke identificatie 0796010000441808.
Het pand op Hustenweg 7-A is gebouwd in 2015, wat betekent dat het 11 jaar oud is. Dit is een relatief modern pand. Ten opzichte van de nationale woningvoorraad is het pand relatief modern, maar er kunnen enkele verouderde elementen zijn die aandacht nodig hebben.
De woning op Hustenweg 7-A heeft een gebruiksoppervlakte van 254 m². Dit is ruim vergeleken met de gemiddelde Nederlandse woning, die een oppervlakte heeft van ongeveer 119 m². De gebruiksoppervlakte is de maat die wordt gebruikt in de BAG-registratie, de landelijke registratie van de Nederlandse overheid.
Hustenweg 7-A heeft als functie: wonen. Deze gebruiksfunctie(s) zijn vastgelegd in de BAG-registratie en geven aan waarvoor het adres officieel mag worden gebruikt.
Hustenweg 7-A is gelegen op kadastraal perceel HTG00U1636. Deze kadastrale aanduiding is uniek en wordt gebruikt door het Kadaster om eigendomsrechten en andere zakelijke rechten vast te leggen. Het perceel maakt onderdeel uit van de kadastrale gemeente 's-Hertogenbosch.
Het perceel waarop Hustenweg 7-A staat heeft een oppervlakte van 1456 m². Dit is een zeer groot perceel. De perceeloppervlakte wordt geregistreerd door het Kadaster. Gedetailleerde informatie over de maten van dit perceel kunt u vinden in het rapport Kadastrale kaart met maatvoering van Hustenweg 7-A.
De eigenaar van Hustenweg 7-A is op te vragen op deze pagina.
De informatie over dit adres is afkomstig uit officiële overheidsregistraties, voornamelijk de Basisregistratie Adressen en Gebouwen (BAG) en de Basisregistratie Kadaster (BRK). Deze gegevens worden beheerd door respectievelijk gemeenten en het Kadaster, en worden regelmatig bijgewerkt. Energielabelgegevens komen uit de database van de Rijksdienst voor Ondernemend Nederland (RVO).
