
Faassenplein 100 is gelegen in de plaats Schiedam, de gemeente Schiedam en de provincie Zuid-Holland. De oppervlakte van het object bedraagt 94 m². Dat is klein vergeleken met het Nederlandse gemiddelde. Het perceel waarop het adres ligt is 881 m² groot. Het object is klein ten opzichte van de andere adressen in de straat. Het grootste verblijfsobject is 144 m² groot en het kleinste is 7 m². De meeste Nederlandse gebouwen zijn gebouwd in de periode 1965-1984. Zo ook het pand waarin Faassenplein 100 ligt, dat gebouwd is in 1973. In de straat komt het nieuwste gebouw uit het jaar 1974 en het oudste uit 1972. Het bouwjaar van dit object is relatief oud. Het verblijfsobject heeft de volgende gebruiksdoelen: 'woonfunctie'.
Deze woning is voor het laatst verkocht op 1 augustus 2003. Meer informatie over deze transactie? Bestel het Woningtransactierapport om de verkoopprijs en andere informatie te zien.
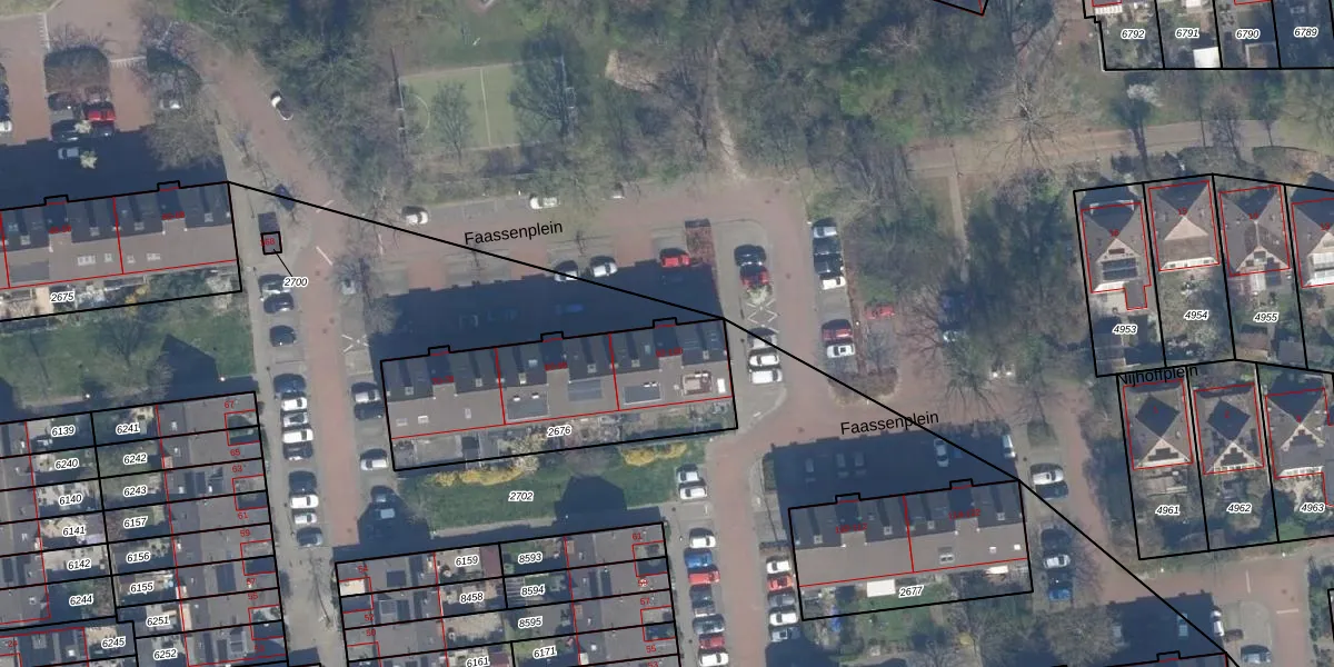
Het perceel waarop het adres ligt is SDM01-Q-2676. De afkorting 'SDM01' staat voor kadastrale gemeente Schiedam. Het perceel is kleiner dan gemiddeld in Schiedam. Het perceel is 881 m² groot, terwijl het gemiddelde ligt op 1011,07 m². De grootste perceeloppervlakte in de kadastrale gemeente is 53,5 ha. De kleinste oppervlakte bedraagt 0 m². Op het perceel zijn 16 adressen aanwezig. De laatste wijziging in het de Basisregistratie Kadaster (BRK) was op 05-02-1998.
Er is geen energielabel geregistreerd voor het adres. Het hoogste energielabel in de straat is A; het laagste is G. Het gemiddelde energielabel is er D. Het adres Faassenplein 100 heeft als status: 'verblijfsobject in gebruik'. Het pand waarin dit adres ligt heeft als status: 'pand in gebruik'.
Faassenplein 100 is een adres gelegen in de gemeente Schiedam, provincie Zuid-Holland. Dit adres is geregistreerd in de Basisregistratie Adressen en Gebouwen (BAG) met als unieke identificatie 0606010000010263.
Het pand op Faassenplein 100 is gebouwd in 1973, wat betekent dat het 53 jaar oud is. Dit is een ouder pand. Het pand heeft mogelijk aanzienlijke renovaties nodig om aan de huidige standaarden te voldoen.
De woning op Faassenplein 100 heeft een gebruiksoppervlakte van 94 m². Dit is onder het gemiddelde vergeleken met de gemiddelde Nederlandse woning, die een oppervlakte heeft van ongeveer 119 m². De gebruiksoppervlakte is de maat die wordt gebruikt in de BAG-registratie, de landelijke registratie van de Nederlandse overheid.
Faassenplein 100 heeft als functie: wonen. Deze gebruiksfunctie(s) zijn vastgelegd in de BAG-registratie en geven aan waarvoor het adres officieel mag worden gebruikt.
Faassenplein 100 is gelegen op kadastraal perceel SDM01Q2676. Deze kadastrale aanduiding is uniek en wordt gebruikt door het Kadaster om eigendomsrechten en andere zakelijke rechten vast te leggen. Het perceel maakt onderdeel uit van de kadastrale gemeente Schiedam.
Het perceel waarop Faassenplein 100 staat heeft een oppervlakte van 881 m². Dit is een groot perceel. De perceeloppervlakte wordt geregistreerd door het Kadaster. Gedetailleerde informatie over de maten van dit perceel kunt u vinden in het rapport Kadastrale kaart met maatvoering van Faassenplein 100.
De eigenaar van Faassenplein 100 is op te vragen op deze pagina.
De informatie over dit adres is afkomstig uit officiële overheidsregistraties, voornamelijk de Basisregistratie Adressen en Gebouwen (BAG) en de Basisregistratie Kadaster (BRK). Deze gegevens worden beheerd door respectievelijk gemeenten en het Kadaster, en worden regelmatig bijgewerkt. Energielabelgegevens komen uit de database van de Rijksdienst voor Ondernemend Nederland (RVO).
