
Het adres Laseurpad 65 bevindt zich in de plaats Schiedam, in de gemeente Schiedam en de provincie Zuid-Holland. Het perceel waarop het verblijfsobject staat is 121 m² groot. De oppervlakte van het adres is 122 m², wat zich rond het Nederlandse gemiddelde van 119 m² bevindt. Dit is het kleinste object van de straat. De gemiddelde oppervlakte van verblijfsobjecten is er 123 m². De grootste oppervlakte in de straat is 130 m². In Nederland komt het grootste deel van de gebouwen uit de periode 1965-1984. Ook het bouwjaar van Laseurpad 65 is afkomstig uit die periode: het betreft namelijk een pand uit 1973. In de straat is dit het nieuwste pand en stamt het oudste object uit het jaar 1973. Het gemiddelde bouwjaar in de straat is 1973. Voor het verblijfsobject gelden deze gebruiksdoelen: 'woonfunctie'.
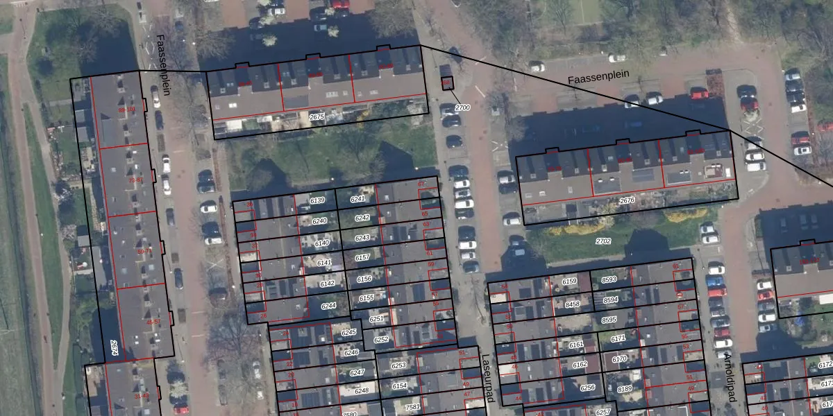
Het adres is gelegen op perceel 6242 in de sectie Q en de kadastrale gemeente Schiedam. De kadastrale aanduiding is aldus SDM01-Q-6242. De gemiddelde perceelgrootte in Schiedam is 1011,07 m². Dit perceel is kleiner: de perceeloppervlakte bedraagt 121 m². Het grootste perceel in de kadastrale gemeente is 53,5 ha. Het kleinste perceel heeft een oppervlakte van 0 m². Er zijn geen andere adressen aanwezig op het perceel. In de Basisregistratie Kadaster (BRK) werden de grenzen van het perceel geregistreerd op 05-02-1998.
Het adres ligt in een gebouw van het type 'rijwoning tussen'. Bij de laatste meting is voor het adres het energielabel D geregistreerd. Het hoogste energielabel in de straat is B; het laagste is G. Het gemiddelde energielabel is er C. Het adres Laseurpad 65 heeft als status: 'verblijfsobject in gebruik'. Het pand waarin dit adres ligt heeft als status: 'pand in gebruik'.
Laseurpad 65 is een adres gelegen in de gemeente Schiedam, provincie Zuid-Holland. Dit adres is geregistreerd in de Basisregistratie Adressen en Gebouwen (BAG) met als unieke identificatie 0606010000020358.
Het pand op Laseurpad 65 is gebouwd in 1973, wat betekent dat het 53 jaar oud is. Dit is een ouder pand. Het pand heeft mogelijk aanzienlijke renovaties nodig om aan de huidige standaarden te voldoen.
De woning op Laseurpad 65 heeft een gebruiksoppervlakte van 122 m². Dit is gemiddeld vergeleken met de gemiddelde Nederlandse woning, die een oppervlakte heeft van ongeveer 119 m². De gebruiksoppervlakte is de maat die wordt gebruikt in de BAG-registratie, de landelijke registratie van de Nederlandse overheid.
Laseurpad 65 heeft als functie: wonen. Deze gebruiksfunctie(s) zijn vastgelegd in de BAG-registratie en geven aan waarvoor het adres officieel mag worden gebruikt.
Laseurpad 65 is gelegen op kadastraal perceel SDM01Q6242. Deze kadastrale aanduiding is uniek en wordt gebruikt door het Kadaster om eigendomsrechten en andere zakelijke rechten vast te leggen. Het perceel maakt onderdeel uit van de kadastrale gemeente Schiedam.
Het perceel waarop Laseurpad 65 staat heeft een oppervlakte van 121 m². Dit is een middelgroot perceel. De perceeloppervlakte wordt geregistreerd door het Kadaster. Gedetailleerde informatie over de maten van dit perceel kunt u vinden in het rapport Kadastrale kaart met maatvoering van Laseurpad 65.
De eigenaar van Laseurpad 65 is op te vragen op deze pagina.
De informatie over dit adres is afkomstig uit officiële overheidsregistraties, voornamelijk de Basisregistratie Adressen en Gebouwen (BAG) en de Basisregistratie Kadaster (BRK). Deze gegevens worden beheerd door respectievelijk gemeenten en het Kadaster, en worden regelmatig bijgewerkt. Energielabelgegevens komen uit de database van de Rijksdienst voor Ondernemend Nederland (RVO).
