
Hagenvoorderdijk 6 is een adres in Schalkhaar, dat zich bevindt binnen de gemeentegrenzen van Schalkhaar en de grenzen van de provincie Overijssel. De oppervlakte van het verblijfsobject is met 238 m² aan de grote kant. Het perceel heeft een oppervlakte van 2010 m². Het object is klein ten opzichte van de andere adressen in de straat. Het grootste verblijfsobject is 425 m² groot en het kleinste is 85 m². Het gebouw waarin Hagenvoorderdijk 6 ligt komt uit het jaar 1956. Objecten die gebouwd zijn vóór 1965 classificeren we hier als oud. Dit object is relatief nieuw in de straat. Het nieuwste gebouw komt er uit het jaar 2020 en het oudste uit het jaar 1401. De volgende gebruiksdoelen zijn geregistreerd voor dit adres: 'woonfunctie'.
Deze woning is voor het laatst verkocht op 1 juli 2017. Meer informatie over deze transactie? Bestel het Woningtransactierapport om de verkoopprijs en andere informatie te zien.
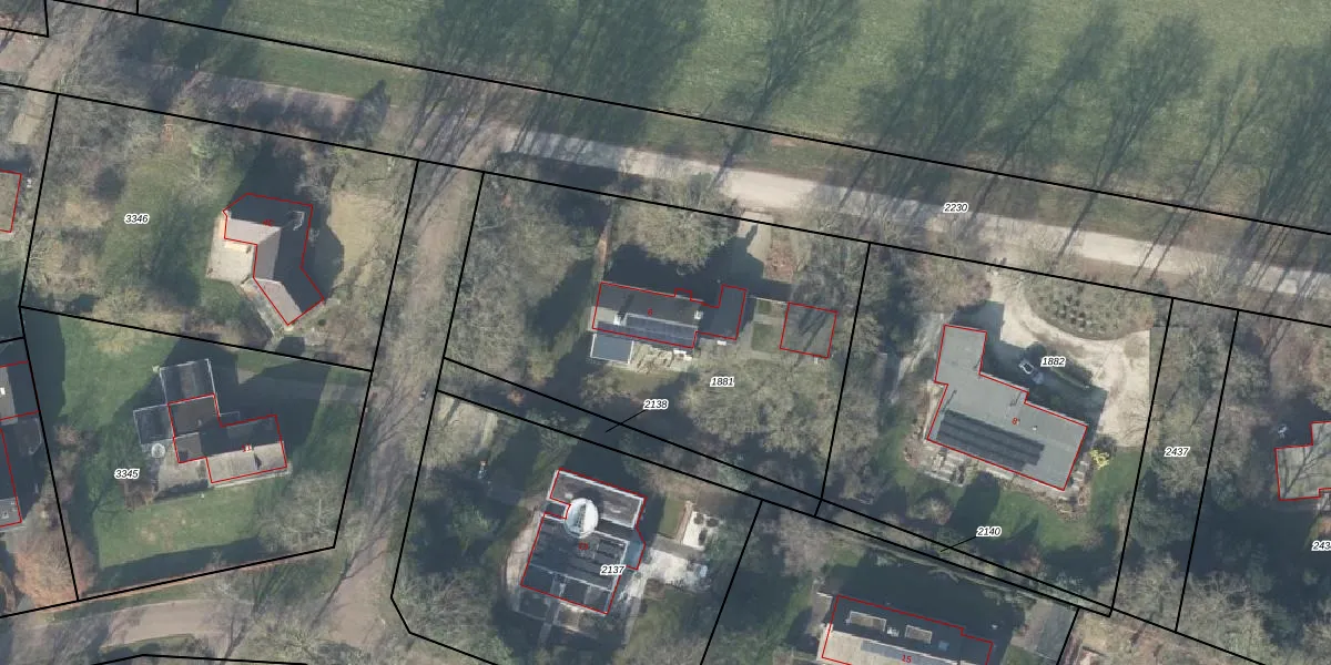
Het perceel waarop het adres ligt is DPV00-D-1881. De afkorting 'DPV00' staat voor kadastrale gemeente Diepenveen. Het perceel is 2010 m² groot. Dat is kleiner dan de gemiddelde perceeloppervlakte in Diepenveen, dat op 7072,53 m² ligt. Het kleinste perceel in de kadastrale gemeente is 0 m² groot. De grootste perceeloppervlakte is 47,9 ha. Op het perceel bevinden zich geen andere adressen. De huidige grenzen van het perceel zijn digitaal in de Basisregistratie Kadaster (BRK) geregistreerd op 09-12-2002.
Het adres ligt in een gebouw van het type 'vrijstaande woning'. Bij de laatste meting is voor het adres het energielabel C geregistreerd. Het hoogste energielabel in de straat is A+++; het laagste is G. Het gemiddelde energielabel is er B. Het adres Hagenvoorderdijk 6 heeft als status: 'verblijfsobject in gebruik'. Het pand waarin dit adres ligt heeft als status: 'pand in gebruik'.
Hagenvoorderdijk 6 is een adres gelegen in de gemeente Deventer, provincie Overijssel. Dit adres is geregistreerd in de Basisregistratie Adressen en Gebouwen (BAG) met als unieke identificatie 0150010000017270.
Het pand op Hagenvoorderdijk 6 is gebouwd in 1956, wat betekent dat het 70 jaar oud is. Dit is een ouder pand. Het pand heeft mogelijk aanzienlijke renovaties nodig om aan de huidige standaarden te voldoen.
De woning op Hagenvoorderdijk 6 heeft een gebruiksoppervlakte van 238 m². Dit is ruim vergeleken met de gemiddelde Nederlandse woning, die een oppervlakte heeft van ongeveer 119 m². De gebruiksoppervlakte is de maat die wordt gebruikt in de BAG-registratie, de landelijke registratie van de Nederlandse overheid.
Hagenvoorderdijk 6 heeft als functie: wonen. Deze gebruiksfunctie(s) zijn vastgelegd in de BAG-registratie en geven aan waarvoor het adres officieel mag worden gebruikt.
Hagenvoorderdijk 6 is gelegen op kadastraal perceel DPV00D1881. Deze kadastrale aanduiding is uniek en wordt gebruikt door het Kadaster om eigendomsrechten en andere zakelijke rechten vast te leggen. Het perceel maakt onderdeel uit van de kadastrale gemeente Diepenveen.
Het perceel waarop Hagenvoorderdijk 6 staat heeft een oppervlakte van 2010 m². Dit is een zeer groot perceel. De perceeloppervlakte wordt geregistreerd door het Kadaster. Gedetailleerde informatie over de maten van dit perceel kunt u vinden in het rapport Kadastrale kaart met maatvoering van Hagenvoorderdijk 6.
De eigenaar van Hagenvoorderdijk 6 is op te vragen op deze pagina.
De informatie over dit adres is afkomstig uit officiële overheidsregistraties, voornamelijk de Basisregistratie Adressen en Gebouwen (BAG) en de Basisregistratie Kadaster (BRK). Deze gegevens worden beheerd door respectievelijk gemeenten en het Kadaster, en worden regelmatig bijgewerkt. Energielabelgegevens komen uit de database van de Rijksdienst voor Ondernemend Nederland (RVO).
