
Jacques Urlusplein 88 is een adres in Schiedam, dat zich bevindt binnen de gemeentegrenzen van Schiedam en de grenzen van de provincie Zuid-Holland. Het verblijfsobject is vergeleken met het Nederlandse gemiddelde aan de kleine kant: de oppervlakte is 78 m². Het perceel waarop het adres zich bevindt heeft een oppervlakte van 1097 m². Het object is klein ten opzichte van de andere adressen in de straat. Het grootste verblijfsobject is 999 m² groot en het kleinste is 18 m². In Nederland komt het grootste deel van de gebouwen uit de periode 1965-1984. Ook het bouwjaar van Jacques Urlusplein 88 is afkomstig uit die periode: het betreft namelijk een pand uit 1967. Gemiddeld zijn de gebouwen in de straat gebouwd in 1972. Dit is het oudste pand in de straat. Het meest recente komt uit het jaar 2014. Het verblijfsobject heeft de volgende gebruiksdoelen: 'woonfunctie'.
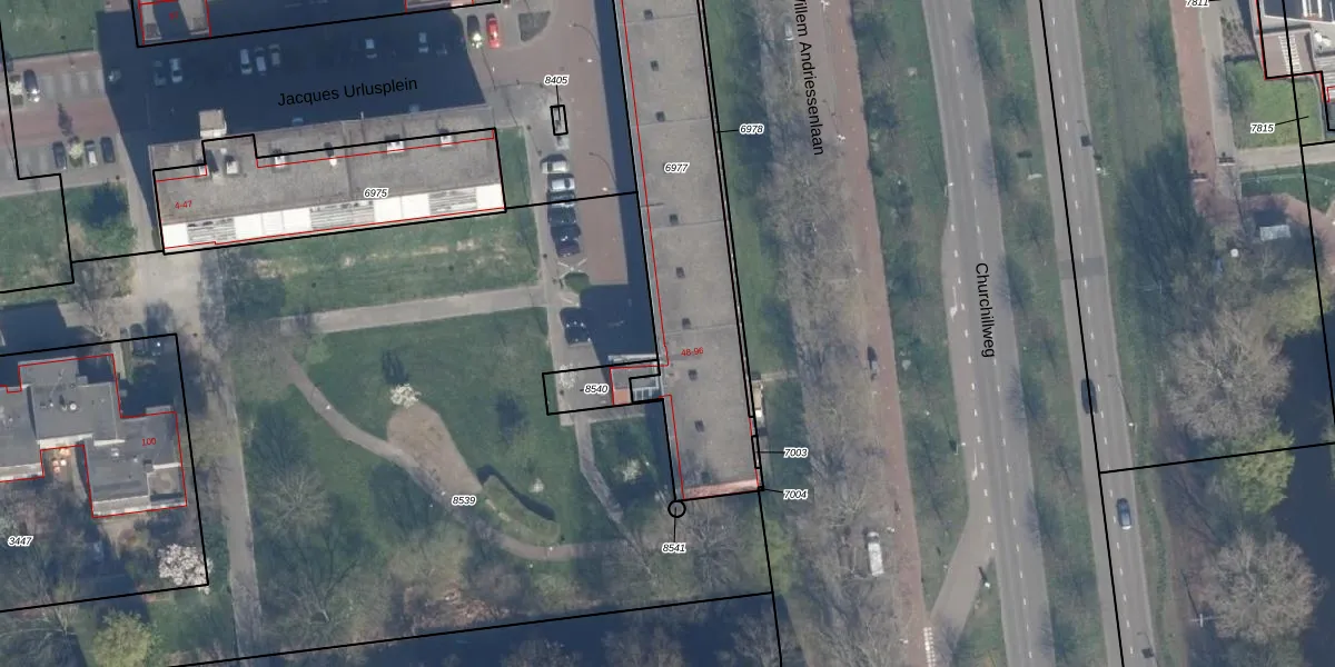
Het perceel waarop het adres ligt is SDM01-Q-6977. De afkorting 'SDM01' staat voor kadastrale gemeente Schiedam. De gemiddelde perceeloppervlakte in de kadastrale gemeente Schiedam is 1011,07 m². Dit perceel is met zijn 1097 m² dus groter dan gemiddeld. Het grootste perceel in de kadastrale gemeente is 53,5 ha. Het kleinste perceel heeft een oppervlakte van 0 m². Op het perceel liggen in totaal 50 adressen. De huidige grenzen van het perceel zijn digitaal in de Basisregistratie Kadaster (BRK) geregistreerd op 26-07-2012.
Het adres ligt in een gebouw van het type 'flatwoning (overig) met het subtype tussendak'. Bij de laatste meting is voor het adres het energielabel C geregistreerd. Het hoogste energielabel in de straat is A; het laagste is G. Het gemiddelde energielabel is er C. Het adres Jacques Urlusplein 88 heeft als status: 'verblijfsobject in gebruik'. Het pand waarin dit adres ligt heeft als status: 'pand in gebruik'.
Jacques Urlusplein 88 is een adres gelegen in de gemeente Schiedam, provincie Zuid-Holland. Dit adres is geregistreerd in de Basisregistratie Adressen en Gebouwen (BAG) met als unieke identificatie 0606010000016362.
Het pand op Jacques Urlusplein 88 is gebouwd in 1967, wat betekent dat het 59 jaar oud is. Dit is een ouder pand. Het pand heeft mogelijk aanzienlijke renovaties nodig om aan de huidige standaarden te voldoen.
De woning op Jacques Urlusplein 88 heeft een gebruiksoppervlakte van 78 m². Dit is onder het gemiddelde vergeleken met de gemiddelde Nederlandse woning, die een oppervlakte heeft van ongeveer 119 m². De gebruiksoppervlakte is de maat die wordt gebruikt in de BAG-registratie, de landelijke registratie van de Nederlandse overheid.
Jacques Urlusplein 88 heeft als functie: wonen. Deze gebruiksfunctie(s) zijn vastgelegd in de BAG-registratie en geven aan waarvoor het adres officieel mag worden gebruikt.
Jacques Urlusplein 88 is gelegen op kadastraal perceel SDM01Q6977. Deze kadastrale aanduiding is uniek en wordt gebruikt door het Kadaster om eigendomsrechten en andere zakelijke rechten vast te leggen. Het perceel maakt onderdeel uit van de kadastrale gemeente Schiedam.
Het perceel waarop Jacques Urlusplein 88 staat heeft een oppervlakte van 1097 m². Dit is een zeer groot perceel. De perceeloppervlakte wordt geregistreerd door het Kadaster. Gedetailleerde informatie over de maten van dit perceel kunt u vinden in het rapport Kadastrale kaart met maatvoering van Jacques Urlusplein 88.
De eigenaar van Jacques Urlusplein 88 is op te vragen op deze pagina.
De informatie over dit adres is afkomstig uit officiële overheidsregistraties, voornamelijk de Basisregistratie Adressen en Gebouwen (BAG) en de Basisregistratie Kadaster (BRK). Deze gegevens worden beheerd door respectievelijk gemeenten en het Kadaster, en worden regelmatig bijgewerkt. Energielabelgegevens komen uit de database van de Rijksdienst voor Ondernemend Nederland (RVO).
