
Jacques Urlusplein 74 is gelegen in de plaats Schiedam, de gemeente Schiedam en de provincie Zuid-Holland. Het perceel waarop het adres gelegen is heeft een oppervlakte van 1097 m². Het verblijfsobject is met 78 m² relatief klein. Het object is klein ten opzichte van de andere adressen in de straat. Het grootste verblijfsobject is 999 m² groot en het kleinste is 18 m². In Nederland komt het grootste deel van de gebouwen uit de periode 1965-1984. Ook het bouwjaar van Jacques Urlusplein 74 is afkomstig uit die periode: het betreft namelijk een pand uit 1967. Het gemiddelde bouwjaar in de straat is 1972 en dat van het nieuwste object 2014. In de straat is dit het oudste pand. Het verblijfsobject heeft de volgende gebruiksdoelen: 'woonfunctie'.
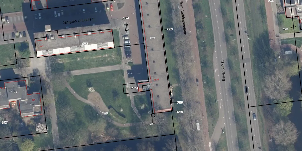
Het perceel waarop het adres ligt is SDM01-Q-6977. De afkorting 'SDM01' staat voor kadastrale gemeente Schiedam. De gemiddelde perceeloppervlakte in de kadastrale gemeente Schiedam is 1011,07 m². Dit perceel is met zijn 1097 m² dus groter dan gemiddeld. Het grootste perceel in de kadastrale gemeente is 53,5 ha. Het kleinste perceel heeft een oppervlakte van 0 m². Er zijn 50 adressen aanwezig op het perceel. De laatste wijziging in het de Basisregistratie Kadaster (BRK) was op 26-07-2012.
Het adres ligt in een gebouw van het type 'flatwoning (overig) met het subtype hoekmidden'. Bij de laatste meting is voor het adres het energielabel C geregistreerd. Het hoogste energielabel in de straat is A; het laagste is G. Het gemiddelde energielabel is er C. Het adres Jacques Urlusplein 74 heeft als status: 'verblijfsobject in gebruik'. Het pand waarin dit adres ligt heeft als status: 'pand in gebruik'.
Jacques Urlusplein 74 is een adres gelegen in de gemeente Schiedam, provincie Zuid-Holland. Dit adres is geregistreerd in de Basisregistratie Adressen en Gebouwen (BAG) met als unieke identificatie 0606010000016348.
Het pand op Jacques Urlusplein 74 is gebouwd in 1967, wat betekent dat het 59 jaar oud is. Dit is een ouder pand. Het pand heeft mogelijk aanzienlijke renovaties nodig om aan de huidige standaarden te voldoen.
De woning op Jacques Urlusplein 74 heeft een gebruiksoppervlakte van 78 m². Dit is onder het gemiddelde vergeleken met de gemiddelde Nederlandse woning, die een oppervlakte heeft van ongeveer 119 m². De gebruiksoppervlakte is de maat die wordt gebruikt in de BAG-registratie, de landelijke registratie van de Nederlandse overheid.
Jacques Urlusplein 74 heeft als functie: wonen. Deze gebruiksfunctie(s) zijn vastgelegd in de BAG-registratie en geven aan waarvoor het adres officieel mag worden gebruikt.
Jacques Urlusplein 74 is gelegen op kadastraal perceel SDM01Q6977. Deze kadastrale aanduiding is uniek en wordt gebruikt door het Kadaster om eigendomsrechten en andere zakelijke rechten vast te leggen. Het perceel maakt onderdeel uit van de kadastrale gemeente Schiedam.
Het perceel waarop Jacques Urlusplein 74 staat heeft een oppervlakte van 1097 m². Dit is een zeer groot perceel. De perceeloppervlakte wordt geregistreerd door het Kadaster. Gedetailleerde informatie over de maten van dit perceel kunt u vinden in het rapport Kadastrale kaart met maatvoering van Jacques Urlusplein 74.
De eigenaar van Jacques Urlusplein 74 is op te vragen op deze pagina.
De informatie over dit adres is afkomstig uit officiële overheidsregistraties, voornamelijk de Basisregistratie Adressen en Gebouwen (BAG) en de Basisregistratie Kadaster (BRK). Deze gegevens worden beheerd door respectievelijk gemeenten en het Kadaster, en worden regelmatig bijgewerkt. Energielabelgegevens komen uit de database van de Rijksdienst voor Ondernemend Nederland (RVO).
