
Faassenplein 42 is een adres in Schiedam, dat zich bevindt binnen de gemeentegrenzen van Schiedam en de grenzen van de provincie Zuid-Holland. Het perceel waarop het verblijfsobject staat is 872 m² groot. De oppervlakte van het adres is 127 m², wat zich rond het Nederlandse gemiddelde van 119 m² bevindt. In vergelijking met de andere adressen in de straat is de oppervlakte van dit object relatief groot. Het grootste verblijfsobject heeft een oppervlakte van 144 m², de oppervlakte van het kleinste object bedraagt 7 m². De meeste Nederlandse gebouwen zijn gebouwd in de periode 1965-1984. Zo ook het pand waarin Faassenplein 42 ligt, dat gebouwd is in 1973. In de straat komt het nieuwste gebouw uit het jaar 1974 en het oudste uit 1972. Het bouwjaar van dit object is relatief oud. Het verblijfsobject heeft de volgende gebruiksdoelen: 'woonfunctie'.
Deze woning is voor het laatst verkocht op 1 februari 2016. Meer informatie over deze transactie? Bestel het Woningtransactierapport om de verkoopprijs en andere informatie te zien.
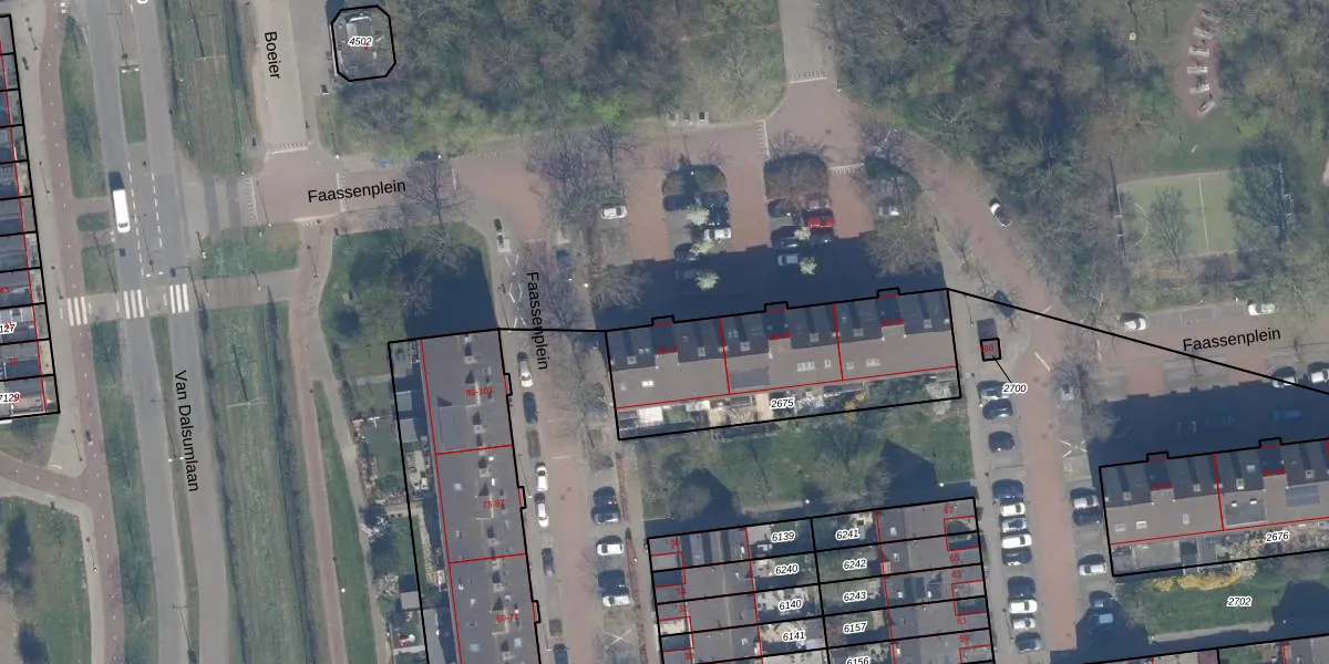
Het perceel waarop het adres ligt is SDM01-Q-2675. De afkorting 'SDM01' staat voor kadastrale gemeente Schiedam. Het perceel is kleiner dan gemiddeld in Schiedam. Het perceel is 872 m² groot, terwijl het gemiddelde ligt op 1011,07 m². De grootste perceeloppervlakte in de kadastrale gemeente is 53,5 ha. De kleinste oppervlakte bedraagt 0 m². Op het perceel zijn 16 adressen aanwezig. De huidige grenzen van het perceel zijn digitaal in de Basisregistratie Kadaster (BRK) geregistreerd op 22-05-2002.
Het adres ligt in een gebouw van het type 'flatwoning (overig) met het subtype hoekdak'. Bij de laatste meting is voor het adres het energielabel C geregistreerd. Het hoogste energielabel in de straat is A; het laagste is G. Het gemiddelde energielabel is er D. Het adres Faassenplein 42 heeft als status: 'verblijfsobject in gebruik'. Het pand waarin dit adres ligt heeft als status: 'pand in gebruik'.
Faassenplein 42 is een adres gelegen in de gemeente Schiedam, provincie Zuid-Holland. Dit adres is geregistreerd in de Basisregistratie Adressen en Gebouwen (BAG) met als unieke identificatie 0606010000010205.
Het pand op Faassenplein 42 is gebouwd in 1973, wat betekent dat het 53 jaar oud is. Dit is een ouder pand. Het pand heeft mogelijk aanzienlijke renovaties nodig om aan de huidige standaarden te voldoen.
De woning op Faassenplein 42 heeft een gebruiksoppervlakte van 127 m². Dit is gemiddeld vergeleken met de gemiddelde Nederlandse woning, die een oppervlakte heeft van ongeveer 119 m². De gebruiksoppervlakte is de maat die wordt gebruikt in de BAG-registratie, de landelijke registratie van de Nederlandse overheid.
Faassenplein 42 heeft als functie: wonen. Deze gebruiksfunctie(s) zijn vastgelegd in de BAG-registratie en geven aan waarvoor het adres officieel mag worden gebruikt.
Faassenplein 42 is gelegen op kadastraal perceel SDM01Q2675. Deze kadastrale aanduiding is uniek en wordt gebruikt door het Kadaster om eigendomsrechten en andere zakelijke rechten vast te leggen. Het perceel maakt onderdeel uit van de kadastrale gemeente Schiedam.
Het perceel waarop Faassenplein 42 staat heeft een oppervlakte van 872 m². Dit is een groot perceel. De perceeloppervlakte wordt geregistreerd door het Kadaster. Gedetailleerde informatie over de maten van dit perceel kunt u vinden in het rapport Kadastrale kaart met maatvoering van Faassenplein 42.
De eigenaar van Faassenplein 42 is op te vragen op deze pagina.
De informatie over dit adres is afkomstig uit officiële overheidsregistraties, voornamelijk de Basisregistratie Adressen en Gebouwen (BAG) en de Basisregistratie Kadaster (BRK). Deze gegevens worden beheerd door respectievelijk gemeenten en het Kadaster, en worden regelmatig bijgewerkt. Energielabelgegevens komen uit de database van de Rijksdienst voor Ondernemend Nederland (RVO).
