
Het adres Noorderstraat 53 bevindt zich in de plaats Sappemeer, in de gemeente Sappemeer en de provincie Groningen. De oppervlakte van het verblijfsobject is met 395 m² aan de grote kant. Het perceel heeft een oppervlakte van 4512 m². De oppervlakte van dit adres is groot vergeleken met de oppervlaktes van andere adressen in de straat. De kleinste oppervlakte bedraagt er 6 m², de grootste 3,8 ha. Noorderstraat 53 bevindt zich in een pand uit het jaar 1847. Daarmee behoort het tot de groep relatief oude panden in Nederland die gebouwd zijn vóór 1965. Het nieuwste gebouw in de straat komt uit 2024 en het oudste uit 1641. Dit object is relatief oud. Voor het verblijfsobject gelden deze gebruiksdoelen: 'logiesfunctie'.
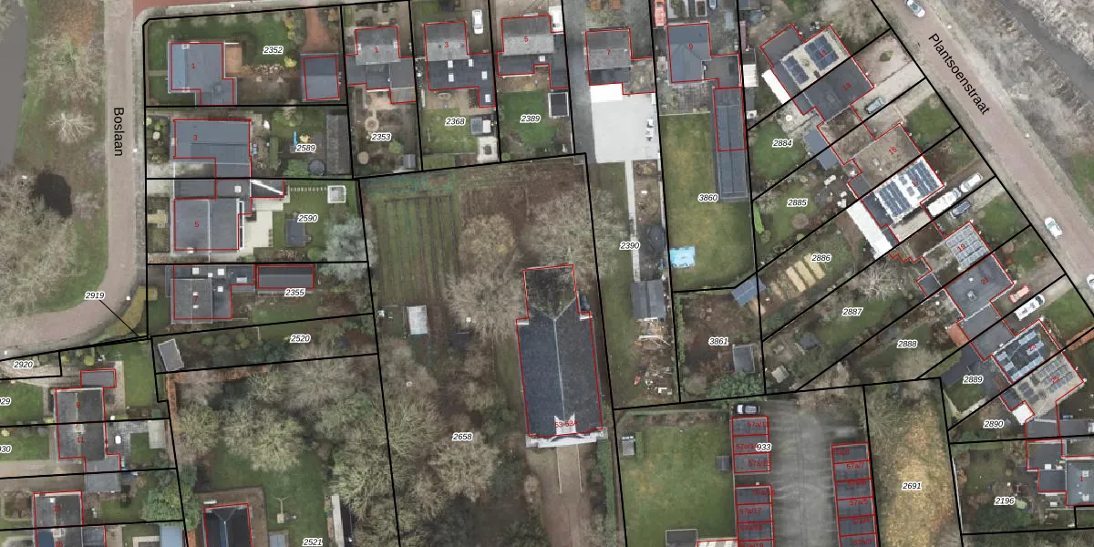
Het adres ligt op het perceel SPM00-F-2658, dat zich in de kadastrale gemeente Sappemeer bevindt. Het perceel is met 4512 m² relatief groot. Het gemiddelde ligt in de kadastrale gemeente Sappemeer op 2462,43 m². Het grootste perceel in de kadastrale gemeente is 27,1 ha. Het kleinste perceel heeft een oppervlakte van 0 m². Op het perceel liggen in totaal 3 adressen. In de Basisregistratie Kadaster (BRK) werden de grenzen van het perceel geregistreerd op 12-02-2001.
Er is geen energielabel geregistreerd voor het adres. Het hoogste energielabel in de straat is A+++; het laagste is G. Het gemiddelde energielabel is er D. Het adres Noorderstraat 53 heeft als status: 'verblijfsobject in gebruik'. Het pand waarin dit adres ligt heeft als status: 'pand in gebruik'.
Noorderstraat 53 is een adres gelegen in de gemeente Midden-Groningen, provincie Groningen. Dit adres is geregistreerd in de Basisregistratie Adressen en Gebouwen (BAG) met als unieke identificatie 1952010000002454.
Het pand op Noorderstraat 53 is gebouwd in 1847, wat betekent dat het 179 jaar oud is. Dit is een ouder pand. Het pand heeft mogelijk aanzienlijke renovaties nodig om aan de huidige standaarden te voldoen.
De woning op Noorderstraat 53 heeft een gebruiksoppervlakte van 395 m². Dit is ruim vergeleken met de gemiddelde Nederlandse woning, die een oppervlakte heeft van ongeveer 119 m². De gebruiksoppervlakte is de maat die wordt gebruikt in de BAG-registratie, de landelijke registratie van de Nederlandse overheid.
Noorderstraat 53 heeft als functie: logies/verblijf. Deze gebruiksfunctie(s) zijn vastgelegd in de BAG-registratie en geven aan waarvoor het adres officieel mag worden gebruikt.
Noorderstraat 53 is gelegen op kadastraal perceel SPM00F2658. Deze kadastrale aanduiding is uniek en wordt gebruikt door het Kadaster om eigendomsrechten en andere zakelijke rechten vast te leggen. Het perceel maakt onderdeel uit van de kadastrale gemeente Sappemeer.
Het perceel waarop Noorderstraat 53 staat heeft een oppervlakte van 4512 m². Dit is een zeer groot perceel. De perceeloppervlakte wordt geregistreerd door het Kadaster. Gedetailleerde informatie over de maten van dit perceel kunt u vinden in het rapport Kadastrale kaart met maatvoering van Noorderstraat 53.
De eigenaar van Noorderstraat 53 is op te vragen op deze pagina
De informatie over dit adres is afkomstig uit officiële overheidsregistraties, voornamelijk de Basisregistratie Adressen en Gebouwen (BAG) en de Basisregistratie Kadaster (BRK). Deze gegevens worden beheerd door respectievelijk gemeenten en het Kadaster, en worden regelmatig bijgewerkt. Energielabelgegevens komen uit de database van de Rijksdienst voor Ondernemend Nederland (RVO).
