
Bickerslaan 10 is gelegen in de plaats Schoorl, de gemeente Bergen (NH.) en de provincie Noord-Holland. De oppervlakte bedraagt 172 m², waarmee het adres groter dan gemiddeld is. De grootte van het perceel waarop het adres ligt is 2575 m². Het object is klein ten opzichte van de andere adressen in de straat. Het grootste verblijfsobject is 368 m² groot en het kleinste is 81 m². Bickerslaan 10 bevindt zich in een pand uit het jaar 1920. Daarmee behoort het tot de groep relatief oude panden in Nederland die gebouwd zijn vóór 1965. Dit is het oudste object in de straat. Het nieuwste pand komt uit 2019 en het gemiddelde bouwjaar in de straat is 1953. Voor het verblijfsobject gelden deze gebruiksdoelen: 'woonfunctie'.
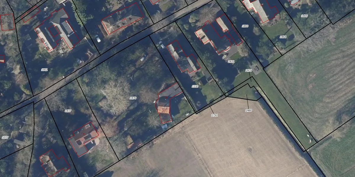
Het perceel waarop het adres ligt is SCH01-D-1476. De afkorting 'SCH01' staat voor kadastrale gemeente Schoorl. De gemiddelde perceelgrootte in Schoorl is 8669,67 m². Dit perceel is kleiner: de perceeloppervlakte bedraagt 2575 m². Het grootste perceel in de kadastrale gemeente is 11,64 km². Het kleinste perceel heeft een oppervlakte van 0 m². Er zijn geen andere adressen aanwezig op het perceel. De laatste wijziging in het de Basisregistratie Kadaster (BRK) was op 26-07-2006.
Er is geen energielabel geregistreerd voor het adres. Het hoogste energielabel in de straat is A+; het laagste is G. Het gemiddelde energielabel is er C. Het adres Bickerslaan 10 heeft als status: 'verblijfsobject in gebruik'. Het pand waarin dit adres ligt heeft als status: 'pand in gebruik'.
Bickerslaan 10 is een adres gelegen in de gemeente Bergen (NH.), provincie Noord-Holland. Dit adres is geregistreerd in de Basisregistratie Adressen en Gebouwen (BAG) met als unieke identificatie 0373010000017509.
Het pand op Bickerslaan 10 is gebouwd in 1920, wat betekent dat het 106 jaar oud is. Dit is een ouder pand. Het pand heeft mogelijk aanzienlijke renovaties nodig om aan de huidige standaarden te voldoen.
De woning op Bickerslaan 10 heeft een gebruiksoppervlakte van 172 m². Dit is ruim vergeleken met de gemiddelde Nederlandse woning, die een oppervlakte heeft van ongeveer 119 m². De gebruiksoppervlakte is de maat die wordt gebruikt in de BAG-registratie, de landelijke registratie van de Nederlandse overheid.
Bickerslaan 10 heeft als functie: wonen. Deze gebruiksfunctie(s) zijn vastgelegd in de BAG-registratie en geven aan waarvoor het adres officieel mag worden gebruikt.
Bickerslaan 10 is gelegen op kadastraal perceel SCH01D1476. Deze kadastrale aanduiding is uniek en wordt gebruikt door het Kadaster om eigendomsrechten en andere zakelijke rechten vast te leggen. Het perceel maakt onderdeel uit van de kadastrale gemeente Schoorl.
Het perceel waarop Bickerslaan 10 staat heeft een oppervlakte van 2575 m². Dit is een zeer groot perceel. De perceeloppervlakte wordt geregistreerd door het Kadaster. Gedetailleerde informatie over de maten van dit perceel kunt u vinden in het rapport Kadastrale kaart met maatvoering van Bickerslaan 10.
De eigenaar van Bickerslaan 10 is op te vragen op deze pagina.
De informatie over dit adres is afkomstig uit officiële overheidsregistraties, voornamelijk de Basisregistratie Adressen en Gebouwen (BAG) en de Basisregistratie Kadaster (BRK). Deze gegevens worden beheerd door respectievelijk gemeenten en het Kadaster, en worden regelmatig bijgewerkt. Energielabelgegevens komen uit de database van de Rijksdienst voor Ondernemend Nederland (RVO).
